雙眼牆
」 颱風 雙眼牆 杜蘇芮
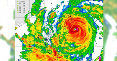
颱風樺加沙遠離 北台灣受角隅流影響「有10級強陣風」
強烈颱風「樺加沙」23日晨持續遠離,但本島風雨未立刻停歇。氣象專家吳聖宇研判,從苗栗沿海往北到大台北盆地、北海岸、東北角與宜蘭,由於受角隅流影響,白天至傍晚仍會出現可達8至10級的強陣風,晚間才有機會轉弱;南側花蓮以南到台東、恆春半島、綠島與蘭嶼同樣容易出現8-10級或以上的陣風,南高屏沿海在午後至夜間也可能出現7-9級局部強陣風。根據《ETtoday新聞雲》報導,樺加沙外圍環流與東南風水氣仍壟罩台灣,花東與恆春半島是今日風雨最明顯的區域;宜蘭降雨量上看豪雨等級,大台北、桃園與北部山區則有局部大雨。中央氣象署高解析度區域模式(TWRF)模擬顯示,降雨可能延續到24日下半天,至24日20時的累積雨量在花東一帶「將達1000毫米以上」,山區致災風險與溪流暴漲需嚴加留意。颱風結構方面,吳聖宇觀察雷達迴波指出,樺加沙仍可見雙眼牆特徵,但外眼牆建立不理想,內眼牆依舊明顯;情境較可能是維持原本內眼牆再度鞏固,外眼牆逐漸轉為螺旋雨帶的一部分。若演變順利,強度大致可持穩,甚至不排除略為增強。動向上,樺加沙已轉回西北西,北向分量雖小但有增強趨勢;受北方高壓隨短波槽東移而略為東退影響,路徑將更靠近港澳以南近海,最終不排除在廣東西部沿岸登陸。就時間序列來看,23日下半天到24日整天,港澳地區風雨將達顯著程度;25日廣東西部仍受明顯影響。對台灣而言,陸上警報預估今日內陸續解除,但外圍水氣影響不會即刻結束。花蓮、台東與恆春半島仍是全天降雨重點;宜蘭有機會達豪雨等級,大台北、桃園與北部山區的對流帶間歇掃過,帶來一陣一陣大雨。南部受「過山水氣」影響,平地偶有大雨,山區可能出現局部豪雨;新竹以南中部平地影響相對最小,以短暫陣雨為主。吳聖宇評估,東南風水氣在24日仍偏多,花東與恆春半島一帶仍具局部豪雨條件,真正明顯緩和要等到25日。風的配置呈現南北兩端最強格局。北側從苗栗沿海到大台北盆地、北海岸、東北角與宜蘭受角隅流加乘,白天陣風上看8-10級,晚間才逐步緩和;南側花蓮、台東、恆春半島與離島綠島、蘭嶼,白天持續有8至10級甚至更強的陣風。南高屏沿海則隨東南風在下午至晚間更明顯,不排除出現7-9級局部強陣風。FB粉絲專頁「觀氣象看天氣」則提醒,樺加沙風場廣,加上中央山脈迎風面地形,降雨續航力強,24日下半天前不可掉以輕心。特別點名花蓮馬太鞍溪上游偃塞湖事件曾引發的地形與水文風險,流域居民需密切注意。整體而言,東半部與南端山區今明兩天需同時防範強陣風與強降雨的複合型風險;北台灣則在角隅流主導下,白天陣風偏強、雨勢間歇通過,晚間隨樺加沙遠離與環流配置調整,北部風勢才會明顯緩和。
康芮暴風圈晚間9時觸陸!「雙眼牆快成形」警戒提升 氣象署發布強風告警
