暴潮
」 颱風 山陀兒 高雄 暴潮 菲律賓
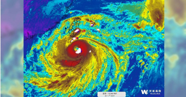
低壓加風揚產生「極端暴潮」重創七股 學者示警:未來仍可能發生
丹娜絲颱風重創台南七股,其中又以西寮里幾乎滅村,災情最為慘重。成功大學近海水文中心表示,6日颱風侵襲當晚,測得沿岸暴潮水位接近1公尺,罕見極端暴潮引發海水倒灌。極端氣候下,學者示警,未來仍可能發生,政府要警惕並亟需強化沿海防災體系,降低類似災害重演風險。根據成功大學近海水文中心協助水利署進行的觀測與分析顯示,丹娜絲颱風襲台當晚,台南沿海地區測得近1公尺暴潮水位,屬於200年重現期等級的極端事件,打破當地歷史觀測紀錄。成大水利及海洋工程學系主任董東璟指出,丹娜絲自嘉義布袋登陸,七股位於布袋以南約20公里,剛好位於颱風眼外圍「眼牆區域」,是颱風結構中風速最強部分,現場觀測紀錄顯示,當時風力達16級以上極強向岸風,加上颱風行進路徑促使風勢垂直吹向岸邊,產生劇烈風揚效應。他說,初步估算丹娜絲風揚效應造成0.6公尺水位上升,剩餘暴潮則來自颱風中心低氣壓系統引起氣壓潮,2項效應疊加使得沿岸暴潮水位接近1公尺。首當其衝的西寮里除遭受強烈風災破壞,還面臨嚴重海岸溢淹災害,重創當地。董東璟提到,七股、將軍曾於2013年天兔颱風時,測得0.67米大浪,但此次測得近1米,是歷來罕見暴潮水位。他說,一般颱風雖也可能引發風揚,但強度未必明顯,主要是丹娜絲颱風路徑和結構使得風揚效應特別強烈。但他也說,慶幸的是,此次極端暴潮發生在6日晚間10點前後,並非最高潮位時間,否則災害規模恐更嚴重。成大近海水文中心呼籲,這次西寮里慘重災情證明,以前不會發生的災害,未來可能頻繁發生,面對氣候變遷帶來的極端天氣、海平面上升,台灣沿海地區必須超前部署,進行科學化風險評估與社區防災規畫。
颱風潭美強襲菲律賓!釀至少26死、逾16萬人撤離家園 國會議員嘆:救援船嚴重不足
菲律賓官員在一份聲明中透露,颱風「潭美」24日從東北方海岸登陸,引發大範圍洪水,淹沒了多處平房的屋頂,造成至少26人死亡,並有超過16萬3000人被迫撤離家園,只能暫時躲進避難中心。根據外媒《獨立報》(The Independent)、《路透社》報導,颱風「潭美」在菲律賓當地被稱為強烈熱帶風暴「克莉絲汀」(Kristine),為菲律賓主要島嶼呂宋島帶來大豪雨及強風,也引發大規模洪患和土石流。由於洪水來襲,居民只能躲在屋頂上等待救援。(圖/達志/美聯社)菲律賓氣象局在當地時間上午11時發布預報指出,該風暴正以每小時95公里的最大持續風速向西移動,穿越北部的科迪勒拉(Cordillera)山區,朝南海方向前進。報導指出,颱風「潭美」穿越東北部省份,促使政府關閉了呂宋島的公立學校和辦公室;中部畢科爾區(Bicol Region)民防單位透露,這場風暴導致那加市(Naga)至少14人喪生,其中大多數人是溺斃而亡。大量居民被迫離開家園,前往避難中心。(圖/達志/美聯社)畢科爾區南甘馬仁省(Camarines Sur)是受災最嚴重的省份之一,國會議員維拉富爾特(Luis Raymund Villafuerte)呼籲國家應該進行干預,並認為地方當局缺乏應對大規模災難的資源,「昨晚,我的手機裡不斷接到人們求助的電話和簡訊『幫助我們,拯救我們』,我們只有50艘救援船,還需要至少200艘來應付所有求救訊號」。當局向包括首都馬尼拉在內的20多個省份發布了風暴警告,氣象局也警告北部若干省份,應嚴防豪雨、水患、土石流與暴潮(storm surge)。據悉,菲律賓每年平均遭受近20次颱風襲擊,通常會引起相當致命的土石流;2013年,颱風「海燕」侵襲菲律賓中部,造成高達7300多人死亡或失蹤,並有超過500萬人流離失所。
陸沿海多地突發海水倒灌!當地人嚇壞「幾十年沒看過」 專家揭原因
大陸遼寧省大連、營口、盤錦、錦州、葫蘆島及福建廈門等沿海地區,昨(21日)突然發生海水倒灌,部分街道社區車輛被淹,多棟民房進水,積水深處超過半米。因事發突然,當地應急、消防等有關部門已在第一時間開展處置和人員轉移工作。目前海水已經退去,暫未接到人員傷亡報告,各項後續處置工作正有序進行。央視報導,遼寧省大連、營口、盤錦、錦州、葫蘆島等5城市,昨天突然發生海水倒灌,部分街道社區車輛被淹沒,多棟民房進水,積水深處超過半米。不僅如此,福建廈門、河北唐山等沿海地區也出現了海水倒灌現象。雖然目前海水均已退去,各地未傳出人員傷亡,當地居民仍心有餘悸,直呼幾十年從未見過類似情形。大陸遼寧省大連、營口、盤錦、錦州、葫蘆島及福建廈門等沿海地區,昨(21日)突然發生海水倒灌。(圖/翻攝自央視)對此,中國海洋大學環境科學與工程學院院長江文勝表示,如果天氣因素造成的漲水現象趕上潮汐高潮的時候,水位就會異常的高,而天氣因素導致海面的升降變化在天氣過程結束後仍會存在波動,業界將這種現象叫做風暴潮的「餘震」。此次多地發生的海水倒灌現象,便是風暴潮「餘震」帶來的影響。江文勝進一步說明,在風比較大、天氣過程很強的時候,造成的漲水也會比較大,但那個時候沒有趕到潮汐的高潮,結果反倒是後邊風暴潮餘震趕到了潮汐高潮,所以才造成了這次的海水倒灌現象。大陸遼寧省大連、營口、盤錦、錦州、葫蘆島及福建廈門等沿海地區,昨(21日)突然發生海水倒灌。(圖/翻攝自央視)
