大東島
」 日本 颱風 沖繩 軒嵐諾
飛行途中機長驚見窗戶「有裂縫」 飛機返回那霸機場
日本琉球航空22日一架飛機在從那霸起飛前往南大東島的途中,發現機艙窗戶有裂縫,決定返回沖繩那霸機場,機上無人受傷。據《琉球朝日放送》報導,據那霸機場的相關資料,22日上午8點24分,琉球航空公司861號班機從那霸機場起飛,前往南大東島。在飛行途中,機長發現座位旁的窗戶有「裂縫」,為了安全起見,飛機返回那霸機場,並於發現裂縫約40分鐘後成功降落,機艙內共有20名乘員和乘客均未傷害。琉球航空公司表示,已將受影響的乘客轉乘其他航班,並正在調查窗戶裂縫的原因。
新颱風來了!娜克莉進逼日本「沖繩恐強風長浪襲擊」 專家曝對台灣影響程度
日本氣象廳8日證實,位於關島附近的熱帶性低氣壓已於當地時間下午3時增強為2025年第23號颱風「娜克莉」(Nakri)。該颱風目前正以每小時30公里的速度朝北北西方向前進,預計將於10日至11日接近日本沖繩大東島地區。氣象單位提醒,目前路徑仍在調整中,民眾應持續關注後續動態。根據《朝日新聞》報導與日本氣象廳的資料顯示,「娜克莉」中心最大風速為每秒18公尺,瞬間最大風速達25公尺,颱風周圍半徑220公里範圍內,風速皆超過每秒15公尺。預估至10日下午3時,颱風將進入日本南方近海,屆時中心氣壓為998百帕,風速將增強至每秒20公尺,最大瞬間風速將達每秒30公尺。沖繩氣象台指出,大東島地區自10日起風力將逐漸增強,沿海海象轉為不穩定,恐出現長浪與惡劣天氣。由於颱風接近適逢大潮時期,當地沿岸地勢較低的區域須防範高潮與海水倒灌等災情。至於對台灣的潛在影響,天氣風險公司氣象分析師吳聖宇表示,「娜克莉」未來幾日可能往西北方向移動至琉球南方海面,之後再朝日本南方近海轉向,整體來看對台灣本島影響不大。他提醒民眾仍應關注海上風浪變化,尤其東半部沿海有機會出現長浪,需注意安全。氣象單位將持續監測颱風動態,民眾若有海上活動或規劃前往沖繩地區,應提早做好防颱準備,密切留意最新氣象資訊。「娜克莉」恐於10至11日接近沖繩大東島一帶,當地需提高警覺。(圖/翻攝自X,@jreast_abn)
靜岡縣飆破40度!日本26都縣發布中暑警報 東京86人中暑送醫
目前,日本各地也正受到極端酷暑侵襲,位於日本本州中部的靜岡縣,7日被觀測到出現攝氏40度高溫,不僅是今年日本首例,也創下當地逾80年的氣溫觀測紀錄新高。當局已針對全日本26個都縣發布「中暑警戒警報」。綜合日媒報導,日本氣象廳發布消息,稱西日本和東日本大部分地區7日受到太平洋高氣壓影響,氣溫持續攀升。靜岡市於下午1時18分觀測到攝氏40度的高溫,這是自日本1940年開始氣象觀測以來,當地史上最高溫,也是今年全日本第一個達到40度以上的地區。截至7日下午2時,日本各地最高氣溫依次為群馬縣下仁田町39.8度;福島縣浪江町、山梨縣大月市、靜岡縣濱松市38.8度;兵庫縣豐岡市38.2度;京都府舞鶴市38.1度。氣象廳和環境省警告,除了高溫外,由於濕度也高,因此中暑風險飆升。包含關東至沖繩在內的26個都府縣都發布了「中暑警戒警報」。受警報影響的地區包括東京都(不含伊豆和小笠原群島)、埼玉縣、千葉縣、神奈川縣、茨城縣、群馬縣、靜岡縣、愛知縣、三重縣、福井縣、兵庫縣、奈良縣、和歌山縣、廣島縣、島根縣、鳥取縣、愛媛縣、高知縣、山口縣、福岡縣、大分縣、長崎縣、熊本縣、宮崎縣、鹿兒島縣及沖繩縣(不含大東島地區)。據東京消防廳統計,7日光是截至下午3時為止,就有86人因中暑被緊急送醫治療,年齡分布為3至98歲,其中有2名男性為重症。日本環境省呼籲民眾,請避免非必要及非緊急的外出行程,待在室內也請記得開啟空調。
