颱風眼牆
」 颱風 登陸 凱米 氣象署 吳聖宇
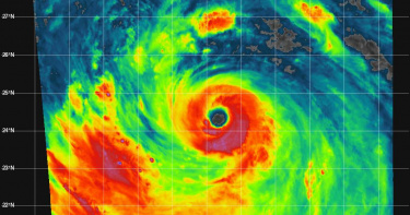
「樺加沙」將達巔峰!明中午前9縣市近停班課標準 專家:恐再增強
強烈颱風「樺加沙」中心目前在鵝鑾鼻東南方海面,向西轉西北西進行,其暴風圈正逐漸進入恆春半島,對台東、屏東、恆春半島及高雄將構成威脅;根據22日上午10時最新風雨預報,預測23日中午前,共有9縣市風力、雨量達停班停課標準。而氣象專家也透露,不排除颱風強度還有可能再稍微增強,未來12小時要多加留意颱風的巔峰狀態。氣象粉專「台灣颱風論壇|天氣特急」22日稍早在臉書發文指出,「樺加沙」在未來12小時,將會達到最巔峰的狀態,21日晚間颱風眼牆順利完成置換,預估22日白天還可能略為增強。天氣風險公司吳聖宇也提到,「樺加沙」的最大風速已經來到每秒58公尺,追平2024年重創海南島的「摩羯」颱風;暴風半徑更是來到320公里,可以說是一個又大又強的颱風。而22日經過巴士海峽、恆春以南海域時,不排除強度還有可能再稍微增強,半徑也可能會有再稍微擴大的機會。目前中央氣象署發布的颱風警戒區域包含陸上警報:台東、恆春半島、屏東及高雄地區;海上警報:台灣海峽南部、台灣東南部海面、巴士海峽、東沙島海面。「樺加沙」暴風圈正逐漸進入恆春半島,未來強度仍有稍增強且暴風圈有稍擴大的趨勢。另根據氣象署風力預報顯示,達停班課標準地區為桃園市濱海鄉鎮、新竹市濱海鄉鎮、新竹縣濱海鄉鎮、苗栗縣濱海鄉鎮、恆春半島、台東縣濱海鄉鎮、蘭嶼綠島、連江縣、金門縣;雨量預報達停班課標準地區為花蓮縣山區、台東縣山區。依《天然災害停止上班及上課作業辦法》規定,預報颱風暴風半徑於4小時內可能經過之地區,平均風力可達7級以上或陣風可達10級以上時;或未來24小時累積雨量預測達山區200毫米及平地350毫米(部分縣市不分平地山區均為350毫米),且已致災或有致災之虞時,達到停班停課標準。不過是否停班停課,最終是由各縣市政府決定。氣象署雨量預測。(圖/中央氣象署)氣象署風力預測。(圖/中央氣象署)
最新AI預測出爐!天兔「更靠近台灣」風雨最強時段曝 若發陸警將創1紀錄
今年第25號颱風「天兔」今日上午8時增強為中度颱風,位於鵝鑾鼻東南方1100公里之海面上,朝西北西進行,週四(14日)將移動至巴士海峽,隨後由臺灣東南方海面北上的機率較高。天氣職人吳聖宇表示,雖然天兔的颱風眼牆逐漸建立,但風場很小,目前也沒有擴大跡象,可能要到半徑100公里內的範圍才會有明顯風雨。吳聖宇在臉書分析,天兔週五(15日)快速靠近恆春半島、台東近海,暴風圈預計下午開始接觸恆春半島,傍晚到午夜將是颱風中心最靠近台東沿岸的時間點,午夜後中心逐漸往東部海域移動,開始遠離沿岸區域,預期週五宜蘭以南、花蓮、台東、恆春半島、高屏山區一帶風跟雨會漸趨明顯,下午到午夜期間風雨最大。(圖/翻攝自天氣職人-吳聖宇臉書)專家指出,台東、恆春半島、綠島蘭嶼等地需要嚴防強風豪雨,其次就是花蓮地區、宜蘭地區以及高屏山區,也會有些風跟雨較大的情況,高屏的平地一帶則是可能會有陣雨的現象,不過風力相對較小;北部地區預估仍是以東北角、基隆北海岸、大台北東側等地比較容易有陣雨的現象,內陸可能不太有颱風的感覺。吳聖宇表示,週六(16日)凌晨過後到清晨這段期間,颱風中心繼續往東部海面移動,同時颱風強度持續減弱,暴風圈縮小,有可能週六上午就會解除陸上颱風警報,下午再解除海上颱風警報。不過,週六清晨前在東半部仍可能有陣雨,清晨到上午隨著颱風進一步遠離,雨勢就會明顯趨緩下來。(圖/翻攝自天氣職人-吳聖宇臉書)另外,臉書粉專「觀氣象看天氣」分享天兔的AI路徑預測,目前皆認為天兔會在靠近恆春一帶北轉,部分AI有更往西偏的跡象,整體平均路徑已經貼近台灣陸地,比昨天更靠近台灣,未來幾天仍要留意是否有更靠近台灣的機會,將直接影響到南、高、屏及花東的風雨。粉專提到,氣象署預估分別在明天清晨及傍晚發布海景、陸警,「若順利發布陸警,將又創了一個紀錄!氣象署在歷史上(1958年以來),尚無在11月發布2個『陸上颱風警報』的記錄。再者若中心直接登陸?將繼承上次康芮未完成衣缽,成為1967年吉達颱風以來11月登陸台灣的紀錄」。
英美「追風人」直擊康芮強襲台東 驚喊:一頭野獸
