蟲蟲變色靠「眼睛」?最新研究證明靠的是「皮膚」
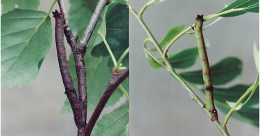
【記者/朱晨寧】許多生物在不同的環境下,為了避免被「天敵」發現,需要把自己的身體融入四周,科學家最近研究樺尺蠖(學名:Biston betularia),想要知道牠們如何變色,才發現牠們不是靠「眼睛」去看,而是利用「皮膚」去改應,而改變身體的顏色,出乎意料。變色龍、章魚及部分蟲類,為了不被捕食,利用周圍環境與之同化的情形,又稱為「擬態」。德國馬克斯·普朗克(Max·Planck)科學生態研究所的團隊,為了想了解昆蟲如何擬態,進行了相關的試驗。他們找來兩隻樺尺蠖,也就是樺尺蛾的幼蟲,一隻正常的狀態,另一隻則將眼睛用丙烯顏料塗上,再放到黑色及白色的杆子上。在看不見的情況下,樺尺蠖還是能變色。(圖/gagazine)結果發現,眼睛保持正常視力的樺尺蠖,能夠完全桿子,眼睛被遮住的,變色能力比較差,但還是比原本的顏色淺。而且把眼睛矇住的樺尺蠖抓到別的桿子上,他們還是會慢慢地變色,顯見「視力」不是昆蟲擬態的必要因素。研究團隊未來會針對體表的「視覺基因」進行研究,探討影響變色最重要的因素。