山陀兒轉輕颱「再度原地踏步」 目前累計5985件災情
今年第18號颱風「山陀兒」已於今(3)日中午12時40許從高雄小港附近登陸,強度持續轉弱已轉為輕颱,不過晚間卻又出現滯留情況,威脅仍不可輕忽。據內政部消防署統計至晚間9時,全台共有2死、490傷、1失蹤,災情總計5985件,以首當其衝的高雄影響最為嚴重,一天內就新增3876件災情、301傷。今年第18號颱風「山陀兒」已轉為輕度颱風,但登陸後仍帶來大量災情。(圖/消防署提供)中央災害應變中心晚間9時召開第15次工作會報,統計災害共計5985件,以路樹災情2202件、民生基礎設施災情1504件、零星災情827件為前三名,全國新增災情以高屏地區為主,研判係因山陀兒自中午登陸以來,持續造成極大影響導致,將持續監控南部地區災情並給予協助。傷亡狀況中央災害應變中心說明,今日無增新死亡數仍維持2例,分別為花蓮縣壽豐鄉70歲男性,1日在家中修樹葉時不慎自3米高處墜落送醫不治,及台東縣66歲男駕駛上月30日開車途中撞擊落石,導致脾臟重度挫傷送醫不治。中央災害應變中心補充,受傷490人,多集中高雄累積321人;失蹤人數由2人減為1人,因花蓮縣秀林鄉水源村水源橋民眾落水一案,經回報證實為誤報故移出失蹤名單,另雲林縣台西鄉夢幻沙灘疑似1移工落海失蹤,礙於今日風浪過大故暫停搜救。中央災害應變中心提到,目前全台尚有252處積淹水,多集中高雄,研判原因為市區排水不及、暴潮導致溢淹10至40公分不等,少數達50公分。中央應變中心表示,目前停電用戶13萬9820戶,多集中於高雄及屏東;另亦有停水災情,共40萬6101戶,同樣集中於高雄及屏東;市話待修復1萬544戶,預估明日中午前全部修復;基地台待修復355座,預估5日下午3時前全部修復。基隆市亦有天然氣管線受損災情,總計影響4戶,尚有1戶待市府清除土石流後修復。 今年第18號颱風「山陀兒」已轉為輕度颱風,但登陸後仍帶來大量災情。(圖/消防署提供)
山陀兒襲台全台災情整理! 未正式登陸已造成2死、2失蹤、102傷
中颱「山陀兒」緩速進逼台灣,根據中央氣象署預測將於今(2)日深夜到明(3)日清晨自西南方登陸。雖然山陀兒還沒登陸,但根據中央災害應變中心統計,目前已釀2死、2失蹤、102傷。其中,一名死亡個案是花蓮縣壽豐鄉1名年約70歲男性,昨日在家中修樹時不慎自高處墜落,送醫後不治;另一名死亡個案是年約66歲男子,開車行經台9線392K處撞到路邊落石,送台東馬偕醫院後不治。據《三立新聞網》報導,中央災害應變中心2日晚間舉行第12次工作會報暨情資研判會議,指揮官、內政部長劉世芳主持。據氣象署報告,山陀兒目前位置在高雄西南方海面,預估今天深夜至明天清晨登陸,將帶來強風豪雨。中央災害應變中心2日晚間舉行第12次工作會報暨情資研判會議。(示意圖/翻攝FB/消防署)災情方面,一般災情狀況總計843件,較上次增加336件;已處理666件;處理中177件。災情以路樹災情最多共235件,民生、基礎設施災情148件 ,建物毀損88件第三。人命傷亡失蹤情形,截至今晚8時統計,已造成2死、2失蹤、102傷。死亡個案是花蓮縣壽豐鄉1名男性,年約70歲,昨(1)日在家中修樹時不慎自3米高處墜落,經送醫後於今(2) 日不治死亡。另一名是約66歲的男性,9月30日19時左右開車途經台9線392K處撞到路邊落石,後送台東馬偕醫院救治,診斷為脾臟重度挫傷 ,於今(2)日不治死亡至於失蹤2人,分別是雲林縣台西鄉夢幻沙灘疑似有1民眾落海呼救,失蹤人身分不明待查(疑似移工),因今日風浪過大,暫停搜救行動,明(3)日視風浪情形再執行搜救作業;另一名失縱者是花蓮縣秀林鄉水源村水源橋有民眾目擊到有人遭大水沖走 ,共計派遣9車2艇1無人機16人沿岸搜索中。疏散撤離情形,截至今晚8時止,已有12縣市進行預防性疏散撤離,包括新北市、 台中市、南投縣、雲林縣、 嘉義縣、臺南市、高雄市、 屏東縣、宜蘭縣、花蓮縣、 台東縣、澎湖縣。累計撤離人數共計9597人。其中以花蓮縣預計5082人,累計撤離3064人最多。