颱風康芮於10月31日登陸台灣,導致全台風雨交加,還吸引了許多來自世界各地的「追風人」專程前來台灣東部,捕捉壯觀畫面。其中來自英國的雷諾茲(James Reynolds)和來自美國的莫格曼(Josh Morgerman),分別透過社群平台分享他們第一線的驚險經歷。擁有近5萬名追蹤者的英國追風者雷諾茲,早在10月30日便從日本搭機來台,他還形容康芮為「一頭野獸」。他指出,這場颱風不僅可能是這個世代最具代表性的風暴,也是他親眼見過最令人震撼的颱風之一。雷諾茲在台東成功漁港蹲守,並於凌晨3時20分左右開始記錄康芮侵襲台灣東海岸的過程。他描述,當時風雨逐漸加劇,周圍建築物開始發出異常聲響,甚至伴隨著巨大撞擊聲。雷諾茲還拍攝到了罕見的颱風眼現象。在短暫的風平浪靜後,風雨迅速捲土重來,這段畫面被他形容為「教科書等級」的颱風眼移動過程。雷諾茲多次來台觀測颱風,曾在10月初「山陀兒」颱風期間前往高雄進行天氣觀測。他表示,這是他第25次來台。此外,來自美國的莫格曼同樣在颱風前夜抵達台東市,並於31日清晨開始記錄風暴發展。他在社群平台上分享,當時雖然台東市尚未進入颱風眼牆區域,但風雨已經相當強烈。他計劃前往高樓層觀察颱風直擊的全貌,並提到,「台灣和日本是全球最容易受到颱風侵襲的兩個國家,我一直對這兩個社會在面對強烈颱風時展現的應變能力感到驚嘆」。
強颱康芮逼近家門口!綠島居民PO出「風雨災難片」驚呼:要怎麼安心睡
強颱「康芮」逼近家門口,暴風圈已經進入宜蘭、花蓮、台東及台中以南陸地,預計今(31日)中午至傍晚將在花東一帶登陸,狂風暴雨來襲,各地不斷傳出災情。就有居住在綠島的民眾PO出風雨交加的可怕畫面,嚇壞直呼「怎麼安心入睡」。一名男網友今(31日)在臉書社團「爆料公社」崩潰發文,「都還沒登陸就這樣,怎麼安心入睡⋯⋯」,從原PO曬出的影片中可見,猛烈暴雨不停開炸,眼前視線模糊一片,耳邊還不時傳來狂風大作的吵雜巨響,讓人根本不敢踏出家門半步。畫面曝光後,引起網友留言熱議,「希望綠島小島平安無事」、「願風雨趕快停」、「上次高雄也是這樣,半夜就聽到風雨很強,早上更恐怖…」、「上次山陀兒就是這樣,大家注意安全」、「超恐怖,台東也是風大雨大,完全不敢睡。」另外,也有網友在社群平台Threads分享康芮的颱風眼,震驚表示「這個颱風眼牆完整度,好像在《明天過後》裡看過」,呼籲大家要小心注意安全。貼文一出,網友紛紛傻眼喊道,「這是我此生看到最誇張的颱風眼了」、「超級無敵清楚的颱風眼,看到就很抖,但好像甜甜圈喔」、「已經嚇死了這個風」、「該不會真的要明天過後。」
山陀兒颱風轟炸!高雄刮17級陣風「百年榕樹被拔起」 工地警衛亭壓倒1人
山陀兒颱風12點30分已從高雄小港、旗津附近登陸,高雄今日風強雨驟,各地災情頻傳。高雄市民生一路與復興路口的「安全帽榕樹」也不敵強風吹襲,被連根拔起砸中後方民宅;小港區還有民眾被倒塌的警衛亭給壓在底下。高雄百年榕樹原本長這樣。(圖/翻攝記者爆料網)安全帽樹被強風連根拔起。(圖/翻攝記者爆料網)氣象署針對高雄市、屏東縣地區發布颱風強風警報,將出現平均12級風或14級陣風以上風力,高雄市民生一路與復興路口的「安全帽榕樹」不敵強風,被吹倒壓到後方民宅,此處正好是光陽機車共同創辦人柯新坤的「起家厝」,這棟民宅興建於1957年,至今已有67年歷史,1965年柯家買下,目前已無人居住。山陀兒颱風眼牆稍早砸在高雄港海岸線上,二港口測得破紀錄的56.3m/s 17級陣風,創下高雄史上最強風速。小港林園區延海路積水,路面變成海面,市區也有好幾處路樹傾倒。高雄小港驚人巨浪(圖/翻攝記者爆料網)高雄小港區,公園樹木倒了近一半。(圖/翻攝記者爆料網)高雄小港區,公園旁機車被強風吹倒。(圖/翻攝記者爆料網)小港區大業南路一處工地也傳出災情,工地的警衛亭疑似抵不住颱風的瞬間17級風力倒塌,一位民眾被壓在底下,目前警方已經到場幫忙移開警衛亭,民眾傷勢還在了解當中。民眾被工地警衛亭壓到,警方到場協助。(圖/翻攝記者爆料網)高雄港鷹架吹倒塌。(圖/翻攝記者爆料網)高雄高鳳櫃場倒塌。(圖/翻攝記者爆料網)
山陀兒速度真的超慢!登陸後環流很快潰散 晚上恐減弱熱帶低壓