強颱「康芮」今天(30日)晚間9時中心位置在鵝鑾鼻東南東方約300公里處,以每小時21轉25公里速度,向西北進行,其暴風圈已接觸屏東恆春陸地。氣象署表示,康芮的對流相當完整,雖然西側對流有乾空氣導致稍減弱,但「雙眼牆」有快成型跡象,若眼牆置換成功,強度會更進一步提升,對台灣威脅也跟著增加。氣象署說明,由於康芮颱風結構扎實、環流廣大,今晚至明天(31日)颱風及其外圍環流影響,北部及東半部地區有持續性的強降雨,中南部地區及澎金馬有短暫陣雨,其中在北部、東半部、南部地區及中部山區並有大雨或豪雨發生的機率,預計颱風中心將在明天中午至傍晚登陸花東附近。(圖/氣象署)氣象署指出,隨著颱風中心接近影響,花東地區需特別留意眼牆上的強風豪雨,尤其東半部地區有局部豪雨等級以上降雨發生的機率,山區累積雨量最多,連日降雨須留意土石坍方及土石流等危險,明晚起隨著颱風中心穿越中央山脈後,中南部地區雨勢轉為明顯,有局部大雨或豪雨發生的機率。風力部分,蘭嶼、綠島、澎湖將有11至12級強陣風,桃園至雲林及東南部沿海空曠地區、恆春半島、馬祖有9至10級強陣風,其他沿海空曠地區及金門亦有較強陣風,明清晨至上午起臺灣各地及各離島易有9至10級強陣風,尤其花蓮地區、恆春半島、馬祖、澎湖及桃園以南沿海空曠地區有11級以上強陣風,臺東地區及蘭嶼、綠島有14級以上強陣風。(圖/氣象署)氣象署今晚9時19分發布颱風強風告警,估計持續至31日凌晨1時15分;颱風接近,將出現12級平均風或14級陣風以上風力;請立即進入堅固建築物,遠離高架道路、橋梁或天橋、鷹架、窗戶、樹木、汽車或其他可被強風吹起的物品,行車應減速慢行、步行應降低身形注意安全,如位於山區與空曠區域應儘速掩蔽。此外,氣象署也發布豪大雨特報,今晚至明日宜蘭縣山區及花蓮縣山區有局部豪雨或大豪雨,新北市、基隆市、宜蘭縣、花蓮縣、臺東縣地區及臺北市山區有局部大雨或豪雨,桃園以北地區及新竹、臺中山區、恆春半島、蘭嶼、綠島有局部大雨發生的機率,請注意雷擊及強陣風,山區嚴防坍方、落石、土石流及山洪暴發,低窪地區請慎防淹水,民眾應避免進入山區及河川活動。(圖/氣象署)颱風及其外圍環流影響,週五(11月1日)清晨雨勢仍大,北部及東半部地區有陣雨,其他地區有局部短暫陣雨,北部、東半部、南部地區及中部山區並有大雨或豪雨發生的機率,尤其東半部地區有局部豪雨等級以上降雨發生的機率,預計週五白天起雨勢逐漸趨緩。(圖/氣象署)
賀伯以來最胖登陸颱!康芮出現「雙眼牆」恐迎二次巔峰 各地風雨預測出爐
強颱「康芮」今天(30日)下午6時的中心位置在北緯20.1度,東經123.8度,即在鵝鑾鼻的東南東方約360公里之處,以每小時20轉23公里速度,向西北進行。氣象粉專透露,根據最新監測,康芮目前處於巔峰狀態,逐漸出現雙眼牆趨勢,未來可能開始進行眼牆置換,如果置換成功,就會迎來二次巔峰。臉書粉專「台灣颱風論壇|天氣特急」表示,康芮目前處於巔峰狀態,結構紮實,且逐漸出現雙眼牆趨勢,未來可能開始進行眼牆置換,屬於成熟颱風的常見過程;置換過程中,颱風強度會稍稍減弱,但仍維持強颱,如果置換成功,就會迎來第二次巔峰,但康芮移動速度快,時間上可能來不及完成就撞上中央山脈。氣象粉專「觀氣象看天氣」指出,康芮颱風暴風圈廣達320公里,中心強度達53m/s,是自1996年賀伯颱風以來「最胖」的登陸颱風,而目前各國預報已趨於一致,預估康芮的登陸地點落在台東市至長濱一帶,出海點則在台中至雲林一帶,預計明天(31日)下午3時左右登陸,出海時機落在週五凌晨時段。