電力系統方面,全國曾停電用戶數58,109戶、修復用戶數54,619戶、仍停電用戶數3,490戶,預計明(3)日17時可修復完成。至於基地台,目前已知受損35座、已修復14 座、待修復21座,預計4日完成修復。市話方面,中斷431戶、已修復20戶、待修復411戶,預計3日完成修復。淹水13處,已退水12處,未退水1處(花蓮1處)。台南、高雄、屏東主要受暴潮影響溢淹(10至30公分),後續仍可能受漲潮影響再次積淹。與上次報告差異(新增1處未退水,花蓮縣富里鄉鐵路涵洞積水,採交通管制;新增4處已退水。)另外,澎湖望安鄉東嶼坪海堤防浪牆損壞,無損及海堤主體結構(防浪牆僅為避免大浪影響車輛)。民宅距防浪牆約20公尺,較海堤高約3公尺。浪未打入房屋,影響戶數1戶2人,已預防性撤離至朋友家居住。
不可小看山陀兒! 蔣萬安、陳其邁2市長叮嚀民眾:嚴防大潮少外出
山陀兒颱風怠速前進,根據中央氣象署預報,預估颱風中心將於明(3)日上午8時左右登陸。高雄市長陳其邁在臉書提醒市民,颱風登陸前後風強雨驟,2日晚間8時到3日上午8時又適逢漲潮及暴潮影響,會嚴重影響排水,提醒民眾準備好防水閘門、沙包。台北市長蔣萬安也喊話,今日深夜到明日可能會有強風大雨,請市民配合待在家,非必要請勿出門!根據中央氣象署資訊,預估颱風中心將於3日上午8時左右登陸,高雄市長陳其邁2日晚間在臉書表示,颱風登陸前後時間風強雨驟,又撞上今日20時與明日8時均適逢漲潮及暴潮影響,潮水位超過天文大潮,屆時勢必影響排水,所以呼籲民眾「颱風中心登陸前後要特別防範強風與強降雨的災害」,做好裝置防水閘門或堆置沙包的準備。陳其邁提醒,山陀兒登陸適逢漲潮,要民眾做好裝置防水閘門或堆置沙包的準備。(圖/翻攝FB/陳其邁 Chen Chi-Mai)台北市長蔣萬安晚間也在臉書發文,表示山陀兒逼近北台灣,風雨漸強,根據中央氣象署預測,入夜過後風雨進一步加強,今天深夜到明天都可能有強風大雨,達停班停課標準。台北市政府各局處嚴陣以待,也請大家配合待在家,非必要請勿出門!如有災情,可撥打110、119或通報1999市民專線。蔣萬安提醒:請大家配合待在家,非必要請勿出門。(圖/翻攝FB/蔣萬安、陳其邁 Chen Chi-Mai)
山陀兒進逼!2地暴潮警戒 15處大規模崩塌黃色警戒、土石流黃色警戒480條
第18號颱風「山陀兒」於今(1日)清晨2時增強為強烈颱風,上午8時中心位於高雄南南西方約220公里之海面上,今天至週四上半天是影響臺灣最明顯的時候。氣象署提醒,今天起颱風接近,台灣西南部沿海潮位升高,明(2日)沿海地區須慎防颱風暴潮及海水倒灌。另外,農業部也發布15處大規模崩塌黃色警戒,提醒各地政府應盡早啟動疏散措施,確保居民安全。颱風外圍環流影響,花、東地區及恆春半島降雨顯著,昨天時雨量有來到50至60毫米,24小時累積在花蓮瑞穗已超過200毫米,而北部及南部地區亦有零星陣雨出現。氣象署暴潮預報顯示,高雄、屏東明天有超過大潮警戒,亮起黃燈預警,其中屏東上午7時左右最高水位有超暴潮警戒之虞,亮起橘燈警戒。另一方面,農業部長陳駿季昨天至宜蘭視察排水系統及三星蔥搶收情況,結束後馬不停蹄召開緊急應變小組工作會報,會中除轉達中央災害應變中心加強土石流預警通報、海上漁船安全及蔬果調度等相關提示,並強調山陀兒颱風將帶來豪雨強風,要求農業部各相關單位(機關)皆應採取最積極、審慎態度嚴陣以待,對於風險熱區重要作物(如:水稻、雜糧、東部地區釋迦、金針、北部地區短期葉菜類、宜蘭青蔥及中南部地區瓜果類等),應提供設施防災資訊與管理建議予農民參考,加強農漁民防颱宣導工作,並請隨時注意氣象訊息。陳駿季指示,漁業署需加強宣導沿海養殖漁業落實相關防護措施,對於南部及東部沿岸漁港漁船停靠上岸之漁工做好收容安置作業,另沿海地區恐有強陣風發生,請落實並強化港區停泊區船隻安全及碼頭繫纜作業;農田水利部分,對於低窪地區應加強排水,減少淹水農損,並就具洩洪需求之農業水庫,確實依據SOP辦理,事先通知下游居民與活動民眾疏散。陳駿季要求,農村水保署應加強關注0403地震及凱米颱風後土石鬆動地區,確保搶修整備到位,避免二次受災;並隨時掌握氣象情資及實際降雨情況,公開先期告警資訊,及加強與相關縣(市)政府、交通及鐵公路等相關單位聯繫,提供預防性疏散避難建議。陳駿季表示,林業及自然保育署已宣布18處國家森林遊樂區明日全數休園,所有林業軌道明日全數停駛,上開休園及營運情形資訊,同步以電視跑馬燈、官網、台灣山林悠遊網與臉書粉專等多元管道公告周知,且因應可能之交通中斷情形,強化各園區水、電、食物、起居照護等收容安置相關整備,呼籲民眾若非必要請勿至山區。