山陀兒颱風目前中心在高雄南南西方近海,向北北東轉北移動,其暴風圈已進入台中以南、南投、花東陸地及澎湖,對桃園以南、南投、宜蘭、花蓮、台東地區及澎湖構成威脅,預計此颱風強度有持續減弱的趨勢。天氣粉專預估,山陀兒颱風有機會減弱為熱帶性低氣壓或一般低壓。天氣粉專《天氣風險 WeatherRisk》指出,現在這個時間點,颱風中心已經在高雄的近海,高屏沿海正在接受颱風眼牆最劇烈的風雨,高雄港觀測到15級以上的陣風,顯示颱風的低層核心環流仍相當的扎實,到今(3日)傍晚前,台南以南都要嚴防狂風暴雨的天氣。山陀兒颱風有機會減弱為熱帶性低氣壓或一般低壓。(圖/氣象署)天氣粉專《天氣風險 WeatherRisk》分析,颱風預估在中午前登陸,登陸後颱風中心將沿高雄、台南平地緩慢北上,同時強度也會快速減弱,目前模式資料顯示颱風登陸後環流會很快的潰散,也許到今(3日)晚間,就已經看不出颱風的中心環流,屆時也有機會減弱為熱帶性低氣壓或一般低壓。天氣粉專《天氣風險 WeatherRisk》表示,北台灣受到颱風外圍水氣與東北季風加成,也有一陣一陣的強風驟雨,會持續到明(4日)白天;另外台東、恆春半島的累積雨量已經破千毫米,台東金針山甚至來到1600毫米,整個東半部的累積雨量都相當快速,預估在今(3日)下午後才會逐漸緩和,請東半部的朋友們也要特別留意土石災害的發生。氣象專家賈新興則在臉書直言,山陀兒速度真的超慢,預估於今(3日)中午前後,登陸台南至高雄交界一帶的機率,登陸後受地形破壞及乾空氣逸入影響,強度迅速減弱,於明(4日)下午有減弱為熱帶性低氣壓的趨勢。
山陀兒核心仍完整!眼牆不斷摩擦「高雄颳17級風」 粉專:別跑出門拍照
山陀兒颱風今(3日)11時的中心位置在北緯22.4度,東經120.2度,即在高雄的西南方約30公里之處,以每小時8轉4公里緩慢速度,向北北東轉北進行。氣象粉專《台灣颱風論壇|天氣特急》提醒,請高雄、屏東沿海地區朋友務必注意自身安全,不要冒險跑出門拍照。最新資料顯示,山陀兒颱風目前中心在高雄西南方海面,向北北東轉北移動,其暴風圈已進入彰化以南、南投、花東陸地及澎湖,對桃園以南、南投、宜蘭、花蓮、台東地區及澎湖構成威脅,預計此颱風強度有持續減弱的趨勢。山陀兒颱風目前中心在高雄西南方海面,向北北東轉北移動,其暴風圈已進入彰化以南、南投、花東陸地及澎湖。(圖/台灣颱風論壇|天氣特急)氣象署預報,今(3日)中午前後山陀兒颱風有機會從南部登陸,登陸之前南部地區風雨持續,有局部大豪雨發生的機率,屏東山區甚至有局部超大豪雨,另外基隆北海岸、大台北及東半部也要留意強降雨及豪雨或大豪雨,台東甚至有超大豪雨,中部以北也有間歇性降雨及局部大雨;颱風登陸後強度將快速減弱,南部風雨有逐步緩和的趨勢,花東仍要留意強降雨,北部、東北部及馬祖則因東北季風及水氣偏多,降雨機率仍高,雨勢較為持續,中部及澎湖、金門仍是間歇性陣雨的天氣。氣象粉專《台灣颱風論壇|天氣特急》表示,山陀兒外觀雖然縮水、強度減弱,但它環流緊縮,最強的核心還是相當完整,目前颱風眼牆已經在侵襲高雄市區、屏東沿海,風雨非常猛烈,高雄港二港口已經測得每秒63.1公尺17級以上強風,已打破該測站歷史紀錄。氣象粉專《台灣颱風論壇|天氣特急》也提醒,請高雄、屏東沿海地區朋友務必注意自身安全,不要冒險跑出門拍照,現在只能祈禱山陀兒一鼓作氣登陸,不然颱風眼牆核心不斷摩擦高雄,會是非常嚴峻挑戰。
凱米颱風挾豪雨「雨量破千毫米」 估今晚解除陸警
凱米颱風於今(25日)零時左右由宜蘭南澳鄉登陸,登陸之後受地形影響,強度減弱為中度颱風,清晨4時許由桃園市新屋區附近出海,不過暴風圈仍籠罩台灣及澎湖、馬祖並逐漸進入金門,各地風雨持續中。氣象署針對「高雄市、屏東縣」發布大雷雨即時訊息。天氣粉專「天氣風險 WeatherRisk」也指出,今年第一個登陸台灣的颱風凱米,也是8年來首個登陸的強颱。氣象署指出,24日受颱風及其外圍環流影響,越晚風雨越強,上午降雨在北部、東北部山區較明顯,隨後下午中南部地區降雨亦增加,整體風雨越晚越強,尤其山區降雨更明顯,宜蘭太平山累積雨量已超過900毫米,屏東山區也以超過500毫米。天氣粉專「天氣風險 WeatherRisk」也發文表示,今年第1個侵襲台灣的颱風凱米可說是一日多變,首先是因為優異的海溫條件,昨天白天在台灣東方海面增強為強烈颱風,使其成為自2016年尼伯特颱風之後,睽違8年再度有強烈颱風登陸台灣。再來是昨天傍晚颱風中心接近宜花近海時受到環流與地形的交互作用,中心出現先往南下墜並且逆時針迴轉一圈後再北上登陸宜蘭南澳的現象。「天氣風險 WeatherRisk」指出,這種情況不但讓颱風中心晚了好幾個小時登陸,也讓颱風眼牆的強風豪雨肆虐花蓮,花蓮市有14級強陣風,宜蘭蘇澳也有13級強陣風,宜蘭市陣風同樣來到11級,宜蘭太平山區的累積雨量在這段期間大幅度增加,截至今天清晨雨量已經逼近1200毫米,花蓮秀林鄉也有750毫米的累積雨量。