單趟飛行7分鐘就到!「日本最短航線」8月1日停飛 島民憂「旅遊業」受影響
單趟飛行時間只要7分鐘20秒!連接沖繩以東約360公里的南大東島及北大東島的「日本最短航線」,將於今年7月底停飛,意味著8月以後,2島之間的飛行距離將被迫從原本的13公里增加至700多公里,不但旅程時間延長,機票價格也將貴上許多。2島居民也憂心,此舉恐對當地的旅遊業產生負面影響。據日本《產經新聞》的報導,在航空界中,空難最容易發生於飛機起飛前3分鐘和降落前8分鐘的這11分鐘內,因此也有「關鍵11分鐘」或「神奇的11分鐘」之稱,但這條「日本最短航線」甚至不到8分鐘。該條航線是位於菲律賓海東南部的南大東島及北大東島的「生命線」,雖然2島的直線距離只有約13公里,但由於島嶼為典型的隆起環礁,既無海灘也無港口,海運時貨物進出還必須透過起重機,因此飛機運輸便成為當地島民的重要交通工具。以日本那霸機場做為基地,專飛沖繩縣內離島及奄美群島的航空公司「琉球空中通勤株式會社」(RAC)指出,該條「日本最短航線」是1997年10月開通之航線的一部分,首先飛機會從沖繩本島那霸機場出發,並行經北大東島與南大東島,最終再返回那霸機場,形成一條底邊極短的「三角航線」,且僅為單程航班,除了一週會有幾天的反向航程。RAC補充,該航線採用的是「DHC-8-400CC」機型,其中「CC」是「Cargo Combi」的縮寫,意味著該飛機可同時載運貨物和乘客,這款特殊機型將原載客量70至80人的內艙,改裝為50人的客艙,以及可容納新鮮食品和其他貨物的擴展貨艙,全世界僅有5架。儘管該航線的整體需求量曾在新冠疫情期間有所下降,但往返北大東島與南大東島的航線使用率仍然相當高,即使遭遇疫情也是一位難求。然而RAC卻指出,「三角航線」將從今年8月1日起取消,因為他們希望透過2島分別直飛那霸機場來增加飛機座位數及單日班次量,且沖繩飛往北大東島及南大東島的班機從此也無須轉機。但這也導致2島之間的交通未來都必須先飛往沖繩轉機後才能抵達,無法直飛,不僅增加了旅程的時間,機票價格也將貴上許多。對此,北大東村相關負責人就感嘆:「以往旅客會在2島之間遊玩,但現在三角航線改成2島直飛那霸機場後,便很難透過1趟航班1次玩2島,所以我認為觀光客人數會因此減少。」
卡努直撲沖繩「狂風大浪」畫面曝 那霸、宮古機場關閉31萬人收緊急避難令