陳駿季也就農產品穩定供應方面,特別指示農糧、漁業及畜牧產業主管單位(機關)密切掌握農漁畜產品市場價格波動與供應情形,隨時掌握供需狀況並適時調節;另外也請所屬試驗改良場所協助掌握轄區農、漁、林等各產業狀況,秉持勘災作業從速、從簡之精神,提升勘災通報效能,並加速啟動相關品項救助公告、申領與農業保險協助,以利農業生產儘速復原,恢復供應量能。農村發展及水土保持署發布土石流黃色警戒480條。大規模崩塌黃色警戒15處。土石流黃色警戒,分布於臺東縣池上鄉錦園村、富興村,海端鄉霧鹿村、海端村、加拿村、崁頂村、廣原村,關山鎮德高里、月眉里、電光里,鹿野鄉瑞豐村、龍田村、瑞和村,延平鄉武陵村、桃源村、紅葉村、鸞山村、永康村,卑南鄉明峰村、初鹿村、美農村、泰安村、利嘉村、東興村、溫泉村、賓朗村、利吉村、嘉豐村,金峰鄉新興村、嘉蘭村、歷坵村、賓茂村、正興村,達仁鄉台板村、土板村、南田村、安朔村,大武鄉大竹村、大武村、大鳥村、尚武村、南興村,太麻里鄉北里村、大王村、金崙村、多良村、香蘭村、華源村,臺東市岩灣里、新園里、建和里,東河鄉北源村、泰源村、興昌村、都蘭村、東河村,成功鎮博愛里、忠仁里、和平里、信義里、忠孝里,長濱鄉三間村、忠勇村、寧埔村,花蓮縣秀林鄉富世村、文蘭村、銅門村、水源村、佳民村、景美村、秀林村、崇德村、和平村,萬榮鄉西林村、紅葉村、馬遠村、明利村、見晴村,鳳林鎮鳳義里、鳳信里、山興里,卓溪鄉卓溪村、古風村、卓清村、太平村、立山村,富里鄉新興村、永豐村、富南村、豐南村、羅山村、吳江村、萬寧村、學田村,玉里鎮松浦里、觀音里、大禹里、泰昌里、源城里、長良里、樂合里、東豐里,光復鄉大豐村、大馬村、大全村、大興村、大富村、東富村,瑞穗鄉富源村、瑞祥村、奇美村、富興村,豐濱鄉磯崎村、新社村、豐濱村、港口村,壽豐鄉池南村、志學村、豐山村、樹湖村、溪口村、米棧村、水璉村、鹽寮村、月眉村,吉安鄉太昌村、南華村、福興村,花蓮市國福里,屏東縣霧臺鄉霧臺村、阿禮村,高樹鄉新豐村,三地門鄉青葉村、青山村、安坡村、口社村、達來村,瑪家鄉北葉村、佳義村、瑪家村、涼山村,泰武鄉萬安村、佳平村、平和村、泰武村,萬巒鄉新置村,來義鄉來義村、義林村、古樓村、丹林村、文樂村、望嘉村,春日鄉力里村、歸崇村、古華村,獅子鄉南世村、內獅村、獅子村、丹路村、竹坑村、內文村、草埔村,枋山鄉善餘村,牡丹鄉牡丹村、石門村、四林村,滿州鄉港口村、滿州村,高雄市那瑪夏區達卡努瓦里、瑪雅里、南沙魯里,桃源區建山里、梅山里、復興里、桃源里、勤和里、拉芙蘭里、高中里,六龜區寶來里、文武里、大津里、中興里、興龍里、新發里、荖濃里、六龜里,茂林區多納里、茂林里、萬山里等,4縣42鄉189村。大規模崩塌黃色警戒分布於高雄市茂林區萬山里,屏東縣來義鄉來義村,臺東縣金峰鄉新興村,臺東縣達仁鄉台板村,臺東縣大武鄉大鳥村,花蓮縣豐濱鄉磯崎村,高雄市六龜區興龍里,花蓮縣富里鄉富南村,花蓮縣光復鄉大豐村,花蓮縣卓溪鄉卓溪村,臺東縣延平鄉紅葉村,臺東縣太麻里鄉華源村等,4縣12鄉12村。地方政府應進行疏散避難勸告。
颱風山陀兒估周三轉強颱登陸高雄 專家:暴潮+天文潮南部易淹水
山陀兒颱風進逼,氣象署將高雄納陸上警報,預估山陀兒明下半天接近南部海域,晚間轉為強颱,10月1日凌晨轉為強颱,在高屏一帶登陸。氣象粉專「台灣颱風論壇|天氣特急」指出,山陀兒到西南方時會挑戰強颱;氣象粉專「觀氣象看天氣」說,如果在高雄登陸,「將成為氣象署有記錄以來,最強直接登陸高雄的颱風。」災害預報士賈新興也表示,台東至屏東沿海一帶要多注意暴潮,低窪區容易淹水。氣象署簡任技正伍婉華說,山陀兒目前適合發展,不排除以強颱登陸,未來預估會往西北西方移動,明下半天開始北轉,後天上班天經過台灣,明天到周日影響最明顯。伍婉華指出,明晚南部地區風雨明顯,週三颱風往南方陸地靠,周二到周三北部和中南部山區會有局部豪大雨,北部、東半部、恆春半島等山區出現豪雨,週四颱風遠離降雨才會緩和。「台灣颱風論壇|天氣特急」在臉書發文,「山陀兒颱風快速增強,目前已接近中颱上限,還在持續增強中,預計抵達台灣西南方時,將挑戰強烈颱風!」「觀氣象看天氣」表示,「目前已經來到中颱上限,預估未來就是以中颱上限-強颱下限登陸,如果如預測登陸高雄,將成為氣象署有記錄以來,最強直接登陸高雄的颱風」賈新興提醒,「臺南至屏東沿海一帶須特別留意颱風暴潮+天文潮+劇烈降雨,更容易造成沿海低窪地區的積淹水,颱風過後轉為山區午後零星短暫雨天氣型態,7日晚上至9日受東北季風影響。」「台灣颱風論壇|天氣特急」也說,「山陀兒颱風現在巴士海峽緩慢西行,預計明天來到高雄南方海面之後,受到北方槽線牽引,開始北轉、侵襲臺灣。現在這個時間點,我們的閃電監測系統看到颱風中心附近有非常密集的閃電訊號,山陀兒颱風持續增強中,即將迎來她的第一次強度巔峰。」
凱米颱風挾豪雨來襲 高雄再遇「天文大潮」慘淹水