「天氣風險 WeatherRisk」也表示,颱風夾帶的西南氣流水氣,自昨天晚間起到今天清晨之間已經為中南部地區帶來強風豪雨的現象,尤其是嘉義阿里山以南到高屏一帶山區,短短不到一天的時間就累積了800至1000毫米的雨量,可說是非常驚人,目前凱米颱風中心仍在台灣海峽北部,預估未來將繼續向大陸沿岸移動。不過「天氣風險 WeatherRisk」也提到,從一些高精細的區域模式預報資料來看,今天白天它在海峽北部可能會有速度放慢,結構重整,路線也會有些搖擺不定的現象,可能要一直拖到今天傍晚左右才會在大陸沿岸登陸,暴風圈脫離台灣陸地的時間預估要等到今天深夜,也就是深夜才有機會解除陸上颱風警報,海上警報的解除則要等到明天清晨前後,因此今天一整天全台灣都還是在凱米颱風的影響之下。「天氣風險 WeatherRisk」示警,需要特別注意的就是在苗栗以南一直到台東一帶區域,颱風引進的旺盛西南氣流將帶來非常顯著的降雨,氣象署預估山區有局部超大豪雨(24小時500毫米),平地也可能出現局部的短時豪雨(3小時100毫米)或短時大豪雨(3小時200毫米)的雨量,雨勢驚人,同時伴隨有8至10級的強陣風,風雨的影響可說是相當大,提醒苗栗以南到台東一帶的朋友務必要嚴加戒備。此外,由於凱米颱風及其外圍環流影響,易有短延時強降雨,氣象署也針對「高雄市、屏東縣」發布大雷雨即時訊息,持續時間至12時00分止。
強颱凱米登陸倒數!「南轉再北翹」最新路徑出爐 全台嚴防大豪雨
強颱「凱米」今(24日)晚間6時的中心位置在北緯23.9度,東經121.8度,即在花蓮的東南東方約20公里處。氣象署指出,凱米颱風已非常接近台灣陸地,但路徑並非直線運動,呈擺盪情形,過去2小時受地形影響,過去中心位置速度有減慢趨勢,中心也有往西北移動趨勢,預估中心會在未來幾小時內進入台灣陸地,登陸位置仍有待觀察。氣象署指出,今天受颱風及其外圍環流影響,越晚風雨越強,預估深夜會在宜、花附近登陸,今晚到明(25日)白天是風雨影響最明顯的時候,目前降雨在北部、東北部山區較明顯,隨後下午轉到中南部地區為主,尤其山區降雨更明顯,局部有超大豪雨發生的機率。颱風在接近陸地前速度減慢,可能有打轉或偏折的現象,今晚至明晨宜蘭及北花蓮需特別留意颱風眼牆的強風豪雨。氣象署提醒,颱風登陸後,宜花地區風力會稍微減小,但其他地區仍非常明顯。明天上半天風力雖會減小,但仍有9至10級強陣風、沿海地區風力仍大。颱風在登陸台灣後,預計明天清晨進入台灣海峽,朝福建沿海移動。氣象署強調,颱風目前路徑往南偏折,接觸到台灣陸地後,受地形作用跟環流交互作用影響,未來在南邊打轉或直接北翹,將影響登陸位置,有機會在宜蘭或北花蓮一帶登陸。氣象專家也說明,從現在開始,短時間內需密切觀察凱米是否出現打轉、往下墜等不規則走勢,這些因素將決定颱風中心的登陸地點,目前預估會在宜蘭蘇澳至花蓮市之間登陸。另一方面,凱米引進的西南氣流也會為中南部帶來豪雨,屏東山區時雨量已破百,持續性的猛烈雨勢才正要開始。
凱米肆虐颳強風!花蓮民宅驚傳「外牆剝落砸車」釀1死 宜蘭招牌掉落
強颱「凱米」今(24日)晚間6時的中心位置在北緯23.9度,東經121.8度,即在花蓮的東南東方約20公里處,以每小時19轉12公里速度,向西北進行,各地風雨持續增強。據悉,花蓮市中興路上1棟民宅疑似因強風,導致整片女兒牆外牆掉落,砸中下方汽車,導致2人受傷,其中1人OHCA,搶救後宣告不治。花蓮縣消防部稍早接獲民眾報案,指花蓮市中興路上1棟民宅疑因強風,導致上方女兒牆外牆整片剝落,砸中停在下方的自小客車。警消獲報後趕往現場,發現有2人受傷,其中1人OHCA,經搶救後不治,另1人意識不清。消防局呼籲民眾,颱風侵襲時間,非緊急必要請勿外出,避免發生危險。另一方面,宜蘭今日颳起12級強陣風,南方澳1間餐廳的巨型招牌疑似不敵強風遭吹落,直接砸在馬路中央,交通一度受阻。不僅如此,掉落的招牌還波及到一旁鐵皮屋,導致屋簷受損,進而引發漏水情形,所幸並未造成人員傷亡。警方獲報後,已迅速抵達現場處置,目前現場拉起封鎖線,並實施交通管制。氣象署指出,今天受颱風及其外圍環流影響,越晚風雨越強,預估深夜會在宜、花附近登陸,今晚到明(25日)白天是風雨影響最明顯的時候,目前降雨在北部、東北部山區較明顯,隨後下午轉到中南部地區為主,尤其山區降雨更明顯,局部有超大豪雨發生的機率。颱風在接近陸地前速度減慢,可能有打轉或偏折的現象,今晚至明晨宜蘭及北花蓮需特別留意颱風眼牆的強風豪雨。
凱米還在增強!距宜花50公里「2走勢」決定登陸點 專家示警:雨勢才要開始