(圖/翻攝自觀氣象看天氣臉書)粉專特別整理出各地風雨預報,其中雙北地區明天早上開始風雨漸大,颱風登陸到出海期間風雨最強,陣風最強預計可以達到12級;桃竹苗沿海區域今晚起風會增大,明天清晨開始隨著暴風圈逐漸靠近,陣風預計從9至10級增強到12級以上;中彰雲地區與桃竹苗相似,沿海地區陣風強達9至10級,明天上午颱風出海前後可能達到12級以上。嘉南地區方面,同樣週四午後開始出現強勁風雨,沿海陣風達10至12級,預計為中心出海點南側,中心出海後可能有短暫強西南風;高屏相較於其他地區,相對屬於背風側,但同樣在颱風登陸後,陣風可能達到10至11級;花東為本次颱風直接登陸點,登陸點附近可能出現16級強陣風,山區雨勢明顯,晚上起風雨隨時間增加,預計週四早上開始會有狂風暴雨。「觀氣象看天氣」說明,宜蘭山區雨勢明顯,降水一路從晚上累積到週五清晨,同樣在颱風登陸前後容易出現12級左右強陣風;離島及外島部分,澎湖地區目前已出現10級陣風,預計週四清晨開始陣風達到12級,並持續到週四深夜,另金門相對於馬祖降雨不明顯,馬祖未來可能為颱風通過區域,強陣風時間預計持續到週五下午。
山陀兒從強颱轉中颱持續減弱!資深追風迷解答:因為眼牆置換失敗
颱風山陀兒因移動速度慢,強度一路從強颱減弱為中颱,預估未來仍持續減弱。為何山陀兒減弱這麼快?有專業追風迷在PTT版上給出答案「強迫自己置換眼牆,結果以失敗告終。」全台民眾都在關注山陀兒動向,有資深追風迷在PTT大氣版上發文表示,山陀兒卡在西南方太久,強度不斷降低,因此在2日時,為了保住強度,強迫自己「眼牆置換」,結果以失敗告終,不僅沒置換成功,反而把風眼都堵塞住,進而導致整個系統破破爛爛,中心又因為太靠近陸地,已經來不及重新開眼。「山陀兒滯留太久,表面海溫已經無法支撐颱風能量消耗,反而將冷水坑挖了出來,強度持續減弱,也因為如此,未來中心是否會翻越中央山脈,已經不是那麼重要。」「眼牆置換」是熱帶氣旋出現雙眼牆結構。外眼牆會中斷供應到內層眼牆的水氣,因此,內外眼牆間會呈現一個乾區,而內眼牆就因失去水氣供應而漸漸減弱,內眼隨之填塞;之後,外眼牆場便會取代成為熱帶氣旋的主眼牆,完成一個置換過程。過程中會使颱風威力暫時減弱,但置換成功後強度將會進一步上升。
凱米出現「雙眼牆」特徵 核心恐撞「宜蘭、花蓮」防超大豪雨
強颱凱米來襲!氣象署說明,目前凱米仍在增強中,且曾觀測到出現「雙眼牆」特徵,代表颱風在短時間內增強速度較快。氣象署提醒,由於颱風往西移動速度比預期快,除了可能受明顯地形交互作用擺盪打轉、影響台灣時間拉長外,也不排除傍晚中心區域就會開始影響宜蘭、花蓮地區,提醒兩地民眾做好準備。氣象署資深預報員劉宇其說明,目前凱米暴風圈已經涵蓋大部分台灣,預估24日晚至25日清晨通過台灣北部陸地。過去一段時間內台灣風雨已逐漸明顯增強,蘭嶼已觀測到13級陣風,且風力還會隨時間逐漸增強;傍晚中心逐漸接近宜花陸地,宜花不排除有15級陣風發生。劉宇其表示,颱風結構非常紮實,眼牆區域是風雨最為劇烈的地方。因颱風往西移動速度比預期快,雖然接近陸地時可能擺盪、打轉以致速度減慢,但也不排除打轉過程中,傍晚中心附近較強風雨區域就會影響到宜花地區。劉宇其表示,凱米過去有雙眼牆特徵,但整體內、外眼牆區分還沒非常明確,特徵不穩定。之所以出現雙眼牆,某種程度也代表過去這短時間颱風增強速度較快。