風王
」 颱風 樺加沙 強颱 風王 氣象署
專業評估天差地遠 引爆花蓮光復鄉18死6失蹤悲劇
號稱今年「風王」的強颱樺加沙,9月23日自鵝鑾鼻外海往廣東方向北移時,攜帶龐大外圍水氣,導致馬太鞍溪上游堰塞湖潰決,瞬間傾洩超過6千萬噸洪水,相當於一座南化水庫的蓄水量。洪流夾帶泥砂與巨石,以迅雷之勢湧入光復鄉市區,造成18人死亡、6人失蹤,超過百人受傷,校園與民宅毀於一旦,成為台灣罕見的堰塞湖溢流大災難。根據《鏡週刊》調查指出,釀禍的堰塞湖其實早在7月薇帕颱風期間就已形成。當時馬太鞍溪上游支流因崩塌阻斷河道,農業部林業保育署花蓮分署7月26日即發現異狀,並緊急啟動應變小組,動員空勤總隊直升機多次空勘,並在壩頂設置水位計持續監測。後續陽明交通大學與台灣大學團隊各自進行模擬評估,卻出現差距甚大的結果,也埋下日後撤離爭議的伏筆。相關資料顯示,該堰塞湖壩高約200公尺,壩體體積超過2億立方公尺,最大蓄水量可達9,100萬噸。專家早就推估,即使僅以日常降雨計算,10月初也可能發生溢流,因此開闢便道或以炸藥爆破都被否決,最後僅能強化監測,下游則進行河床疏濬與橋墩補強,盼能降低風險。隨著颱風逼近,農業部9月17日建議花蓮縣政府撤離259戶、697人,但2天後縮減至百戶,21日又修正為180戶、約500人。撤離規模一縮再縮,引發內政部長劉世芳憂心,緊急致電前內政部長李鴻源徵詢專業意見。李鴻源隨即召集台大土木團隊重新推算,結果顯示情況極為危險。當晚內政部立即下令擴大撤離至1,800戶、逾8千人。花蓮縣政府接獲通知後,隔日早晨透過廣播車與村里系統宣導撤離,但未強制執行,約5千人選擇「垂直避難」,留在自家二、三樓。但由於光復鄉多數民宅為鐵皮、木造或磚造,結構是否足夠抵抗洪流仍不可知,再加上居民未曾進行過相關演練、缺乏糧水準備,造成傷亡慘重。更有災民痛批根本沒接到撤離通知,部分村里廣播設備甚至失靈,錯失逃生時機。知情人士透露,這次死傷最嚴重的大同村,其實在交大與台大的評估報告中,都被列為優先撤離區域,但縣府僅止於宣導,未逐戶勸離。農業部林保署組長劉忠憲坦言,這是台灣從未遇過的極端天災,不同團隊模型差距過大,讓決策過程備受質疑。他說,外界批評「制度殺人」讓他無奈又自責,但強調所有判斷皆依循專業。
推動台東首座持續照護退休社區 「東基公益」前進全台最大照顧產業展
透過互動遊戲 加深民眾對偏鄉服務的認識 深耕台東超過六十年的台東基督教醫院,攜手「東基公益」伙伴一粒麥子基金會、迦南銀髮生活福祉中心,首度北上參展全台最大照顧產業展「第六屆台北國際照顧博覽會」。以微縮家具想像退休生活、排灣族頂小米體驗、展板解說、影片賞析、登記表填寫等互動方式,讓民眾認識東基公益在偏鄉、偏區的醫療、社福與長照服務,以及將推動台東首座持續照護退休社區(Continuing Care Retirement Community,簡稱CCRC)——「日昇月好海岸村」,歡迎民眾到「健康照顧展」區L0219攤位體驗與了解。北上參展,企盼大眾關注偏鄉需求全台最大照顧產業展「第六屆台北國際照顧博覽會」今(二十五)日起一連三天,在台北南港展覽館一館四樓盛大開展。集結超過八百個攤位、四百五十家參展單位,涵蓋了健康照顧展、長照產業展等六大子展、十二大主題館,匯聚了全台灣與照顧相關的服務與產品設備。民眾以微縮家具妝點未來退休生活的空間擺設,對於退休生活的想像就更具體。本著「哪裡有需要,就往那裡去」理念,從因應偏鄉醫療需求成立的台東基督教醫院,到提供老人與身心障礙者服務的一粒麥子基金會及迦南銀髮生活福祉中心,以及專事婚姻、家庭關懷與無依嬰幼兒照顧的家立立基金會、哈拿之家,成為照顧老、弱、婦、孺、病的「東基公益」平台。並在豐富的醫療、社福與長照經驗基礎下,今年動土興建「日昇月好海岸村」退休社區,以醫照整合為核心,打造持續性的照護網絡,冀望成為樂齡長輩安心生活、持續成長的理想家園。為讓更多民眾看見與認識東基公益伙伴長期深耕偏鄉、偏區的用心與努力,進而關注偏鄉需求並共同參與,讓公益服務更有力量,第一次在台北國際照顧博覽會上設攤。但「東基公益」團隊北上參展前夕,遇上「風王」樺加沙颱風外圍環流在東台灣的致災雨量,導致台東對外的空、陸交通一度中斷。為順利參展,原定經花蓮、宜蘭北上的第一批隊伍緊急應變,於二十四日清晨改道南迴線繞行西部,至台北展場布展,後續出發人員在台鐵東部幹線恢復行駛後北上會合。