中颱「凱米」來襲,全台21縣市於今(24日)停班課,而高雄旗津也因近日適逢天文大潮,於今(24日)上午又淹水,此外,考量到山區安全的問題,高雄市桃源區山區7個里也於今天上午撤離375人。海水倒灌導致堤岸邊淹水。(圖/翻攝自記者爆料網)氣象署說明,「年度大潮」是指一年之中潮位最高的滿潮,在月球、地球引力及大氣壓力多重作用下,通常年度大潮會發生在台灣「秋分前後的朔月或望月」,或是當月亮位於「近地點」時,也可能會發生年度大潮。各地的年度大潮時間略有不同,氣象署也公布了今年的年度大潮時間和區域,首波受影響的區域是西南部沿海從台南到屏東,以及東北部沿海的新北、基隆、宜蘭,預計在7月20日到24日期間面臨最高滿潮。有些民眾今天依舊出門買菜。(圖/翻攝自記者爆料網)然而年度大潮再加上颱風帶來的水氣影響,高雄旗津輪渡站和傳統市場今天發生海水倒灌的現象,水深達腳踝至半顆輪胎高度不等。對此,高雄市長陳其邁也提醒,今天接近中午時分適逢大潮,低窪地區、沿海地區和旗津等地需要特別注意海水倒灌的情況。他呼籲民眾在颱風季節期間避免前往沿海地區或河川周圍戲水,並遵守防颱相關規範,確保自身安全。水淹至腳踝至半顆輪胎高度不等。(圖/翻攝自記者爆料網)此外,因應凱米颱風來襲,農業部農村發展及水土保持署於今日上午6時30分對高雄市桃源區的建山里、梅山里、復興里、桃源里、勤和里、拉芙蘭里及高中里發布了土石流黃色警戒,並通知桃源區公所,根據規定啟動預防性撤離機制。水利局表示,公所在上午8時30分完成了375名保全戶的撤離,應變中心將持續與中央保持聯繫,密切觀察最新雨勢狀況。除了山區警戒,市政府也提醒,今明兩天因天文大潮和颱風低壓引發的暴潮雙重影響,愛河下游沿線、茄萣、永安、彌陀、梓官、旗津及林園等地區易受海水倒灌。市府呼籲居民提前準備防水閘門或沙包,以確保財產安全。原先水公司第七區管理處原訂於7月25日,進行配合台電的電氣設備檢驗,計劃當天在高雄市鳳山、大寮、大樹3區多個里進行13.5小時的停水。但由於凱米颱風來襲,台電昨晚通知水公司將工程延期,水公司第七區管理處因此恢復正常供水,原計劃受影響的4萬戶將不停水。
小犬颱風撲台!「旗津海水倒灌」震憾畫面曝 陳其邁下令:加強抽水作業
中颱「小犬」預計今(5日)將從台東及恆春半島交界處登陸,受到小犬颱風影響,高雄市旗津區出現海水倒灌情形。對此,高雄市長陳其邁表示,已於愛河、前鎮河、茄萣大排等低窪地區加強抽水工作,並布置移動抽水機,以減少暴潮帶來的影響。從畫面可見,旗津夜間風浪增強,浪花不停拍打岸邊,海水水位明顯上漲,低窪地區甚至出現海水倒灌的情況。當地漁民指出,每次只要有颱風襲來海水都會上漲,有時候浪高甚至可達好幾米;另一名居民透露,一旦漲潮道路就會淹水,摩托車更曾因此泡水拋錨。受到小犬颱風影響,高雄市旗津區出現海水倒灌情形。(圖/翻攝自中天新聞)陳其邁提及,昨(4日)的潮汐屬於「中潮」,如若遇到颱風可能出現暴潮,因此包括愛河、前鎮河還有茄萣大排等低窪沿海地區須加強抽水作業,還要佈置移動抽水機,不過像是三民市場段的幸福川,以及鼓山運河等地段的居民,也須留意海水倒灌及積淹水。面對颱風來襲的防汛整備,陳其邁表示,高雄市已完成163台移動抽水機、91處抽水截流站及13處車行地下道等防洪設施的運轉測試,以及檢整作業,另於岡山、仁武、永安及彌陀等24處行政區完成移動式抽水機預佈,且已完成25座滯洪池的排空作業,以因應接下來的颱風汛期。
台南安平無風無雨卻淹水 他示警:以後「漲潮淹水」恐成每月常態
台南安平區昨天(31日)受到滿潮加上海水倒灌影響,明明無颱風直接侵襲,也沒下雨,但緊鄰運河的安平路,路面卻被淹成小河,民眾苦不堪言。台南社大環境小組研究員晁瑞光說,以往民眾對於淹水防範,只要關注有無颱風來襲、或瞬間強降雨侵襲,但現在無風無雨,光是滿潮就可能淹水,打破傳統認知,台南民眾現在除了要防颱防豪雨,未來可能還要防漲潮,才能遠離淹水之苦。根據《中時新聞網》報導,晁瑞光表示,過去只要滿潮,金華橋周邊人行道每逢滿潮都會淹水達30公分,而他觀察才發現,其實安平路情形更嚴重,「如果蘇拉颱風進來,一定淹更慘」。他並分析,過去台南海水倒灌並沒有這麼嚴重,他認為面對極端氣候造成的環境問題,以往只需要防颱風防豪雨,未來可能要防滿潮帶來淹水狀況。晁瑞光提到,依照中央氣象局資料,今天潮高只略比昨天低4公分,但他認為還是可能會再發生淹水問題。且今年已經發生多起因滿潮導致海水倒灌情形,他認為未來台南安平民眾一遇滿潮就積淹水的狀況,可能會變成一項生活常態,呼籲民眾要特別小心。對此,台南市府水利局回應,因適逢天文大潮,加上受蘇拉颱風低壓抬升水位影響形成暴潮,造成安南區城南里社區一帶的低漥處,因海水倒灌造成淹水。市長黃偉哲也已要求市府水利局及工務局,研擬改善對策。