預計凱米26日中午前後離開台灣。氣象署提醒民眾,24日晚間晚要留意颱風核心帶來較強風雨影響,北部、東北部風雨率先增強;中部、南部雲系發展也會愈來愈旺盛,隨著颱風靠近,今晚到明天清晨降雨會愈來愈劇烈。預估今晚颱風就會通過北部上空,整體降雨持續到明天白天;但即使颱風進入台灣海峽後,西半部、東半部仍會有明顯降雨。氣象署也預估,颱風接近陸地過程中,傍晚到深夜速度可能會稍微放慢、有打轉擺盪現象,影響時間拉長;但若地形交互作用沒那麼明顯,通過進程就會變快。由於颱風和地形作用交互作用影響非常複雜,需要密切注意。
凱米颱風撲台「至少1死58傷」 全國總災情932件…逾13萬戶停電
凱米颱風已增強為強烈颱風,但威力還在增加中,近中心最大風速每秒從51公尺增加到53公尺,且有雙眼牆的特徵。全台各地傳出災情,截至今(24日)下午2點半止,凱米颱風釀1死58傷,全台總災情有962件。高雄鳳山區建國路一段下午發生路樹倒塌,一名女騎士被壓傷,當場失去生命跡象,送醫搶救仍宣告不治,成為凱米颱風首例死亡案件。中央災害應變中心由指揮官劉世芳主持第5次工作會報,提到災情包括路樹倒榻458件、廣告招牌68件、道路20件、橋樑3件、鐵路高鐵3件、土石6件、建物毀損76件、水利設施1件、民生基礎設施163件、交通事故1件、環境污染3件、其他157件,另外全國有13萬1625戶停電,累計積淹水22件。根據統計,從昨天凌晨12點到今天,全國降雨量排名前7,分別是宜蘭縣太平山503.0毫米、台中市南湖圈谷346.5毫米、桃園市拉拉山309.5毫米、花蓮縣和平林道266.0毫米、新北市福山植物園251.5毫米、新竹縣西丘斯山231.0毫米、台北市茶製場217.0毫米。全台11縣市進行預防性疏散撤離,截至下午2點,累積撤離人數共4018人,收容處所開設34處,收容安置386人。而全台除了連江縣二級開設外,其他21縣市均為一級開設。此外,易成孤島地區共有14縣市、48鄉鎮、193處,193處中有38處採預防性撤離,至於其他155處,中央已督導各地方政府完成10天民生物資儲量整備。
颱風卡努出現「雙眼牆」 專家:桃竹苗也要注意雨勢
中颱「卡努」持續逼近,而氣象專家說,「卡努目前已經出現『雙眼牆』的結構,正在進行眼牆置換的階段」,桃、竹、苗和中部沿海雖然沒在暴風圈範圍,還是會有雨勢。《台灣颱風論壇|天氣特急》在臉書發文說,卡努已經達中颱標準,屬於成熟的颱風,「根據雷達迴波顯示,卡努目前已經出現『雙眼牆』的結構,正在進行眼牆置換的階段。」颱風論壇表示,未來半天或1天強度會減弱或一樣,因為環流結構調整,會搖擺慢慢走,「由於前方環境逐漸轉差,即便成功置換,強度可能也難重返2度巔峰,除非卡努夠爭氣,有奇蹟發生。」颱風論壇指出,「另外根據最新的風場掃描強風圈還是很大,暴風圈沒有掃到的地方,也會感受到明顯的風勢『桃園、新竹、苗栗、中部沿海』,也要做好預防準備。」中央氣象局表示,卡努2日11時的中心位置在北緯26.1度,東經126.5度,即在臺北的東北東方約510公里之海面上,以每小時11轉7公里速度,向西北西進行,近中心最大風速每秒48公尺(約每小時173公里),相當於15級風,瞬間最大陣風每秒58公尺(約每小時209公里),相當於17級風。