現場參觀民眾穿上原住民背心、頭頂著篩子、玩著另類的跳房子遊戲,歡樂體驗頂小米活動。凸顯在地特色、提供民眾退休想像 在「健康照顧展」區L0219攤位上,呈現了東基公益在山村巷弄中傳遞希望與光、日昇月好海岸村的環境與設施之外,設有兩個互動體驗區及一個諮詢區。互動體驗區之一「微縮模型區」以日昇月好海岸村為藍圖,提供微縮家具、小飾物等,讓民眾提前模擬退休生活,自由設計退休後的房間家具擺設、社交空間、豐富生活。提供大家一個退休想像之外,同時了解在好山、好水、好空氣、好陽光的台東,即將逐步實現一座全方位「持續性照護」養生村。有意願進一步獲知詳情者,還能直接移步諮詢區填寫「住戶意願登記表」。穿著傳統族服的東基公益服務同仁成為現場焦點,民眾體驗後開心合照留念。互動體驗區之二是由具排灣族、阿美族身分的東基公益同仁擔綱,特地穿上傳統族服,帶著民眾體驗排灣族的傳統活動「頂小米」。藉此認識東部的多元族群文化,同時了解這也是東基公益的日間照顧中心,讓長輩練習專注與平衡的活動之一。參展期間,凡是到L0219「東基公益X日昇月好海岸村」攤位參與體驗,並掃描QR code加入東基公益FB粉絲專頁者,就有機會獲得知名藝術家江賢二與東基聯合製作的限量版「海岸晨星手提袋」,或東基公益手提袋、手機架等好禮。來到東基公益攤位不只有體驗,還有好禮相送,包括手機架(不含手機)、知名藝術家江賢二與東基聯合製作的限量版「海岸晨星手提袋」(右一)等。
樺加沙暴風圈遠離台灣 新北等8縣市今達停班課標準
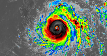
強烈颱風「樺加沙」23日上午持續在巴士海峽北上,暴風圈逐步遠離台灣本島,但龐大外圍環流仍帶來明顯風雨。中央氣象署清晨6時觀測,颱風中心位於鵝鑾鼻西南方約320公里海面,以每小時21公里速度向西北西前進,近中心最大風速每秒58公尺、瞬間最大陣風達73公尺,相當於17級以上強風,暴風半徑廣達數百公里,成為今年名副其實的「風王」。根據《壹蘋新聞網》與中央氣象署最新資料,雖然屏東已脫離暴風圈,但恆春半島仍在警戒範圍,預估今日上午8時30分解除陸上警報;海上警戒則涵蓋台灣海峽、巴士海峽及東沙島海域。由於水氣持續湧入,花蓮、台東及高雄、屏東山區仍需提防劇烈降雨,部分地區甚至已達停班停課標準。依據《天然災害停止上班及上課作業辦法》,若颱風暴風半徑在4小時內可能掃過,平均風力達7級或陣風10級以上,或24小時雨量山區累積200毫米、平地達350毫米並具致災風險,各縣市政府即可宣布停班停課。而目前最新風力預測顯示,新北市濱海鄉鎮、恆春半島、蘭嶼綠島、連江縣及金門縣,自清晨6時到中午12時全達標準,其中新北沿海區甚至一路持續到晚間仍符合條件。目前花蓮、台東全縣已宣布23日停班停課;高雄市那瑪夏、桃源、甲仙、六龜、茂林5區停班停課,其餘地區正常;屏東縣則有枋山、車城、恆春、滿州、霧台、三地門、瑪家、來義、泰武、春日、獅子、牡丹等12鄉鎮停班停課。其他縣市則依實際狀況自行決定。氣象署預報中心簡任技正伍婉華表示,雖然陸上警報將於8時30分解除,但白天降雨仍持續。北部基隆北海岸、大台北與宜蘭雨勢可望晚間逐步緩和,不過花東及高屏山區仍可能出現短時強降雨,每小時雨量達50至70毫米。她提醒,即使颱風遠離,外圍對流仍可能帶來瞬間大雨、雷擊與強陣風。氣象署提醒,颱風離境時間落在24日,降雨雖逐漸趨緩,但殘餘環流與水氣仍可能引發劇烈天氣,尤其山區須防範土石流與坍方。民眾在上班上課前務必留意地方政府最新宣布與氣象署預警資訊。
年度風王樺加沙一路向西「今午前脫離暴風圈」 估8時半解陸警
中央氣象署今(23)日清晨持續發布強颱樺加沙的海上與陸上颱風警報。根據今晨5時30分氣象資料顯示,颱風中心目前位於鵝鑾鼻西南方海面,以每小時21公里速度,向西北西進行,屏東地區已脫離其暴風圈,對恆春半島仍構成威脅。氣象粉絲專頁「台灣颱風論壇|天氣特急」深夜指出,颱風一路筆直地往西移動,截至22日夜間23時,其中心已到南南西方海上,暴風圈籠罩屏東與南台東,稍後將擦邊過南高雄地區。預估今日午前台灣本島有望脫離暴風圈。不過,受外圍環流影響,全台各地天氣不穩定,北部、東部、宜蘭、南部沿海風勢強勁,加上下雨效果明顯,感受上有「颱風天」氛圍。「台灣颱風論壇」進一步在Threads平台表示,昨晚至今日清晨為各地風雨最劇烈的時段,特別是北部、東部、恆春半島與沿海區域,體感明顯強風豪雨。