巨獸級颶風重創美國佛州 外交部:我國已捐951萬協助賑災
巨獸級颶風伊恩(Ian)於美東時間9月28日以每小時近250公里的風速,伴隨著5.4公尺的巨浪登陸美國佛州,威力接近最強的5級,行徑期間掀起「毀滅性」暴潮和龍捲風,造成佛州西南沿海地區近乎淹沒、房屋損毀、道路橋梁斷裂,更有超過百人死亡及250萬戶停電。對此,我外交部今天(8日)表示將捐贈30萬美元(約新台幣951萬)協助佛州政府及民眾進行救災及重建工作。外交部指出,為了發揚「台灣能幫忙,且台灣正在幫忙」的人道關懷精神,上述捐款已由我國駐邁阿密辦事處紀欽耀處長於美東時間10月6日代表我國政府捐贈,佛州方面則由副州長儒涅絲(Jeanette Nunez)受理。據悉,該筆款項將匯入佛州州政府成立的「佛州救災基金」(Florida Disaster Fund)賑災專戶。對此,儒涅絲感謝台灣政府及人民的溫暖善舉,重申台灣為佛州及美國的重要夥伴,雙方共享自由及民主等普世價值,未來將持續深化雙方的友好關係。
巨獸級颶風「毀滅性暴潮」淹沒佛州!鯊魚街上游影片曝 4州宣布緊急狀態
巨獸級颶風伊恩(Hurricane Ian)於美東時間28日下午登陸美國佛州,伴隨每小時約150英里(241公里)的最大風速,為該地區帶來毀滅性暴潮、龍捲風,除造成建築物、船隻毀壞,還有200萬戶停電、房屋與街道被淹沒,甚至有2隻鯊魚在淹水的街道上游泳;同時喬治亞州、南卡羅來納州等共4州已經宣布進入緊急狀態,邁爾斯海灘居民被告知緊急撤離。綜合外媒報導,颶風伊恩威力曾一度接近最強的5級,儘管於美東時間28日下午3點05分登陸佛州後數小時,威力就減弱為3級風暴,但暴風挾帶豪雨造成佛州多處嚴重淹水,居民被困在家中,還有房屋被摧毀。颶風伊恩也造成那不勒斯嚴重淹水,該市因此發不緊急宵禁。(圖/翻攝自推特)喬治亞州、南卡羅來納州、北卡羅來納州以及佛吉尼亞州,共4個州已經宣布進入緊急狀態,以防止伊恩持續向北移動時,可能帶來的強降雨與洪水;邁爾斯堡海灘居民更被要求至少到週末之前都必須撤離。隨著伊恩肆虐,越來越多災難畫面曝光,風暴觀察人士麥卡錫(Colin McCarthy)便轉發推特影片,顯示2條鯊魚在被洪水淹沒的街道上游泳,場面令人咋舌。不過也有網友留言質疑,影片中的魚看上去更像是海鰱。此外,氣象專家貝茲(Mike Bettes)也分享邁爾斯堡的暴風潮恐怖景像,影片顯示埃斯特羅大道上高漲的洪水已經快要淹到2公尺高,加上暴風狂吹讓淹水的街道猶如不斷翻起浪花的大海。而在之前,CNN氣象專家米勒(Brandon Miller)曾表示,邁爾斯的水位在短短7小時內,就超過180公分且持續升高。
巨獸級颶風登陸佛州 毀滅性暴潮淹沒沿海城市!州長:數百萬家戶將停電
巨獸級颶風伊恩(Ian)於美東時間28日以每小時近250公里的風速,伴隨著5.4公尺的巨浪登陸美國佛州,威力接近最強的5級,行徑期間掀起「毀滅性」暴潮和龍捲風,導致一艘船隻沉沒,至少23人失蹤,並有數架輕型民航機遭到摧毀,沿海城市的大部分住宅區則幾近滅頂。數架輕型民航機遭到龍捲風摧毀。(圖/達志/美聯社)據《每日郵報》和《衛報》的報導,位於邁阿密的美國國家颶風中心(the National Hurricane Center)宣布伊恩正式登陸的時刻是當地時間28日下午3點05分。據悉,伊恩為巨獸級颶風(Monster Hurricane),目前威力接近沙費爾-辛浦森制(Saffir-Simpson scale,颶風強度指標,共5個等級)5級颶風。颶風帶來豪雨,部分地區積水深度高達60.9公分。(圖/達志/美聯社)NHC的測得的數據顯示,伊恩已以接近最強5級颶風的威力登陸佛州卡約科斯塔(Cayo Costa),持續風速高達每小時249公里,為有紀錄以來史上第5次以這種風速襲擊陸地的風暴,並帶來高達5.4公尺巨浪、部分地區積水深度60.9公分的豪雨。NHC指出,伊恩將在佛羅里達半島「掀起毀滅性暴潮(catastrophic storm surge)、風勢及洪災」。雖然佛州西部沿海有超過250萬人收到疏散警告,但部分居民仍然選擇留在當地。當局警告這些民眾,因為情況危急,緊急救援人員仍會持續待在當地隨時支援災情,據悉來自佛州和其他地方的大約3萬名維修和搜救人員,以及7千名國民警衛隊將隨時待命提供協助。目前佛州已有110萬戶家庭停電,該州州長德桑提斯(Ron DeSantis)甚至表示,停電家戶可能會來到數百萬,且電力將中斷數週。佛州邁阿密警方也指出,伊恩襲擊佛州海岸時,導致一艘載有移民的船隻沉沒,有23人下落不明,4人倖免於難。另外,有數架輕型民航機遭到龍捲風摧毀,樹木和電線桿倒榻,沿海城市的大部分住宅區幾近滅頂。颶風每小時249公里的風速將路樹連根拔起。(圖/達志/美聯社)