今年第6號颱風卡努直撲日本沖繩並持續增強,日本氣象廳指出,預計在今(1日)晚入夜後至明日最接近沖繩。沖繩部分地區已經進入暴風圈影響範圍內,那霸機場、宮古機場約420個航班被迫取消,影響乘客數達到5萬人,更有超過300戶家庭因颱風而停電,當局也對那霸市約31萬居民發布緊急避難令。沖繩本島南部的與那原町海岸邊在下午已捲起大浪。(圖/翻攝自推特)從網路畫面可見,沖繩本島南部的與那原町海岸邊在下午已捲起大浪,根據日本氣象廳表示,沖繩下午2點過後被測到瞬間風速每秒32.3公尺的狂風,由於颱風在東海移動的速度緩慢,對沖繩與奄美地區的影響可能會拉長。卡努颱風預計在1日晚間至2日間最靠近沖繩,整個沖繩本島都在暴風範圍之中。(圖/翻攝自推特)沖繩氣象台也針對久米島、大東島、沖繩本島發布暴風警報,沖繩縣的那霸機場、宮古機場所有航班全數停飛,所有航廈大樓均關閉,估計共420個航班取消,預估影響乘客數超過5萬人。卡努颱風路徑圖。(圖/翻攝自TBS)據《NHK》報導,目前正在沖繩那霸市東南方170公里的海面上,以每小時15公里的速度持續朝西北偏西方向移動,預計在中心東側280公里、西側220公里以內都會出現每秒25公尺以上暴風。那霸市政府於1日下午3點向全市15萬8853戶家庭、共31萬5681人發出避難指示,呼籲民眾自危險場所撤離。
南瑪都轉西北直撲九州!氣象廳警告:強度前所未有 恐發「特別警報」
今年第14號颱風南瑪都今(17日)清晨轉為強烈颱風,雖然不會直接撲台,但預計18、19日仍會為台灣東北部帶來短暫雨。在副熱帶高壓引導下,南瑪都大迴轉登陸日本,恐一路經過九州、日本本島,最後直穿北海道,日本氣象廳嚴正以待,甚至直言南瑪都非常危險「以前沒有過類似的颱風」。綜合日媒報導,日本氣象廳觀測,南瑪都迅速增強為強烈颱風,18日將逐漸靠近鹿兒島縣,不排除登陸日本可能,由於高壓引導,颱風在通過琉球群島海域後大迴轉往東北,預計接著從日本本島沿東北方向前進。氣象廳大氣海洋部預報課長黑良龍太警告,南瑪都目前「大型且猛烈」,可能為九州地區帶來前所未有的暴風、強烈大雨和大浪,氣象廳因此可能對九州南部、北部地區發布「特別警報」,其中鹿兒島可能最快在今日傍晚到入夜發部特別警報。日本熊本縣工人正在拆除被颱風風雨吹倒的鷹架。(圖/達志/美聯社)氣象廳過去只曾經針對沖繩,於2014、2016年發布「特別警報」,因此如果這次針對九州發布,將是氣象廳首次針對沖繩以外地區發布特別警報。此外,在新聞發布會上,一名氣象廳官員警告,南瑪都可能會為九州帶來比2018年海燕颱風、2019年哈吉貝颱風更嚴重的災情。《日本時報》報導指出,颱風專家斯佩塔(Robert Speta)警告,如果南瑪都繼續保持現在的強度,它將會成為有紀錄以來襲擊日本西部的前5強風暴之一。根據中央氣象局資料,目前南瑪都近中心最大風速為每秒53公尺、瞬間最大陣風每秒65公尺,7級風暴風半徑280公里;今日上午10點,颱風中心位於南大東島東邊約180公里處海域,以時速80公里朝西北方前進;他也補充,南瑪都是今年目前為止威力最強的颱風。颱風南瑪都預估將直撲九州。(圖/翻攝自中央氣象局)
猛颱「軒嵐諾」襲日本 狂風斷樹倒車畫面曝光
8月31號日本沖繩縣大東島遭到今年第11號颱風「軒嵐諾」狂襲,根據日本氣象廳資料指出,軒嵐諾已經達到猛烈颱風等級,有網友在推特分享當地現況,風吹樹倒的景象讓人相當害怕。畫面中大東島街道被颱風橫掃,滿地雜物凌亂不堪,店面招牌不敵強風而損壞,可見軒嵐諾的威力十分可怕,另一處有民眾在小笠原群島父島,剛好目睹大風吹倒機車的景象,影片曝光讓不少網友震驚不已,期盼日本能夠安全度過這次颱風。