不過,論壇也強調,這些多屬颱風外圍環流效應,主核心風暴並未直接登陸,「年度風王候選就是有這種實力,還是那句,這傢伙沒撞進來真的是祖上積德。」根據路徑預測,樺加沙接下來將持續朝西北西方向前進,朝中國廣東、香港、澳門一帶靠近,雖然強度將逐步減弱為中度颱風,但仍不容忽視其對華南地區帶來的防災壓力。根據《ETtoday新聞雲》報導,氣象主播張承傳表示,今天東半部、恆春半島與高屏山區持續有大雨或豪雨,尤其東部、東南部、高屏山區與東北部有局部豪雨等級以上降雨機率,西半部也可能有短暫陣雨。張承傳進一步說明,今晨5點半,剩餘的陸上警戒區域為恆春半島;預估上午8時颱風的暴風圈有機會自本島陸地脫離,因此上午8時半可能解除陸上警報,而海上警報則可能在今晚解除。未來颱風持續以西北西朝廣東海面前進。針對未來幾天的天氣走向,張承傳預測周三水氣略有減少,東部、東南部與恆春半島降雨較為明顯,有大雨或局部豪雨機率,其餘地區降雨型態則較為局部。周四高氣壓勢力伸展,東部、東南部、恆春半島降雨趨於短暫與局部,其餘地區以午後雷陣雨為主。周五起東部、東南部與恆春半島有零星降雨;午後在新竹以南與北部山區,有局部短暫雷陣雨。
風王樺加沙擦邊過!「1關鍵」中心偏南 專家謝:強風豪雨都在海面
今年第18號颱風「樺加沙」來勢洶洶,暴風圈已逐漸接觸到蘭嶼、恆春半島、臺東及高屏地區,預計今、明(22日、23日)影響臺灣最劇,雖然其他地區不在暴風圈內,但由於颱風外圍環流寬廣,風雨也會很明顯。氣象專家表示,今天高壓相對最強,導致颱風路徑偏西,中心得以保持在北緯20度以南經過,真正的強風豪雨區都在海面上。「天氣職人」吳聖宇在臉書粉專透露,樺加沙正安定通過巴士海峽,要感謝今天是高壓相對最強的一天,所以颱風路徑偏西,颱風中心得以保持在北緯20度以南經過,「以經過巴士海峽西進的颱風來說,中心位置在北緯20度以北跟以南經過,風雨的程度會有差異」。專家指出,目前台灣雖然有一陣一陣的風雨,但真正的強風豪雨區都在海面上,因此陸地上的風雨相對不算大,「今晚之後颱風進入台灣西南方海面,高壓也有略為東退的趨勢,可以看到預報路徑又回到西北西走向,未來樺加沙將往港澳以南近海、廣東西部沿岸靠近,週三、週四對這些地方可能有顯著的影響」。吳聖宇說明,颱風進入台灣西南方後,台灣附近大環境風向轉東南風,也就是所謂的「颱風回南」,今晚到明天東半部、恆春半島要注意豪大雨,可能一直到週三(24日)雨勢仍大,而明天大台北、南部地區也要注意水氣過山帶來的局部大雨。此外,今晚到明天沿海的風力仍強,特別是南北兩端區域,要留意配合地形帶來的強陣風現象。
又有新颱風「博羅依」! 最快週四生成路徑曝光
強颱「樺加沙」被稱作2025年「風王」,雖然颱風中心不會登陸,且最強的風雨區域是在海上,但受其外圍環流影響,仍將為台灣帶來明顯風雨。而氣象專家賈新興指出,週三(24日)起菲律賓東方外海有熱帶性低氣壓發展趨勢,最快週四(25日)有發展成「博羅依」颱風的機率,但預估其會通過呂宋島進入南海,不會對台灣造成直接影響。「樺加沙」颱風中心目前在鵝鑾鼻南南東方海面,向西轉西北西進行,暴風圈正逐漸進入恆春半島,對台東、屏東、恆春半島及高雄構成威脅,此颱風未來強度仍有稍增強且暴風圈有稍擴大的趨勢。然而,一波未平一波又起,台灣整合防災工程技術顧問公司總監賈新興今(22)日在臉書、YouTube頻道上透露,觀察到週三、四(24、25日)菲律賓東方外海有熱帶性低氣壓發展的趨勢,預估週四、五(25、26日)其會發展成颱風,若成颱將命名為「博羅依」。賈新興指出,「樺加沙」至目前為止是2025年的「風王」,22日午後至明(23)日中午前,民眾需留意花東及屏東山區有較大雨勢發生的機率,不過最強的風雨區域是在海上。賈新興強調,預估「博羅依」成颱後會通過呂宋島進入南海,不至於對台灣造成直接影響,颱風過後大致會恢復到午後天氣型態。不過,超過五天後的天氣預報變動度大、不確定性較高,因此請民眾留意最新的預報資訊。
廣東急發颱風防災告警! 風王「樺加沙」體型比全省還大