強颱「凱米」今(24日)下午3時的中心位置在北緯24.3度,東經122.3度,即在宜蘭的東南方約80公里處,以每小時23轉15公里速度,向西北進行。氣象專家表示,凱米颱風距離宜花陸地僅剩約50公里,開始與中央山脈產生互動,短時間內需密切觀察是否打轉、往下墜等不規則走勢,將決定登陸地點。根據最新資料顯示,凱米過去3小時強度略為增強,目前中心在宜蘭東南方近海,向西北移動,其暴風圈正壟罩臺灣,對臺灣各地及澎湖、金門、馬祖構成威脅,各地風雨持續增強。臉書粉專「台灣颱風論壇|天氣特急」表示,凱米還在增強中,目前距離宜花陸地僅剩約50公里,開始與中央山脈產生互動。專家說明,從現在開始,短時間內需密切觀察凱米是否出現打轉、往下墜等不規則走勢,這些因素將決定颱風中心的登陸地點,目前預估會在宜蘭蘇澳至花蓮市之間登陸。另一方面,凱米引進的西南氣流也會為中南部帶來豪雨,屏東山區時雨量已破百,持續性的猛烈雨勢才正要開始。氣象署指出,今天受颱風及其外圍環流影響,越晚風雨越強,預估深夜會在宜、花附近登陸,今晚到明(25日)白天是風雨影響最明顯的時候,目前降雨在北部、東北部山區較明顯,隨後下午轉到中南部地區為主,尤其山區降雨更明顯,局部有超大豪雨發生的機率。颱風在接近陸地前速度減慢,可能有打轉或偏折的現象,今晚至明晨宜蘭及北花蓮需特別留意颱風眼牆的強風豪雨。氣象署持續發布豪大雨特報,新北市、桃園市、新竹縣、苗栗縣、花蓮縣、臺東縣山區及嘉義縣、臺南市、高雄市、屏東縣平地有局部豪雨或大豪雨,臺北市、新北市、新竹縣、苗栗縣、臺中市、南投縣、雲林縣、宜蘭縣、花蓮縣、臺東縣、彰化縣、嘉義市有局部大雨或豪雨,其他地區及澎湖、蘭嶼、綠島亦有局部大雨。
凱米颱風升級「強颱」穿心 預計晚間登陸台灣
颱風凱米直襲台灣而來,今(24日)除了金門,幾乎全台都放颱風假,而日本氣象廳將凱米颱風升級為「強烈颱風」,而氣象署也指出,「凱米」颱風於今日上午11點增強為強烈颱風,預計今(24日)晚間6時左右在台灣宜蘭或花蓮登陸,呼籲民眾務必做好防颱準備。氣象署說明,凱米24日10時的中心位置在北緯23.7度,東經123.1度,即在宜蘭的東南方約180公里之處,以每小時9轉14公里速度,向西北西進行,近中心最大風速每秒45公尺,約每小時162公里,相當於14級風,瞬間之最大陣風每秒55公尺,約每小時198公里,相當於16級風,七級風平均暴風半徑250公里。根據日本氣象廳官網的「凱米颱風」預報,凱米颱風在上午10時(台灣時間9時)的紀錄,已升級為「強烈颱風」,瞬間最大風速可達每秒65公尺,目前凱米颱風正以每小時約20公里的速度向西北移動。從日本氣象廳的路徑圖可見,若颱風路徑保持不變,凱米颱風將直撲台灣中心,暴風威力將整個台灣籠罩在內,看起來相當驚人。氣象署也指出,「凱米」颱風於今日上午11點增強為強烈颱風,以西北西的方向朝台灣緩慢前進,中心有機會在深夜從宜蘭、花蓮交界登陸,到了明天早上中心將進入台灣海峽,之後往福建前進;提醒大家,颱風中心在接近陸地的過程中,受地形影響路徑仍會有變化,些微的變化有可能影響到各地風雨的大小。而前氣象局長鄭明典也在臉書貼出衛星雲圖表示,「凱米颱風升級強烈颱風」。氣象署表示,今天受颱風及其外圍環流影響,越晚風雨越強,預估深夜會在宜、花附近登陸,今晚到明日白天是風雨影響最明顯的時候,外出請注意安全;目前降雨在北部、東北部山區較明顯,隨後下午轉到中南部地區為主,尤其山區降雨更明顯,局部有超大豪雨發生的機率,連日降雨須留意土石坍方等危險;颱風在接近陸地前速度減慢,可能有打轉或偏折的現象,今晚至明晨宜蘭及北花蓮需特別留意颱風眼牆的強風豪雨。風浪方面;預估今日宜蘭、花蓮沿海及空曠地區將有12至14級強陣風,西半部沿海及空曠地區、基隆北海岸、恆春半島、澎湖、蘭嶼、綠島將有10至11級強陣風,台東沿海及空曠地區、台北市、馬祖將有9至10級強陣風,嘉義市、南投、金門亦有8至9級強陣風。此外,適逢年度大潮,西南部、北海岸、宜蘭及台東在漲潮期間,沿海低窪地區易有海水倒灌或局部積淹水等現象,請多留意。
小犬颱風登陸創近5年紀錄…又有熱帶擾動醞釀 專家曝國慶連假天氣