南瑪都颱風登陸日本掀巨浪 釀逾60傷34萬戶停電
今年第14號颱風「南瑪都」18日登陸日本鹿兒島市,高知縣一處港口的防波堤,遭大浪撞擊後掀起巨大水花,目測高度比一旁的漁船整整高出7個船身。南瑪都颱風重創日本西南部,街道被渾濁的河水淹沒,強烈風雨造成超過60人受傷,並導致約34萬戶停電。日本氣象廳警告,須對豪雨、強風、大浪和暴潮保持高度警戒。
強颱「南瑪都」逼近日本!逾300萬人收到避難指示 鹿兒島傳災情
於17日變成強颱的第14號颱風「南瑪都」已開始逼近日本,根據最新路徑圖研判,南瑪都將會從18日至21日之間直穿整個日本本土4島。因此截至18日上午10時,已有5萬2400人收到「緊急安全措施」的防災警報,同時也有302萬1100人接到「避難指示」。目前九州地區已開始降下大雨,鹿兒島縣更傳出路樹倒塌的災情。據《日本放送協會》、《南日本放送》及《讀賣新聞》的報導,日本防災警報一共分為5個級別,從最輕微到最嚴重分別為「預警訊息」、「大雨、洪水或暴潮注意報」、「老年人等疏散」、「避難指示」以及「緊急安全措施」。若一旦發布第4級的「避難指示」,該地區所有居民都必須立刻避難。此外,日本政府這次還取消了勸導避難,等於接受到「避難指示」就要全員疏散。氣象廳指出,這次的「南瑪都」威力驚人,且按照最新路徑,可能會從九州登陸日本,屆時恐發生數十年一度的大型災害,因此也對鹿兒島縣發布大雨、洪水或暴潮的特別警報。鹿兒島政府目前已經對出水市等地的2萬5200戶住戶(5萬2400人)、西之表市7800戶(1萬4400人),發布「緊急安全措施」。另外,熊本縣長崎市、天草市、宮崎市、佐賀縣江北町以及鹿兒島縣鹿兒島市則共有146萬9900戶(302萬1100人)被發布「避難指示」。鹿兒島縣鹿屋市18日8時左右,在縣道550號線因強風吹倒路樹,導致一半的道路遭到阻擋,引發現場交通陷入混亂。鹿兒島縣西表市當地也有消防部門稱,18日上午8時30分左右,一名50多歲的男子在一家商店進行加固作業時被強風吹倒,撞到頭部身受輕傷。南瑪都18日上午10時在鹿兒島縣屋久島東南方60公里的海面上,以20公里的時速持續朝北北西移動,中心氣壓925百帕,近中心最大風速為每秒50公尺,最大瞬間風速達每秒70公尺。
50年來最強風暴侵襲阿拉斯加!沿岸浪高創1974年紀錄 房屋在洪水中漂泊
美國氣象預測機構於當地時間17日表示,一個50年來最強風暴正在重襲阿拉斯加州西部,引發1974年以來創紀錄的驚人浪高暴潮及規模最大的水患,導致部分房屋脫離地基,隨著洪水漂泊,形同孤島。建築物脫離地基,跟著洪水漂流。(圖/達志/美聯社)據《紐約郵報》及加拿大廣播公司(Canadian Broadcasting Corporation)的報導,太平洋颱風莫柏(Merbok)成了50年來重創當地最強的風暴之一,預計整個週末都會持續肆虐沿岸地區。美國國家氣象局(NWS)在推特(Twitter)發文表示,該風暴引發的災害包括「極端大浪、暴潮、颶風等級的強風、海岸侵蝕和大豪雨。」NWS還補充,濱海城市諾姆(Nome)沿岸的「海水波濤洶湧」,暴潮浪高直逼3.3公尺,創1974年以來新高。他們甚至還記錄到了每小時145公里的最大陣風,預計稍後還會有更強的風勢。阿拉斯加大學費爾班克斯分校(University of Alaska-Fairbanks)氣候學家托曼(RickThoman)則透過電郵向《法新社》表示:「這輕而易舉地成為了白令海50年來最強威力的早秋風暴。」國家氣象局費班克辦公室(the National Weather Service in Fairbanks)的氣象學家普朗布(Ed Plumb)也表示:「大部分下游地段的社區建築物和地基都被淹沒了。有學校被大水包圍,至少有幾間住宅已隨著洪水漂泊。」美國有線電視新聞網(CNN)的畫面也證實,一棟房屋漂浮在河水中往下游而去,直到卡到橋梁下緣才停了下來。當地政府負責基礎設施的官員路易斯 (Clarabelle Lewis)也表示,她在這裡生活了20年,卻從來沒有看過規模如此之大的水患,更不要說建築物脫離地基,跟著洪水漂流這樣的慘況。
東加海底火山爆發 威力逾「廣島原爆500倍」…難逃農業與生態危機