被稱作2025年西北太平洋「風王」的強烈颱風「樺加沙」將通過巴士海峽,漸漸逼近南海。對此,中國大陸廣東省已緊急發布防災告警,並直呼颱風體型面積一度比廣東省還大。根據陸媒《紅星新聞》報導,受強颱「樺加沙」影響,23至25日廣東省海面和陸地將有嚴重風雨影響;「樺加沙」預計22日晚間穿過巴士海峽、23日清晨進入南海,並可能於24日前後以強颱或超強颱等級,在廣東中西部沿海地區登陸。大陸中央氣象台研判,雖然預計「樺加沙」颱風進入南海後體型將有所收縮,能量將高度集中在颱風眼區,但發展潛力旺盛,而且體型龐大,與2018年「山竹」颱風、2023年「蘇拉」颱風相似,風雨威力仍不可小覷。氣象預報顯示,粵東、珠三角中南部、梅州南部和河源南部市縣23日將有暴雨或大暴雨,並伴隨8至10級短時大風;24日粵東、珠三角、粵西有暴雨到大暴雨局部暴雨,粵北市縣有大雨到暴雨局部暴雨。廣東多地也陸續發出預警訊號,其中,珠海市三防指揮部指出,珠海24日可能採取「五停」防颱措施,包含停課、停工、停產、停運、停業,並提醒市民應提前儲備應急物資、加固門窗及懸掛物;江門、潮州也可能將宣布「五停」;湛江官方則公告,瓊州海峽客滾運輸預計23至24日停駛,具體時間視颱風情況決定。
樺加沙壓境!暴風圈中午恐觸陸 今晚到週三清晨最劇烈
強烈颱風「樺加沙」登上今年「風王」寶座,威力還可能進一步增強。中央氣象署表示,颱風中心氣壓已降至900hPa,近中心最大風速每秒58公尺,不排除上看每秒60公尺。依路徑研判,中午前後暴風圈就有機會接觸台灣陸地,影響最劇烈的時段落在今晚到週三清晨。根據《ETtoday新聞雲》報導,氣象署預報員張竣堯指出,目前颱風正以每小時21公里的速度往西推進,將以巔峰強度通過巴士海峽。由於一路行進過程未受地形破壞,結構相當完整,暴風圈還有進一步擴大的可能。氣象署已對台東、恆春半島、屏東及高雄發布陸上警戒,呼籲嚴加戒備;海上警戒範圍則包括台灣海峽南部、台灣東南部海面、巴士海峽與東沙島海域,航行與作業船隻需特別小心。在氣溫方面,今天上午各地天氣仍顯炎熱,昨(21日)北部新北五股出現36.3度高溫,中部南投國姓鄉36.2度,南部台南龍崎區達37.4度,東部宜蘭南澳鄉也有34.5度。至於今晨5時許的最低氣溫,落在花蓮壽豐鄉22.6度,其餘多數地區則在23至25度之間。在降雨方面,由於颱風靠近,降雨範圍持續擴大。張竣堯指出,基隆北海岸、東半部及恆春半島今天已有局部大雨或豪雨,桃園以北、高雄、屏東及中南部山區也出現短暫陣雨。今晚開始,花蓮、台東、宜蘭及高屏山區降雨將進一步加劇,達到豪雨以上等級,北、中、南部山區也有雷雨與大雨發生的可能。氣象專家吳德榮在「氣象應用推廣基金會」專欄「洩天機教室」撰文道,今(22日)晨截至5:04各地區平地的最低氣溫約在23至25度:北部(新北南港區)24.5度中部(南投中寮鄉)23.8度南部(台南楠西區)24.0度東部(花蓮壽豐鄉)22.6度最新(21日20時)歐洲模式(ECMWF)模擬顯示,今日至週三(22至24日)「樺加沙」通過巴士海峽、進入南海,受到颱風或其外圍環流與地形的交互作用,大台北、東半部及南部先後有明顯降雨,東半部及高屏山區慎防大量降雨致災,台東、恆春半島及各地沿海應慎防強風,台灣附近各海面應防狂風巨浪。今日各地區氣溫為:北部25至32度中部24至36度南部24至35度東部23至30度最新歐洲模式模擬顯示,週四(25日)「樺加沙」遠離,清晨花東及高屏仍有降雨,白天好轉,氣溫升。週五至下週日(26至28日)各地晴朗炎熱,午後山區有局部短暫陣雨或雷雨的機率,東半部偶有零星短暫降雨。最新(21日20時)歐洲(ECMWF)系集模式模擬「樺加沙」的動向、與最新(22日2時)氣象署「路徑潛勢預測圖」類似,系集模擬平均路徑,通過巴士海峽,個別模擬路徑雖分散兩側,但相對收歛、顯示「不確定性」縮小。氣象署預測「樺加沙」的中心附近平均風速、最強達60米/秒,已穩居今年的「風王」。由於「樺加沙」為大型強颱,颱風中心即使不登陸,颱風及外圍環流與地形的交互作用,仍將帶來強風及致災豪雨的威脅,絕不可小覷。至於「強颱浣熊」,無論各國模式模擬、或氣象署「路徑潛勢預測圖」的預測路徑,距台都很遙遠,對台無威脅。各國模式模擬顯示,本週另有一熱帶擾動在菲律賓東方海面發展,大致通過菲律賓、進入南海,對台亦無影響。氣象粉專「林老師氣象站」則發文表示,根據中央氣象署22日晨03時最新颱風情資分析顯示,樺加沙颱風,正以每小時21公里的速度,向西方向前進。颱風未來強度仍有再增強,且暴風圈也有再擴大的趨勢;由於,一路過來,颱風結構均未受地形破壞,目前中心氣壓已經下降到900hPa,近中心最大風速也達每秒58公尺,將會維持強烈颱風之姿,通過巴士海峽。而颱風中心距離臺灣最近的時間,會落在22日、23日2天;尤其是,自22日下半天至23日的這段時間,風雨浪對臺灣的影響也將會是最大、最嚴重的時段。注意,這時候的樺加沙颱風,強度是強烈颱風。22日日下午起,宜蘭縣山區、花蓮縣山區、新北市山區、恆春半島及蘭嶼、綠島都有局部大雨至豪雨或以上發生的機率;東半部、大臺北、屏東地區及桃園、臺中、南投、高雄山區也有局部大雨至豪雨發生的機率。而蘭嶼、綠島、屏東縣局部地區會有平均風9級以上或陣風11級以上發生的機率;其它地區也要留意,平均風力再增強至6至8級或以上、陣風出現8至10級或以上的劇烈變化。