氣象粉專表示,小犬颱風目前在恆春西方沿海。而氣象專家吳德榮說,5日應嚴防強風、豪雨致災,因為熱帶擾動影響,連假北台灣降雨機率高。中央氣象署指出,晚上花東和恆春半島和台北山區,要防局部豪雨。氣象專家吳德榮在《三立準氣象‧老大洩天機》專欄中指出,4日晚「颱風眼」通過蘭嶼,帶來「破壞性」強風,最大陣風達95.2米/秒(17級以上)也創全台的歷史紀錄。最新中央氣象署「路徑潛勢預測圖」顯示,「中颱小犬」在台灣南端附近,「颱風眼牆」正在侵襲南端,通過後、將進入台灣海峽南部,繼續偏西前進,今應嚴防強風、豪雨致災;明(6日)起威脅逐漸減輕。最新歐洲(ECMWF)模式10日20時模擬圖顯示,熱帶擾動在呂宋島東側發展並向西移動,東北風迎風面水氣多,北台灣易降雨;另一擾動在關島附近醞釀。最新歐洲(ECMWF)模式模擬顯示,5、6日兩天受颱風及其外圍環流影響;今日東半部、南部及各地山區雨勢大,中部以北平地亦有局部雨。今日各地區氣溫:北部23至28度、中部24至32度、南部24至32度、東部24至31度。明日各地仍有明顯降雨、局部地區仍有強陣風。「小犬」侵襲期間,將在山區累積「致災性」大量降雨(東半部800至1100毫米、西半部300至700毫米),應慎防坍方、落石、土石流,平地亦應注意局部淹水的現象。最新模式模擬顯示,7至9日颱風遠離,天氣略好轉、但大氣不穩定,尤其在午後,仍有局部較大雨勢發生的機率。10日、11日熱帶擾動在呂宋島東側發展並向西移動,東北風迎風面水氣多,北台灣降雨機率高,不過這是第6、7天的模擬,應持續觀察模式的調整。據了解,自2019年9月的「白鹿」颱風,已經4年多沒有颱風中心登陸台灣,而今年9月的「海葵」破了1472天的紀錄,小犬也在早上8點20分於鵝鑾鼻登陸,而今年至少2颱風登陸,也打破5年多來颱風登台的最高紀錄。氣象粉專《台灣颱風論壇|天氣特急》在臉書發表示,「小犬目前已經走到恆春西方沿海,颱風核心南半圈持續橫掃,高雄、北屏東稍早有中央山脈擋住,沒什麼風雨,但隨著颱風逐漸來到台灣西南方,風雨將逐漸增強,墾丁雷達站時雨量高達146.5毫米!」
小犬颱風走法聰明 專家驚嘆:這2地壓力爆棚
中颱小犬暴風圈登陸,氣象署表示,小犬5日7時的中心位置在鵝鑾鼻的東南東方約10公里之海面上。4日晚間在蘭嶼更是測到95.2m/s的強陣風,也把當地的船跟屋頂吹翻。氣象粉專表示,小犬的走法有點聰明,「恆春及屏東來說壓力爆棚。」氣象署說,小犬5日7時的中心位置在北緯21.9度,東經121.0度,即在鵝鑾鼻的東南東方約10公里之海面上。根據最新氣象資料顯示,小犬過去3小時中心近似滯留打轉,目前在鵝鑾鼻東南東方近海,向西移動,其暴風圈正籠罩花蓮、臺東、臺中以南陸地及澎湖,風雨持續中,對宜蘭、花蓮、臺東、新竹以南、恆春半島及澎湖構成威脅。小犬襲蘭嶼。值得注意的是,蘭嶼氣象站在4日晚間9點53分,測到95.2m/s的強陣風,超過17級風的56.1~61.2m/s標準,這也讓國內氣象專家震驚,國外氣象迷都討論。氣象署在同日的颱風警報中表示,小犬強度已達中颱上限。據《東森新聞》報導,因為強風來襲,蘭嶼開元港的船沉了7成,有些還至直接翻船,海巡署廚房的東西也被吹垮。氣象粉專《台灣颱風論壇|天氣特急》5日也發文說,「小犬颱風中心正在『掠』過恆春,稍後屏東地區風雨會快速增強!小犬有點聰明這樣走法對他傷害最小,結構沒有被中央山脈摧毀,但對恆春及屏東來說壓力爆棚」。氣象專家吳德榮在《三立準氣象‧老大洩天機》專欄中指出,最新)中央氣象署「路徑潛勢預測圖」顯示,「中颱小犬」在台灣南端附近,「颱風眼牆」正在侵襲南端,通過後、將進入台灣海峽南部,繼續偏西前進,今應嚴防強風、豪雨致災;6日起威脅逐漸減輕。最新歐洲(ECMWF)模式10日20時模擬圖顯示,熱帶擾動在呂宋島東側發展並向西移動,東北風迎風面水氣多,北台灣易降雨;另一擾動在關島附近醞釀。
小犬颱風眼牆厚實南半圈「特別暴力」 登陸3熱區曝
中度強颱小犬強度又增強了,將可能於明早於恆春一帶登陸,北部與東北部有陣雨現象,花東也逐漸開始有雨,南部則是要到深夜至明晨雨勢才會加劇。專家指出,颱風南半圈特別暴力,東南部包含台東、恆春半島雨屏東南部都是登陸熱區。北部與東北部今日仍斷續下雨,宜蘭太平山雨新北山區有局部豪雨,而花東漸漸有雨勢,其他各地也陸續轉雨,是因為受到颱風雲系宜入影響,今晚花東(含蘭嶼、綠島)、恆春半島降雨增大,有大豪雨發生機率,須注意強陣風。明日清晨南部也會有較大雨勢,週五、週六颱風環流仍會影響天氣。中央氣象署簡任技正伍婉華表示,小犬颱風七及暴風圈半徑維持250公里,目前位於鵝鑾鼻東方200里,持續向西移動,明天中心將穿過台東南端錄第至巴士海峽一帶。據氣象署發布陸上強風特報,東部、東南部(含蘭嶼、綠島)、恆春半島、桃園以南沿海空曠地區及澎湖、金門、馬祖容易有9級至11級強陣風,尤其東南部雨恆春半島有12級以上強震風,西半部內陸及其他沿海空曠地區有較強陣風,臨海有大風浪。《台灣颱風論壇|天氣特急》指出,小犬颱風小犬颱風眼牆厚實,尤其颱風南半圈「特別暴力」。台東、恆春半島、屏東南部皆屬登陸熱區,務必做好萬全準備。