杜蘇芮實力有多強「海峽體育館屋頂掀了」 五月天演唱會恐被迫延期
杜蘇芮颱風登陸福建泉州的晉江市,周邊各地出現11到15級的大風,甚至在颱風眼離開後,後續的狂風暴雨將持續發生,目前泉州各地已出現各種災情,就連泉州海峽體育館的屋頂都被吹到掀了起來,這讓不少網友也擔心8月的五月天演唱會是否不能舉行,對此泉州市體育局工作人員也做出回應,表示會盡全力維修,至於演唱會是否取消還要問五月天。福建因杜蘇芮登陸,各地都傳出災情。(圖/翻攝自微博)杜蘇芮颱風路徑一變再變,原本要從台灣穿越,但路徑一再西偏下修,最後繞過台灣並登陸到了福建泉州的晉江市,沒有受到任何地形破壞的杜蘇芮,破壞力與實力與相當驚人,除了有雙眼牆外,中度颱風的結構也不容小覷。風大到連廟前的香爐都被吹走。(圖/翻攝自微博)泉州各地出現災情,據海峽導報報導,泉州海峽體育館隔熱層被颱風掀起。而8月24日該體育館將舉行2023五月天泉州演唱會,因此有很多網友紛紛留言希望不會受影響。泉州市體育局工作人員表示,確有體育館隔熱層被掀翻一事,活動主辦方會去維修處理,至於演出能否按原定日期舉行等具體事宜,需詢問主辦方。大陸氣象局則預測杜蘇芮後續路徑,並呼籲各地民眾提高警覺。(圖/翻攝自微博)另外包含路樹倒塌、警方工作時帽子被瞬間吹飛,甚至宮廟前香爐、寶塔都被吹走的狀況也陸續發生,大陸氣象局則表示,第5號颱風杜蘇芮登陸福建後,強度逐漸減弱,但其影響仍將持續,將給東部地區帶來大範圍強降雨。福建、浙江、江西等地需繼續做好颱風和防汛工作。另外,河北、北京、天津、河南等地降雨有極端性,致災風險高,需提高警惕。
南部5縣市今晨急放颱風假...市民罵爆:早就出門了 「政策急轉」氣象專家曝原因
中颱「杜蘇芮」龜速移動,風雨威力不見減緩,嘉義縣市、台南市、高雄市及屏東縣今(28日)清晨緊急宣布停班課,臨時公告放颱風假,引起部分民眾怒轟「下次可以提早一點宣布嗎?12-6點上班的人命都不是命嗎。」只是為何政策突然急轉彎?對此,氣象專家說明,由於杜蘇芮發展出明顯的雙眼牆結構,走向搖擺不定、移動緩慢,導致南部地區風雨延遲發生。高雄市長陳其邁、台南市長黃偉哲、屏東縣長周春米今(28日)清晨6點陸續宣布停班課,引起部分市民怨聲載道,「太晚宣佈了啊!家人五點多就出門了!傻眼」、「凌晨4-5點就已經風強雨大,非得要5:50分才公佈放假,說好的民眾安全放第一的政府」、「感謝市長,我5:30出門上班,現在要回家了」、「還是忍不住要說...實在不應該、為何拖到現在才公佈?有少數民眾都已經出門了...」、「剛起來要上班看到停班停課一肚子火。」不過也有不少人好奇,南部地區昨天無風無雨爽放一天假,為何今天卻突然風雨交加?對此,由於杜蘇芮颱風在昨(27日)發展出明顯的雙眼牆結構,導致颱風的走向呈現搖擺不定的「擺線狀運動」,移動速度也跟著比預期要來得緩慢許多,導致南部地區的風雨出現的時間明顯延遲,昨天白天風雨都不大,一直到傍晚才開始有風雨,晚間到今(28日)清晨隨著偏南風湧入,風雨更加明顯增強。另外也有人質疑,南部地區昨天根本「放錯颱風假」,紛紛笑虧「笑死,放錯天」、「四天連假,暖」、「又可以逛街看電影了,讚」、「就是玩,訂好餐廳跟電影院了,送」、「好爽,北部人哭了。」
杜蘇芮雙眼牆「堪稱教科書等級」…「外吃內」置換 專家8重點提醒:4縣市注意