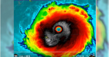
「風王」軒嵐諾直撲沖繩外島 瞬間風速破紀錄!樹木狂搖畫面曝光
今年第11號颱風軒嵐諾今(31日)上午接近沖繩縣外島大東島,為當地帶來恐步狂風和暴雨,南大東島居民拍下大風吹襲、樹木狂搖的恐怖畫面,根據日本氣象廳數據,軒嵐諾為大東島帶來狂風,最大瞬間風速達每秒48.4公尺,強大風力導致部分地區出現停電災情,由於預料颱風強度可能再增強,因此多個島嶼已經對當地居民發布避難指示。號稱「2022最強風王」的颱風軒嵐諾暴風圈於今日清晨抵達沖繩大東島,從氣象衛星「向日葵8號」拍攝到的衛星雲圖可見,軒嵐諾暴風半徑小、對稱,顯示其威力非常兇猛;據日媒報導,北大東機場今日清晨測得最大瞬間風速達到48.4公尺,創下當地8月史上最高風速紀錄,南大東則有強降雨;沖繩、大東島部分地區因此出現停電災情,至今還有不少地區仍未復電。從大東島居民曝光在網路上的影片可見,今日上午的大東島狂風暴雨,樹木被吹到傾斜、農作物被吹到傾倒彎腰,島上道路也因此阻斷無法通行,甚至有鐵皮屋在狂風吹襲下倒塌,顯見軒嵐諾驚人威力。大東島一處鐵皮屋在軒嵐諾狂風吹襲下應聲倒塌。(圖/翻攝自推特@manpuku_daito)然而日本氣象廳表示,軒嵐諾的威力恐怕持續增強,預料每秒風速可能達到75公尺,沖繩大東島可能出現住宅倒塌災情,因此目前已經對該島居民發布避難指示。而根據外媒表示,軒嵐諾目前正朝沖繩前進,預測宮古島、石垣島將在9月2、3日面臨嚴重影響,日本多個島嶼目前已經對島上居民發出避難通知。大東島農作物因為強風傾倒。(圖/翻攝自推特@manpuku_daito)
軒嵐諾升級「猛烈颱風」 沖繩外島強風狂襲畫面曝光
今年第11號颱風軒嵐諾威力逐漸增強,已達日本「非常強烈颱風」定義,31號上午接近沖繩縣外島帶來狂風,測得最大瞬間風速達到每秒48.4公尺,南大東島居民拍下狂風吹襲樹木畫面,北大東島也有許多道路無法通行,軒嵐諾將在日本南部海面持續西進,受暴風影響沖繩恐怕會發生民宅倒塌,日本當局已經發布避難指示,呼籲民眾待在堅固的建築內避免外出。
強颱海神恐「破記錄」釀災!7日將登陸日本 政府呼籲提早防災
強颱「海神」預計明(6日)就會影響到日本南端的沖繩,暴風圈在上午可能抵達奄美地方,就連九州都已經對7日可能造成的災害提前做預防準備。日本氣象單位預測,海神颱風可能會出現破記錄的暴風、雨勢、大浪,呼籲民眾千萬不可大意。(圖/中央氣象局)綜合日媒報導,截止今(5日)上午6時,海神在南大東島的南南東方約280公里處,以每小時15公里的速度向西北偏西方向移動,且逐漸增強,明日界會影響沖繩,下午接近奄美大島,政府可能會在此時提早發布特別警報;接下來海神將在6日下午到7日這段期間登陸九州,為本島帶來長浪、暴風雨。(圖/日本Yahoo)隨著颱風的臨近,沖繩、奄美大島、四國和中國地方明日到8日都將有漲潮、洪水的風險,沿海路堤可能會被淹沒,暴風圈抵達之處都有可能出現破記錄的大浪。海神不止影響西部,不穩定又潮濕的氣流也將進入日本西部,將帶來強大雨勢並伴隨雷擊,讓日本氣象廳和媒體紛紛呼籲民眾提前作好準備。