雙強颱共舞!樺加沙強度大躍升「登今年風王」 1圖看風雨時程
今年第18號颱風「樺加沙」今天(21日)稍早已增強為強烈颱風,目前位在菲律賓東方海面,以每小時15公里速度向西北進行,暴風圈恐影響台灣。專家表示,樺加沙的颱風眼清晰可見,相當銳利,環流結構紮實,且最近一段時間內強度大躍升,已直接超越強颱「浣熊」暫居今年風王,未來還有繼續增強的空間。氣象粉專「台灣颱風論壇|天氣特急」表示,樺加沙的颱風眼清晰可見,相當銳利,環流結構紮實,最近一段時間內強度大躍升,不僅已正式升級為強烈颱風,甚至直接超越另個強颱浣熊,暫居今年風王,未來還有稍微增強的空間。另一方面,氣象署也在臉書粉專「報天氣 - 中央氣象署」說明樺加沙的風雨影響時程,首先颱風在大季風低壓區中發展,外圍環流廣,隨颱風接近,將使沿海與離島出現強風;今天晚間至週一(22日)白天,颱風接近臺灣東南方海面,東半部雨勢漸強,北部有間歇陣雨,中部以北、東半部、恆春半島、各離島風力增強。氣象署指出,明晚至週三(24日)清晨,颱風逐漸移至臺灣西南方海域,東半部持續有雨 ,花東地區、宜高屏山區有豪雨以上等級降雨,基隆北海岸、東半部地區、恆春半島、屏東地區及各山區:局部大雨或豪雨;而隨著強風進入臺灣海峽,高屏沿海、中部以北、東半部、恆春半島、各離島,風力明顯偏強,大臺北地區也有較強陣風。到了週三白天,颱風自臺灣西南方海面持續往廣東海面移動,水氣仍多,天氣不穩定,花東地區留意局部大雨。氣象署提醒民眾,週一、週二風勢明顯增強,山區易有強風與連續降雨,避免前往山區活動,海面風浪大,沿海有強陣風,避免海邊活動。氣象署在臉書粉專「報天氣 - 中央氣象署」說明樺加沙的風雨影響時程。(圖/氣象署)
樺加沙恐成強颱接近台灣!最快週日海警 專家:挑戰今年風王
今天(20日)花、東及恆春半島有不定時局部短暫陣雨,其他地區多雲可見陽光,午後在西半部地區及東北部山區有局部短暫雷陣雨,特別是桃園以南可能有局部大雨。至於颱風方面,輕颱「樺加沙」持續增強、暴風半徑擴大,接近台灣時將達中颱上限,不排除成為強颱,中央氣象署預計明(21)日上午發布海警、明晚發布陸警。氣象署最新資料顯示,輕颱「樺加沙」20日2時的中心位置在北緯16.4度、東經129.9度,以每小時5公里速度,向西北、巴士海峽前進,未來強度會持續增強,暴風半徑也逐漸擴大,接近台灣時將達中颱上限,不排除增強為強颱,而台東、屏東、恆春、高雄、台南、澎湖均有50%機率被侵襲,預計明日上午發布海警、明晚發布陸警。輕颱「米塔」今晨登陸大陸廣東後已減弱為熱帶性低氣壓,中颱「浣熊」因距離較遠,目前對台灣沒有影響。氣象專家吳德榮在「氣象應用推廣基金會」專欄「洩天機教室」撰文道,最新(19日20時)歐洲模式(ECMWF)模擬顯示,今日大低壓環流的水氣影響,花東偶有局部短暫降雨;午後西半部有局部陣雨或雷雨,有大雷雨發生的機率,應注意;北台白天仍酷熱,其他各地高溫微幅下降,仍偏熱;各地區氣溫為:北部24至37度、中部22至36度、南部23至35度、東部22至36度。吳德榮提到,明日水氣略減,各地晴朗炎熱,午後山區有局部短暫陣雨或雷雨,擴及部分平地;明傍晚起「樺加沙」外圍接近,大台北及宜花漸轉有雨。下週一(22日)至下週三(24日)「樺加沙」通過巴士海峽、進入南海,大台北、東半部及南部先後有明顯降雨,東半部及南部山區慎防大量降雨致災,南台灣、各地沿海應慎防強風,台灣附近各海面應防狂風巨浪。下週四(25日)「樺加沙」遠離,上半天花東及高屏仍有降雨,下半天好轉。下週五(26日)各地晴朗炎熱,午後山區有局部短暫陣雨或雷雨的機率。吳德榮說,最新氣象署路徑潛勢預測圖顯示,輕颱「米塔」登陸廣東後,今晨已減弱為熱帶低壓;中颱「浣熊」距台遙遠,對台無威脅。輕颱「樺加沙」是唯一具有威脅的颱風。