颱風小犬海警發布 明起北、東半部防大雨
根據最新氣象資料顯示,第14號颱風小犬過去3小時強度略為增強,暴風圈亦稍擴大,中心目前在鵝鑾鼻東南東方海面,向西北轉西北西移動,其暴風圈正逐漸朝巴士海峽接近,對臺灣東半部海面及巴士海峽將構成威脅。氣象專家吳德榮表示, 4至6日受颱風及其外圍環流影響;明日北部、東半部雨勢大,西半部亦轉為有局部雨。氣象署指出,小犬近中心最大風速每秒45公尺(約每小時162公里),相當於14級風;瞬間最大陣風每秒55公尺(約每小時198公里),相當於16級風。氣象署表示,3日蘭嶼、綠島易有10至11級強陣風,上午桃園至雲林、恆春半島沿海空曠地區及澎湖易有8至9級強陣風,基隆北海岸、嘉義至臺南、東半部沿海空曠地區及金門、馬祖亦有較強陣風;下午起桃園至臺南、恆春半島沿海空曠地區及澎湖將有9至10級強陣風,其他沿海空曠地區及金門、馬祖亦有較強陣風。颱風預測圖。(圖/翻攝氣象署網站)吳德榮在《三立準氣象‧老大洩天機》專欄中談到,最新中央氣象署「路徑潛勢預測圖」顯示,「中颱小犬」持續增強,未來以偏西方向通過台灣南端附近時,中心平均風速將達45米/秒,直逼中颱上限,威脅加鉅;其70%機率範圍包括大部分的台灣及巴士海峽,反映其路徑預測仍有登陸或南端近海通過的「不確定性」。最新歐洲(ECMWF)系集模式模擬顯示,「小犬」的系集平均路徑,以偏西方向通過台灣南端附近,各別模擬亦包括登陸或近海通過的路徑,與「路徑潛勢預測圖」類似。至於颱風是否登陸?最大的差別就在「颱風眼牆」對登陸點附近的強力破壞,應密切觀察,嚴加防範。最新歐洲(ECMWF)模式模擬顯示,3日上午起北部及東半部轉為有局部雨;西半部白天仍偏熱,北台稍轉涼。各地區氣溫:北部21至30度、中部21至34度、南部22至34度、東部19至33度。最新模式模擬顯示,4至6日受颱風及其外圍環流影響;明日北部、東半部雨勢大,西半部亦轉為有局部雨,週四北部、東半部及南部雨勢大,6日各地仍有明顯降雨。至於強風、豪雨的威脅,需視「小犬」路徑、強度變化,不斷微調。7至9日颱風遠離,天氣略好轉、但大氣不穩定,仍有局部較大雨勢發生的機率,尤其在午後。
4年無颱登陸將告終!專家曝「海葵全力衝刺」撲台:抵達前奮力開眼
颱風海葵全力朝台灣直奔,今明2天風雨影響最劇烈,氣象粉專表示,海葵剩下50多公里就要登陸台東,預估提前至今(3日)下午3點左右抵達。「睽違1471天!4年無颱登陸紀錄,將宣告終結!」氣象粉專「台灣颱風論壇|天氣特急」表示,海葵正向西加速中,再過2到3小時就會登陸台東陸地,無颱登陸紀錄就快結束,「上一次颱風登陸,要回追到2019年白鹿颱風登陸恆春了,這有多久呢?當時甚至沒有Covid-19這種東西...」天氣風險公司在臉書發文指出,颱風海葵在登陸前奮力地「張開了颱風眼」,在颱風眼牆南側目前有大量的閃電訊號,「颱風登陸之後,南部地區真的要非常小心颱風南側厚實的環流,颱風的雲系已經完全包覆台灣。」天氣風險公司天氣分析師吳聖宇表示,預估海葵颱風的中心將在台東縣登陸,暴風圈涵蓋宜蘭以南、新竹以南區域,中心逐漸過山穿越南台灣,明天(4日)清晨預計於高雄、台南一帶出海,繼續向西緩慢移動,不過因為颱風環流結構被破壞,強度會顯著減弱,暴風圈也會跟著縮小、速度減慢,因此暴風圈可能要拖到明天傍晚才會脫離陸地,「暴風圈通過台灣陸地的時間可能會有將近2天的時間,風雨影響的時程會相當的漫長。」
蘇拉颱風不排除「海陸警齊發」⋯開學有望放颱風假 「射程前線4縣市」要戒備