南太平洋東加王國海底火山,本月15日發生大規模噴發,引發高達15公尺巨大海嘯,美國航空暨太空總署(NASA)估計,這次大噴發的爆炸威力,相當於廣島原爆500倍以上,東加島上也大約有上百間房屋遭到海嘯襲擊,截至目前已知有3人罹難,其中包括一名英國女子。根據路透報導,電訊業者Digicel昨天(19日)晚間表示,已透過衛星連線,恢復東加部分國際通話能力,但全面網路服務要復原,可能要等到海底通訊光纜修復後,預計得再花上一個月左右時間。NASA哥達德太空飛行中心(Goddard Space Flight Center)首席科學家賈文(JamesGarvin)也表示,這次東加海底火山大規模噴發,相當於5到10個百萬噸TNT炸藥引爆,威力比1945年的廣島原子彈爆炸,威力還強500倍以上。至於這場海底火山噴發,進而引起海嘯,科學家指出,火山噴發以來,所持續釋放二氧化硫和一氧化碳氣體,與大氣中的水和氧氣相互作用下會產生酸雨,將對農作物造成危害,造成大量農作物損失,嚴重打擊當地農業。而迸出的火山灰,還可能掩埋大片的珊瑚礁生態,導致珊瑚礁窒息,甲烷、硫化物等化學物質溶入水中,使得珊瑚礁退化。專家更進一步補充,「失去珊瑚礁會連帶影響東加海平面上升以及颱風所引起的暴潮。」
全球升溫低於1.5°C 環境研究人員:仍有5億人將被淹沒
環境氣候研究人員13日警告,即便人類克服難關,把全球氣溫升幅限制在比工業革命前的水平高出攝氏1.5度以內,未來幾個世紀海平面還是會繼續上升,至少有5億人所在的城市將被淹沒。另外,根據研究人員在學術期刊「環境研究通訊」(EnvironmentalResearch Letters)的說法指出,如果氣溫升幅比上述標準再多0.5度,就會再多2億都市居民時常泡在海水裡,並且會更容易遭受毀滅性暴潮侵害。目前大多數有關海平面上升及其對濱海城市威脅的預測,都是估算到本世紀末就結束,上升程度則介於50公分至1公尺之間,端看碳污染減少速度可以多快。最新研究則顯示,冰層融化、海洋中散不去的熱,以及海水變暖後的動力,將助長海平面在2100年過後的數百年繼續上升,即便人類現在如何積極降低溫室氣體排放也沒用。美國研究機構「氣候中心」(Climate Central)首席科學家暨執行長史特勞斯(Ben Strauss)指出,「用人類活動已經釋入大氣裡的二氧化碳量來計算,當今全球約5%人口居住的土地,比預期高潮線會上升到的地方還要低。」二氧化碳可留在大氣裡數百年之久,目前的二氧化碳濃度比1800年高50%,且地表均溫已上升1.1度。史特勞斯表示,這些情況不論是2世紀或10世紀,都足以讓海平面最終上升近2公尺。即使達成巴黎協定(Paris Agreement)的攝氏1.5度內氣溫升幅目標,海平面最終仍會上升近3公尺。而且根據研究,除非工程師找到方法快速去除大氣裡大量的二氧化碳,否則海平面遲早依然註定會上升近3公尺。下個月在英國格拉斯哥(Glasgow)登場的「氣候變化綱要公約第26次締約方會議」(COP 26),仍將試圖守住升幅1.5度的目標。史特勞斯表示,一個大幅減少污染後氣溫升幅1.5度的世界,跟上升攝氏3度或4度後的世界相比,還是天差地遠,「在格拉斯哥和這個十年內,我們有機會幫助未來百代子孫,或是背叛他們。」
台灣夏季愈來愈長 平地百年增溫1.6℃!專家籲:妥善安置沿海居民
台灣愈來愈熱、夏季愈來愈長!科技部、中研院等學研單位昨日發布我國氣候變遷評析最新報告指出,過去110年間,台灣平地年均氣溫上升約攝氏1.6℃,夏季更增至120到150天。學者擔憂,極端氣候發威,海平面持續上升,台灣將損失更多土地,建議政府盡速打造相關基礎建設,甚至遷移港口與電廠,避免暴潮巨浪衝擊的風險。科技部「台灣氣候變遷推估資訊與調適知識平台計畫(TCCIP)」聯手中研院環境變遷研究中心、中央氣象局以及國家災害防救科技中心等單位,昨日發布《IPCC氣候變遷第六次評估報告之科學重點摘錄與台灣氣候變遷評析更新報告》。報告指出,台灣自1910年至2020年的110年間,平地年均氣溫上升約攝氏1.6℃,且近30、50年增溫加速,在年總降雨量方面,1961到2020年間,少雨年發生次數比1960年前增加,本世紀初夏季長度增加到120至150天,近年來冬季更縮短至約20到40天。報告認為,若全球達成2050年淨零碳排目標,能有效遏阻氣候長期變遷,並降低未來衝擊。不過,短期內極端氣候發生頻率必然持續,台灣應同步持續強化因應調適能力,以緩解災害衝擊。中研院地球科學研究所兼任研究員汪中和表示,因應極端氣候,我國第一個方向需與全球同步,在2050年達到碳中和的重大目標,確實做到節能減碳的環保任務。另由於溫度增加,海平面持續上升,政府一定要做好準備,因應巨潮暴浪的衝擊,遷移港口與電廠等基礎設施,妥善安置沿海居民,相關市政建設必須盡早做好規畫。各地方縣市也應有所規畫,汪中和舉例表示,道路鋪面、空間土地都應以透水呼吸的材料鋪設,朝向「海綿化」建設,如此在強降雨時,才能降低洪水衝擊,而道路或都市建設下方可設小水庫,以利乾旱時也能儲水,並能具備降溫效果。