吳德榮指出,最新歐洲系集模式模擬「樺加沙」的動向,與最新氣象署路徑潛勢預測圖類似,系集模擬平均路徑,通過巴士海峽,個別模擬路徑則分散在兩側,顯示其動向的不確定性。目前氣象署預測「樺加沙」中心附近平均風速、最強將達每秒48公尺,超過劍魚、楊柳每秒43米公尺的紀錄,有挑戰今年「風王」的機率。但由於其動向仍有不確定性,關於是否帶來更大的威脅?仍待持續觀察。吳德榮說明,最新歐洲系集模式模擬「樺加沙」的動向,與最新(20日2時)氣象署「路徑潛勢預測圖」類似,系集模擬平均路徑,通過巴士海峽,個別模擬路徑則分散在兩側,顯示其動向的「不確定性」。(圖/翻攝自氣象應用推廣基金會)氣象專家林得恩於臉書粉專「林老師氣象站」發文表示,「挑戰今年的風王!」根據20日02時中央氣象署最新颱風情資顯示,「樺加沙」後續發展的強度至少可達到中颱至強颱等級之間,七級風平均暴風半徑可達280公里,十級風平均暴風半徑也有90公里,近中心最大風速每秒48公尺,逼近強颱的下限,有可能成為今年以來南海及西北太平洋海域的「風王」。林得恩說明,「樺加沙」(RAGASA)颱風名稱是由菲律賓氣象部門提供,有「快速移動」的意思,目前評估明日上午就會發布海上颱風警報,明晚追加發布陸上颱風警報,下週二(23日)深夜解除海上颱風警報,前後警報影響時間約60小時左右。下週一至下週二,「樺加沙」將會最靠近台灣陸地,這也是風雨浪影響最大時段;下週三颱風殘餘外圍雲系,在花東地區的降雨仍會持續,應加強注意防範。
頑強不死!颱風萬宜強度破表成「年度風王」 規模遠超山陀兒、康芮
今年11月西太平洋出現罕見「四颱共舞」場面,打破歷史紀錄。撇除即將消散的銀杏颱風,此前最不被專家看好的就是如今在菲律賓附近的第24號颱風「萬宜」,當時各路專家預估它很快就會消散,未料如今不僅成為強烈颱風,且強度遠超山陀兒、康芮巔峰時期,成為2024年「年度風王」。氣象粉專提醒,雖然萬宜不會侵台,但明(17)天到下週三(20)期間,其外圍水氣會飄到台灣上空,造成各地天氣不穩定。根據氣象署資料,強颱「萬宜」目前中心位在菲律賓近海,以每小時22公里速度向西北西進行。中心氣壓已低至900百帕,近中心最大風速每秒60公尺,瞬間最大陣風每秒75公尺,七級風平均暴風半徑180公里、十級風平均暴風半徑80公里。另據氣象署過去資料,康芮巔峰時期中心氣壓為925百帕,中心最大風速、瞬間最大陣風為51/63公尺;山陀兒時期中心氣壓則是915百帕,中心最大風速、瞬間最大陣風為55/68公尺,2個颱風皆遠不如目前萬宜巔峰狀態。氣象粉專「台灣颱風論壇|天氣特急」透露,在萬宜生成初期,各路專家其實不太看好,認為環境不利颱風發展,很快就會減弱為熱帶性低氣壓並在海面上消散。沒想到如今不僅一路頑強的成長為強颱,更是規模遠超預期的2024年度風王,也證明秋颱變化多端、難以預測。「台灣颱風論壇|天氣特急」還提醒,雖然萬宜颱風不會直接侵襲台灣,但當颱風抵達菲律賓後,一直到進入南海這段期間,其外圍水氣會飄到台灣上空,從明(17)天到下週三(20)各地天氣不穩定,有下雨機會,尤其明天東北季風增強,宜蘭、基隆北海岸、大台北、北花蓮位於迎風面,下雨時間長,基隆北海岸、台北東側、宜蘭甚至有強降雨發生的機會。
萬宜轉強颱!威力達巔峰「挑戰今年風王」 外圍水氣明起連續甩雨4天
輕颱「天兔」颱風已於今(16日)上午11時減弱為熱帶性低氣壓,中心在臺灣西南方近海,向東轉北北東移動,對高雄、屏東、臺東及恆春半島的影響程度降低。氣象專家透露,「萬宜」已悄悄增強為強烈颱風,成為今年第6個強颱,目前處於巔峰狀態,有機會挑戰今年的風王,雖然不會直接侵襲台灣,但外圍水氣仍可能帶來降雨。氣象粉專「台灣颱風論壇|天氣特急」表示,萬宜已悄悄增強為強烈颱風,成為今年第6個強颱,目前處於巔峰狀態,有機會挑戰今年的風王,預計將朝西北西移動,明天(17日)下半天登陸呂宋島,並於週一(18日)進入南海,接著繼續朝海南島前進,直接侵襲台灣的機率很低。專家指出,雖然萬宜不會直接侵襲,但當颱風抵達菲律賓後,一直到進入南海這段期間,其外圍水氣會飄到台灣上空,從明天到下週三各地天氣不穩定,有下雨機會,尤其明天東北季風增強,宜蘭、基隆北海岸、大台北、北花蓮位於迎風面,下雨時間長,基隆北海岸、台北東側、宜蘭甚至有強降雨發生的機會。另外,天兔颱風已減弱為熱帶性低氣壓,中心在臺灣西南方近海,向東轉北北東移動,對高雄、屏東、臺東及恆春半島的影響程度降低;但今日臺東及南部地區,仍有局部大雨發生的機率,其他地區也有局部短暫降雨發生;到了晚上基隆北海岸、大臺北山區及宜蘭地區雨勢逐漸增大,有局部大雨發生的機率。