今(28日)晨隨著颱風往西北方前進,南部地區風雨仍為明顯,預估會來到大雨等級的降雨,陣風則可以來到9至11級,而中部以北、東半部地區及恆春半島亦有局部降雨,尤其東半部及恆春半島降雨較為持續,目前屏東、台東山區已達到超大豪雨,預估到上午暴風圈會離開台灣本島,各地白天風雨就會逐漸減緩,不過台灣附近吹偏南風,仍帶來些水氣,局部還是有短暫陣雨的機會。氣象粉專《台灣颱風論壇|天氣特急》27日提到,杜蘇芮27日瞎混了一天,原因就是為了活下去,「雲圖上颱風眼再度清晰、細小,而雷達雙眼結構非常完整、漂亮,颱風最核心的眼牆鞏固中,看來眼牆置換的情形還算順利,真有可能短暫回春了。」氣象粉專《台灣颱風論壇|天氣特急》說明,杜蘇芮有堪稱教科書等級的雙眼牆,接下來有可能是內眼牆(比較小圈)會開始崩潰,外眼牆(大圈)開始往內縮取代,這時候就會杜蘇芮就真的會華麗轉身,但反之,如果失敗了,就會變成醜醜的大眼。氣象粉專《台灣颱風論壇|天氣特急》今(28日)表示,杜蘇芮過去偏北移動,雙眼牆的外圈正在把內圈吃掉中,表示眼牆置換即將完成,目前非常靠近澎湖地區,最強核心正在侵襲中;台南、高雄、屏東、中部沿海等地,強勁風勢還會持續到7至8點,轉為西南風,會同時伴隨大雨,請注意安全,而颱風中心預計在上午9點左右穿越金門附近,請當地民眾做好準備。彭啟明今(28日)在臉書提醒8重點,昨下午晚上到今清晨,高雄台南澎湖金門朋友應該相當有感,杜蘇芮颱風就在海峽南部海域北上,而未來颱風將趨向金門,今日中午後預計陸續解除颱風警報。1.颱風接近金門,預計今天上午將在金門附近登陸福建省,強度將減弱,暴風圈將縮小。2.台灣本島的颱風警報有望在今日中午解除,金門、澎湖的陸上警報以及海上颱風警報預估在下午至傍晚解除。3.昨日颱風發展成雙眼牆,搖擺不定,移動速度緩慢,南部風雨時間明顯延遲。4.颱風致使花蓮、台東、屏東累積雨量達1000毫米,新北市山區250毫米。5.今日上午,南部、東南部地區仍需注意大雨及強陣風,中午過後預估風雨將趨於緩和。6.明後兩日,南部、花東地區可能有局部短暫陣雨,午後有局部大雷雨出現,提醒外出的朋友注意。7.今年第6號颱風卡努誕生,目前不直接威脅台灣,但下週後半可能影響降雨。8.提醒金門、澎湖及台南、高雄的朋友特別小心注意,避免前往危險區域及海邊。
屏東、台東超大豪雨…杜蘇芮海陸警估今解除 這些地區防大雨、強陣風
今(28日)第5號颱風及其外圍環流影響,台灣南部、東部及東南部地區及澎湖、金門、馬祖有短暫陣雨,其他地區亦有局部短暫陣雨。氣象局指出,今(28日)晨隨著颱風往西北方前進,南部地區風雨仍為明顯,預估會來到大雨等級的降雨,陣風則可以來到9至11級,而中部以北、東半部地區及恆春半島亦有局部降雨,尤其東半部及恆春半島降雨較為持續,目前屏東、台東山區已達到超大豪雨,預估到上午暴風圈會離開臺灣本島,各地白天風雨就會逐漸減緩,不過台灣附近吹偏南風,仍帶來些水氣,局部還是有短暫陣雨的機會;氣溫方面,夜晚清晨各地為25至27度,白天高溫普遍為31至33度。氣象局分析,今年第5號中度颱風「杜蘇芮」清晨6時中心位於澎湖西方約70公里的海面上,以北北西方向前進,預估上午將登陸大陸沿岸,強度將快速減弱;原位於關島西南方海面的熱帶性低氣壓於今天清晨2時發展為今年第6號輕度颱風「卡努」,未來以北北西方向朝琉球南方海面進行,短時內對台灣無直接影響。