今、明(26日、27日)兩天台灣各地為多雲到晴,東半部地區及澎湖、金門、馬祖有零星短暫陣雨,午後各地有局部短暫雷陣雨,山區並有局部大雨發生的機率。天氣風險分析師吳聖宇分析,下周三、周四(30日、31日)蘇拉颱風可能就會逼近台灣附近,依照現在的預報路徑,不排除有直接登陸花東地區或恆春半島的機會。而下周三(30日)是中小學的開學日,學生有望一開學就放颱風假。氣象局表示,第9號颱風「蘇拉」已於今天清晨2點時增強為中度颱風,目前位於恆春東南方410公里之海面上,預估周末兩天會向南遠離台灣,在菲律賓東方海面上打轉,對台灣周末天氣暫無直接影響;第10號輕度颱風「丹瑞」目前位於台北東南東方3440公里之海面上,未來往北朝日本東方海面前進,距離遙遠,對台灣天氣及「蘇拉」颱風皆無影響。未來降雨趨勢。(圖/氣象局)天氣風險分析師吳聖宇指出,蘇拉颱風現在還在台灣東南方海面上,過去一天強度有明顯增強,已經達到中度颱風,未來有逼近強烈颱風等級趨勢,範圍很小,結構相當紮實,是一個名符其實的「小鋼炮」;下周三、周四(30日、31日)蘇拉颱風可能就會逼近台灣附近,依照現在的預報路徑,不排除有直接登陸花東地區或恆春半島的機會,不過路徑變化看起來還是很大,有待後續再密切觀察注意。吳聖宇分析,下周二(29日)天氣雖然還沒有變化,但是海陸颱風警報有機會陸續發布,下周三、周四(30日、31日)颱風對台灣的影響最大,如果颱風中心如預期是往花東、恆春半島移動,首當其衝的將是東半部地區,颱風眼牆通過的區域會有相當明顯的風雨。其次是北部地區,除了外圍雨帶引發一陣一陣的雨勢外,同時會伴隨較強的偏東陣風;南部地區則是要留意當颱風中心通過中央山脈後,可能引進西南風所帶來的風雨,如果中心登陸地點越偏北,南部受西南風影響的情況就會越明顯;中部地區受影響就比較小,受到中央山脈地形屏障,預期風跟雨的狀況都會相對較弱一些。吳聖宇表示,由於這個颱風範圍小,結構紮實,風雨可能都集中在暴風圈內,要等到颱風離台灣相當靠近或是進入暴風圈內,風雨的感受才會明顯出現,暴風圈內外風雨的程度可能差異頗大。預測路徑。(圖/翻攝自臉書/台灣颱風論壇|天氣特急)氣象粉專《台灣颱風論壇|天氣特急》提醒,蘇拉颱風路徑稍微北修,各國官方看法趨近一致,但數值預報的系集看法仍然分歧,下周三(30日)晚間抵達台東外海、蘭嶼附近,登陸台灣機率很高,抵達台灣附近時,強度至少可達中颱上限,請在射程範圍的前線宜、花、東、恆,這幾天要先做好初步準備。
颱風眼超清晰「無眼屎」!杜蘇芮「有機會轉強颱」 明起至周五影響最大
中度颱風「杜蘇芮」來勢洶洶,中央氣象局繼昨晚發布「杜蘇芮」海上颱風警報後,預計最快在今天(25日)下午4時發布陸上颱風警報。而氣象粉專「台灣颱風論壇|天氣特急」今凌晨觀測中颱「杜蘇芮」動向,發現「颱風眼滿清晰的,也沒有眼屎」,颱風眼牆相當厚實,有機會轉為強烈颱風。而氣象達人彭啟明也提醒,隨著「杜蘇芮」海陸警陸續發布,明天起到本周五,將會是颱風影響台灣最明顯的時間點。彭啟明稍早在臉書專頁發文提到,根據最新的氣象預報觀察,「杜蘇芮」颱風將在今天的白天,慢慢接近呂宋島東北部近海,並在今天晚間逐漸進入巴士海峽東部,明天深夜到後天,也就是周四的上午之間,預計將會是「杜蘇芮」颱風中心最接近台灣的時候。彭啟明觀察,「杜蘇芮」颱風的暴風圈,預計將會在本周四一整天持續影響台灣,大約要等到本周五清晨,「杜蘇芮」颱風中心在福建沿岸登陸,暴風圈逐漸脫離台灣陸地,約莫要到周五的下半天,颱風警報才可望解除。氣象專家吳德榮也在《三立準氣象‧老大洩天機》專欄中提到,根據最新模式模擬顯示,明天起至本周五上半天,受颱風環流影響,週三東半部及南部雨勢加大,中部以北轉有局部陣雨。周四至周五的上半天、各地慎防強風豪雨。吳德榮表示,大概到周五下半天後,風雨才會逐漸減小。本周六至下周一,天氣逐漸好轉,各地大致多雲時晴,局部地區偶有局部短暫雨,大氣不穩定、午後防局部大雷雨。另外,在「杜蘇芮」東南方海面,另有一熱帶擾動醞釀,本周五有發展成颱的機率,可以再持續觀察。
南馬都颱風「眼牆鞏固」超清晰 未來36小時內恐達顛峰
位於太平洋海面上的今年第14號颱風南馬都,如今在琉球東北東方450公里之海面上,目前是中度颱風的南馬都,被預測將在未來36小時達到顛峰,有可能成為強烈颱風直撲日本,而氣象局也表示台灣將受到颱風外圍環流影響,17日開始三天將會有局部短暫陣雨。南瑪都颱風未來的預測路線圖。(圖/氣象局)天氣粉專「台灣颱風論壇|天氣特急」指出,南馬都颱風已經將颱風眼牆鞏固起來,颱風眼也變得清晰可見,更表示南瑪都的強度已經來到中颱中段班,即將進入海水熱焓量尚可、風切低的區域,未來36小時內將達顛峰,有機會挑戰強烈颱風!更認為在日本東方的副熱帶高壓穩定導引下,採取拋物線走勢,預計明日穿越日本那霸(沖繩)東北方,週日下午左右登陸九州後貫穿日本全境。而氣象局也表示,因颱風外圍環流影響,17日至19日北部、東部及東南部地區有局部短暫陣雨,東部及東南部地區並有局部較大雨勢發生的機率,其他地區為多雲到晴,午後東北部地區及其他山區有局部短暫雷陣雨,18日、19日清晨中南部地區亦有零星短暫陣雨。