明颱風假?康芮挑戰「西太風王」 13地暴風圈侵襲機率100%
今年第21號颱風「康芮」持續增強,氣象署也於今(30日)早8時宣布「康芮」已轉為強度颱風,目前向西北方向前進中,提醒民眾務必盡早做好防颱準備。氣象粉專也指出,「康芮甚至有機會衝擊今年西太風王」。而根據氣象署最新公布的未來120小時颱風暴風圈侵襲機率顯示,有「13個地區」達到100%。氣象署說明,「康芮」30日10時的中心位置在北緯19.3度,東經124.6度,即在鵝鑾鼻的東南方約480公里之處。氣象署目前也持續發布海上、陸上颱風警報。根據《三立新聞網》報導,氣象署預報員朱美霖表示,今晚至週五清晨將是颱風影響最為嚴重的時段,並且不排除颱風在週四中午至傍晚之間登陸花蓮以南地區。氣象粉專「觀氣象看天氣」也表示,「康芮」的暴風圈十分廣闊、對稱,而根據氣象署的最新一報,「康芮」暴風圈已達300公里,「目前康芮還有大概18小時的發展空間,發展成強颱已是臨門一腳,甚至有機會衝擊今年西太風王,毫無疑問從Multiplatform再分析風場中,其暴風範圍已超過2015年蘇迪勒颱風」。粉專認為,「康芮」在歷年登台颱風中,可說是既1996年賀伯颱風以來最胖的登台颱風,當年賀伯颱風的暴風圈達350公里,「康芮」為各地所帶來強風也會相當顯著,提醒民眾務必嚴加戒備。從氣象署最新觀測的「各主要城市、離島120小時颱風暴風侵襲機率」顯示,康芮暴風圈侵襲機率達100%共計13個地區,包括台中市、彰化縣、南投縣、雲林縣、嘉義市、嘉義縣、台南市、高雄市、屏東縣、台東縣、恆春、蘭嶼、綠島;90%以上的則有10個地區,分別是花蓮縣、澎湖縣、連江縣、新竹市、新竹縣、苗栗縣、宜蘭縣、台北市、新北市、桃園市。
風王「摩羯」颱風強襲! 中國海南、廣東、廣西急停班停課
「廣東天氣」官方微博指出,今年第11號颱風「摩羯」已於昨(6日)16時20分前後以超強颱風級在海南文昌市沿海登陸,登陸時中心附近最大風力17級以上(62米/秒)。今年第11號颱風「摩羯」(超強颱風級)9月6日16時20分在海南文昌沿海登陸,登陸時中心附近最大風力17級以上。 6日18時,大陸中央氣像台繼續發布颱風紅色警報。颱風「摩羯」6日22時20分左右在廣東省湛江市徐聞縣沿海二次登陸。綜合新浪財經及央視的報導,為因應風王「摩羯」颱風,海南省9月5日起,海口市、東方市、三亞市等地分批啟動停課、停航、停工、停駛、停業等措施。所有托兒所、幼兒園、中小學校停課,在建工地停工,公車、客運全部停運,商場、餐飲場所等單位和商家停止營業。廣東省9月6日,珠海全市所有托兒所、幼兒園、普通中小學校、中等職業學校(含技工學校)及校外培訓機構全天繼續停課。濱海浴場、景觀區、公園、遊樂場停止開放;香洲港、九洲港、橫琴客運碼頭停航;珠海機場多班航班取消。深圳全市中小學、幼兒園和托兒所停課。廣西省9月5日22時,廣西將防颱風三級緊急應變提升為二級緊急應變。廣西北海市防汛抗旱指揮部消息,為確保人民生命財產安全,決定自9月6日起在北海市範圍內啟動「停課、停工、停遊、停市、停業」等「五停」措施:9月6日8時起,潿洲島旅遊區全面啟動「五停」措施。潿洲島—北海遊船航線停止運作。合浦縣、海城區、銀海區、鐵山港區分時段啟動「五停」措施。大陸國家防災減災救災委員會6日針對第11號颱風「摩羯」對海南、廣東造成的嚴重影響,啟動國家四級救災應急響應,派出工作組赴災區實地查看災情,指導及協助地方做好受災群眾基本生活保障等救災救助工作。截至9月6日18時,南方電網公司累計投入搶修人員1.5萬餘人、搶修車輛2200多輛、應急發電車455台、應急發電機675台開展搶修復電工作。
強颱摩羯「中心風速每秒58公尺」 氣象粉專:暫為今年風王