氣象局發布豪雨特報,提醒民眾,颱風及其外圍環流影響,易有短延時強降雨,今(28日)台東縣及屏東縣山區有局部大豪雨或超大豪雨,花蓮縣、台東縣地區、恆春半島及高雄市山區有局部豪雨或大豪雨,台中市、南投縣山區及屏東縣、澎湖縣地區有局部大雨或豪雨,台南、高雄及宜蘭地區有局部大雨發生的機率,請注意雷擊及強陣風,山區請慎防坍方、落石、土石流及溪水暴漲,低窪地區請慎防淹水。超大豪雨地區:屏東縣、台東縣。大豪雨地區:高雄市、花蓮縣。豪雨特報。(圖/氣象局)氣象專家吳德榮在《三立準氣象‧老大洩天機》專欄中指出,中颱「杜蘇芮」自昨(27日)起因呈現「雙眼牆」結構,暴風圈雖漸縮小,但強度幾無減弱。最新(28日2時)中央氣象局「路徑潛勢預測圖」顯示,「杜蘇芮」今(28日)早上進入福建,登陸點距金門並不遠,金門應防強風豪雨,澎湖亦應注意,台灣仍有局部較大雨勢及陣風。下午起各地風雨逐漸緩和。東半部已累積「致災性」大量降雨(西大武山總雨量超過1600毫米),應慎防坍方、落石、土石流;周末應避免山區活動。吳德榮表示,最新(27日20時)歐洲(ECMWF)模式模擬顯示,今(28日)上午台灣仍有局部較大雨勢及陣風,下午起風雨逐漸緩和;各地區平地氣溫,北部24至33度,中部24至33度,南部23至34度,東部22至24度。明日至下周一(29至31日)天氣好轉,各地大致多雲時晴,局部地區偶有局部短暫雨,大氣不穩定、午後慎防局部大雷雨。下周二至周四(1至3日)受「卡努」颱風外圍水氣,及其之後引進的西南風有關,天氣很不穩定,需再觀察。(左)28日2時中央氣象局「路徑潛勢預測圖」顯示,第6號颱風「卡努」大致往西北,經琉球附近海域,撲向長江口。路徑不確定性範圍,大到觸及台灣北部。(右)27日20時歐洲(ECMWF)系集模式模擬顯示,系集平均路徑與左圖類似,系集成員相當分散。(圖/翻攝自三立準氣象‧老大洩天機專欄)吳德榮分析,最新(28日2時)中央氣象局「路徑潛勢預測圖」顯示,第6號颱風「卡努」大致往西北,經琉球附近海域,撲向長江口。路徑不確定性的範圍,大到觸及台灣北部;最新(27日20時)歐洲(ECMWF)模式模擬顯示,系集平均路徑與左圖類似,系集成員相當分散。故「卡努」是否侵台?勿言之過早!否則又發生錯把「杜蘇芮」比成「莫蘭蒂」的狀況,豈不糟糕。天氣職人吳聖宇則表示,杜蘇芮颱風今(28日)清晨的中心位於澎湖西方海面,正在逐漸接近金門,預估上午這段期間可能就會在金門附近登陸進入福建省,登陸後颱風強度將會減弱,暴風圈也會縮小,因此預估最快在今天中午前台灣本島的陸上颱風警報就有機會解除,金門、澎湖的陸上警報以及台灣周圍的海上颱風警報預估下午到傍晚之間也將會解除,這個颱風對台灣的影響也即將要告一段落。天氣職人吳聖宇提醒,今(28日)隨著颱風往福建沿岸登陸,上午這段期間偏南風直接影響的南部、東南部地區仍要注意較大的雨勢以及較強陣風的情況,預估中午過後隨著暴風圈脫離,風雨的情況就會逐漸趨於緩和;澎湖、金門一帶的風雨則會持續較長的時間,可能要等到下午或傍晚之後才會逐漸緩和下來,尤其金門受到颱風直接侵襲的影響,白天這段期間風雨應該都會相當明顯,提醒金門的朋友務必要小心注意。
杜蘇芮「眼牆置換」恐增強再達顛峰 準備撞陸地…全台風雨情形曝光
受到中颱杜蘇芮影響,氣象局發布陸上及海上颱風警報,共14縣市列為警戒範圍,目前颱風呈現雙眼牆結構,正在「眼牆置換」,完成後會重新增強,也即將撞上陸地,尤其恆春半島和高屏沿海,可能會被掃中,提醒民眾做好防災措施。天氣粉專「台灣颱風論壇|天氣特急」指出,颱風目前環流結構正在組織調整重建,雷達可以看到颱風中心有點像「甜甜圈」,內圈跟外圈相當分明,初步判斷是正在進行眼牆置換的階段,因此未來幾個小時的定位和方向稍微不穩定,不過大方向還是朝西北、北北西間移動。特別注意,眼牆置換過程中,颱風強度會稍微減弱,但順利完成後會重新增強,再一次達到巔峰,只是等杜蘇芮完成,可能準備撞陸地。杜蘇芮颱風正在進行「眼牆置換」階段。(圖/翻攝自台灣颱風論壇|天氣特急臉書)天氣風險公司透露,杜蘇芮颱風今(27日)早上10點位置在鵝鑾鼻西南方約170公里的海面,正加速往北北西,也就是金門、廈門的方向移動,暴風圈壟罩嘉義以南各地。目前最強的風雨集中在颱風中心約200公里內,包括恆春半島、高屏沿海,仍可能被較強的懸臂掃中。全台各地嚴防強風豪雨。(圖/翻攝自天氣風險 WeatherRisk臉書)一直到明(28日)清晨,各地的風雨情形如下:※花蓮、台東:持續性的強風驟雨,將持續至今晚,山區雨量累積快速,有超大豪雨。※高屏、恆春半島:到今天深夜,風雨交加,有一陣陣的狂風暴雨,山區有超大豪雨。※金門:今天深夜起風雨轉強,明天凌晨至上午颱風中心接近,風雨最劇,下午後風雨轉緩。※北北基宜:間歇性的風雨,持續到今晚。※雲嘉南、澎湖:今天下午起風雨明顯增強,注意瞬間強風、驟雨,持續到今天深夜。※桃竹苗、中彰投:無明顯強風,偶有陣雨。
舒力基路徑將北移 專家:可能為4月最佳降雨機會
今年第2號颱風,同時也是首發強颱「舒力基」昨(17)晚到今(18)日清晨達到強度的巔峰,目前移動路徑有往北邊移動趨勢,環境對其發展也轉為不利,天氣風險公司天氣分析師吳聖宇表示,周五(23)到下周日(25)西風槽往南擺動時可能把大陸華南的雲雨帶往台灣,有可能是4月以來最好的一次降雨機會,否則就得等到梅雨季了。吳聖宇在「天氣職人-吳聖宇」臉書專頁表示,「舒力基」的強度在昨晚至今清晨達到巔峰,已經演變出雙眼牆結構,強度達到顛峰,昨隨著它逐漸來到轉彎的關鍵點,北邊的西風槽已經掠過它的正北方,雖然沒有直接勾引到舒力基,但仍然讓高壓脊勢力有減弱趨勢,配合颱風本身強度發展,未來48小時內將逐漸從西北西轉西北再轉北移動,在呂宋島以東向北發展,速度也將因為進入高壓鞍型場內而放慢下來,接著可能要等到周四(22)至周五,等待下一個西風槽往南擺動,才有機會勾到颱風,讓它轉向東北加速遠離。吳聖宇說,預期周三(21)之後舒力基的位置會相對比較靠近台灣,外圍環流有機會為台灣東半部帶來地形降雨,西半部則不受影響,如果颱風轉的位置東邊一些,影響就會比較小;再來就是周五到下周日之間,上面提到的西風槽往南擺動,一方面帶走颱風,另一方面也可能把大陸華南的雲雨帶往台灣帶過來,能否造成比較多的降雨值得注意,有可能是4月以來最好的一次降雨機會,再錯過的話,大概就真的要等到5月去了。