今、明(6日、7日)兩天水氣偏多,台灣南部及東半部地區有局部短暫陣雨,清晨中部以北地區亦有零星短暫陣雨,其他地區及澎湖、金門、馬祖為多雲,午後各地有局部短暫雷陣雨。氣象粉專分析,魔羯颱風再度增強,暫時成為今年度的風王。氣象署預報,今(6日)水氣仍偏多,環境吹東南至偏南風,迎風面的南部及東半部地區不定時有短暫陣雨,其他地區及澎湖、金門、馬祖為多雲到晴,午後各地有局部短暫雷陣雨,在中南部地區降雨機率較高,有局部大雨發生的機會。氣象粉專表示,魔羯颱風再度增強,暫時成為今年度的風王。(圖/台灣颱風論壇|天氣特急)根據氣象署資料,強烈颱風摩羯中心氣壓905百帕,今(6日)8時的中心位置在北緯19.1度,東經112.3度,即在海口東南東方220公里之海面上(鵝鑾鼻西南西方930公里之海面上),以每小時19公里速度,向西北西進行,中心附近最大風速每秒58公尺(即每小時209公里),相當於17級風,瞬間最大陣風每秒73公尺(即每小時263公里),相當於17級風以上,7級風暴風半徑250公里,10級風暴風半徑110公里,預測明(7日)8時的中心位置在北緯20.4度,東經108.2度,即在海口西北西方240公里之海面上(鵝鑾鼻西方1320公里之海面上)。氣象署指出,第11號強烈颱風摩羯持續朝西北西方向移動,今(6日)起將逐漸影響廣東、海南島、雷州半島、廣西及越南一帶,對台灣天氣無直接影響;此外,日本東方海面的第12號輕度颱風麗琵,距離非常遙遠,對台灣天氣無影響。氣象粉專《台灣颱風論壇|天氣特急 》表示,魔羯颱風再度增強,近中心風速達到每秒58公尺,暫時成為今年度的風王,颱風中心已經靠近海南島,預計今(6日)傍晚左右就會登陸。
魔羯颱風強又大!鄭明典:會帶來很大災害 飛港澳部分航班取消
今年第11號颱風「魔羯」5日上午發展為強烈颱風,對台灣沒有直接影響,但迎風面東半部、高屏一帶會有短暫陣雨,周末恐襲擊中國東南島,前氣象局長鄭明典表示,魔羯這樣的颱風是會帶來很大的災害。而部分飛港澳的航班受颱風影響,有的提前也有的已經取消。「魔羯」颱風強度已於4天內連升5級,前氣象局長鄭明典5日上午也發布魔羯「開眼圖」,指出魔羯颱風又強又大,就算現在觀測和預報能力很強,「這樣的颱風還是會帶來很大的災害」。天氣風險公司氣象部經理吳聖宇說明,台灣附近受颱風外圍帶來的影響,迎風面東半部、恆春半島、高屏一帶有局部短暫陣雨,午後台中以南局部雷雨機會大,台中以北天氣則相對穩定。而氣象粉專《觀氣象看天氣》則認為,「魔羯」颱風強度已達每秒43公尺,預計有望來到每秒53公尺(相當於16級風),很有機會成為今年度風王,華南地區勢必要嚴加預防風災。在「魔羯」的影響下,台灣多個航空基於飛行安全考量,部分飛港澳的航班也有異動。中華航空6日往返香港航班異動,桃園往返香港CI909/CI914、CI915/CI916航班提前,桃園往返香港CI919/CI920、CI923/CI924、CI921/CI922及高雄往返香港CI935/CI93的航班取消。長榮航空則公布6日桃園往返澳門航班全日取消,7日2班桃園往返澳門航班會改為大機型波音777-300ER,以利疏運旅客;6日桃園往返香港、高雄往返香港航班則正常飛航,並將視天候狀況機動調整航班。星宇航空公告取消往返香港和澳門部分航班,5日台北往返香港JX235、JX236取消,台北往返澳門JX205、JX206及台中往返澳門JX331、JX332取消航班;6日台北往返香港JX231、JX232、JX235、JX236航班取消,台北往返澳門JX201、JX202、JX205、JX206及台中往返澳門JX331、JX332取消航班。台灣虎航指出,魔羯颱風路徑及外圍環流影響,基於飛安考量,部分航班異動,6日桃園往返澳門IT301、IT304航班取消,台中往返澳門IT371、IT372航班取消,高雄往返澳門IT321、IT322航班取消;其餘航班將依天氣狀況調整,航班最新離到時間依各機場公布為準。
挑戰「風王」寶座!颱風布拉萬最強核心距離:等同「台北到台南」
今年第15號颱風「布拉萬」今(11日)增強為強烈颱風,以每小時18公里的速度,持續往北北西方向移動,對台灣及日本均無直接影響。對此,氣象粉專也透露,持續茁壯的布拉萬,未來12小時將達強度巔峰,有望挑戰今年的風王「瑪娃」颱風。氣象粉專「台灣颱風論壇|天氣特急」表示,強颱「布拉萬」持續增強,未來12小時將達最顛峰狀態,有機會挑戰今年風王「瑪娃」颱風,且颱風最強核心範圍,「大約是台北至台南的距離!」不過,氣象粉專也指出,隨著「布拉萬」周五(13日)進入海水熱焓量較較低的區域後,由於環境不利颱風發展,強度將逐漸減弱。事實上,今年第2號颱風「瑪娃」(Mawar)近中心最大風速為每秒58公尺,超越2011年的桑達颱風(每秒55公尺),一舉奪下「風王」寶座,當時中央氣象署也曾針對瑪娃颱風發布海上颱風警報。