賈新興
」 颱風 賈新興 天氣 氣象 氣象署
12月還有颱風!輕颱「洛鞍」最快明天生成 專家曝未來走向
今天(3日)東北季風增強,伴隨華南中層水氣通過,基隆北海岸及宜蘭地區為有短暫雨天氣,並有局部較大雨勢,北部、花蓮、臺東及屏東會有局部短暫雨,中南部山區亦有零星短暫雨。氣象專家透露,近期有熱帶性低氣壓發展的趨勢,預估最快明後天(4日、5日)就會增強為今年第28號颱風「洛鞍」。台灣整合防災工程顧問公司總監賈新興在臉書粉專表示,根據目前觀察,菲律賓東方海面今天至明天有熱帶性低氣壓發展的趨勢,最快明天至後天有發展為今年第28號颱風「洛鞍」的機率,預估其路徑仍以影響菲律賓南部,並朝南海方向移動的趨勢為主,對台灣天氣沒有直接影響。近期天氣部分,氣象署指出,伴隨華南中層水氣通過,今天基隆北海岸及宜蘭地區為有短暫雨天氣,並有局部較大雨勢,北部、花蓮、臺東及屏東會有局部短暫雨,中南部山區亦有零星短暫雨,中南部平地雲量亦增多,中部以北3500公尺以上高山並有零星降雪的機率,但到了晚上中層水氣有逐漸減少的趨勢。氣溫方面,中部以北及宜、花氣溫明顯比昨天(2日)下降,北臺灣高溫約19至21度,體感整天涼冷,中部及花、東高溫約22至24度,南部高溫可達27度左右,南北溫差較大;這波東北季風預計會影響至週五,最涼冷的時段就在今夜至明晨,預測西半部及宜蘭低溫將降至14至16度,花、東約17度、18度,局部沿海空曠地區及近山區平地氣溫會再更低一些。
第27號颱風「天琴」最快今晚生成! 模擬路徑、對台影響曝
中央氣象署最新資訊顯示,熱帶性低氣壓TD30今早(25日)8時的中心位置在北緯10.3度、東經122.3度,以每小時20公里速度,向西北西進行。氣象專家林得恩指出,TD30最快會在今晚增強成今年27號颱風「天琴」,但由於距離遙遠,對台灣影響不大。氣象專家林得恩在臉書粉專「林老師氣象站」撰文道,「天琴西進,對台影響不大!」目前熱帶性低氣壓TD30正在經過一段「轉大人」的成長蛻變階段,今日通過菲島中部陸地,隨後就會進入南海,在環境條件(較高海溫及較弱垂直風切)的支持下,預計在今晚至明晨(26日),有機會再增強為輕度颱風「天琴」,七級風暴風半徑也會增大為80至120公里。林得恩補充,「天琴」是由日本命名,原意為天琴星座;不過因為距離甚遠,對台灣而言是個無害的颱風。 賈新興則提到,週三(26日)至週五(28日),受偏強東北季風影響;週三各地為晴時多雲的天氣,週四(27日)北北基宜及恆春半島一帶有局部短暫雨,花東亦有零星短暫雨。週五至週日(30日)各地晴時多雲。賈新興表示,下週一(12月1日)中投山區及宜花有零星短暫雨,午後東北角至宜蘭有零星短暫雨;下週二(12月2日)各地晴時多雲;下週三(12月3日)受另一波東北季風影響,午後新竹以北及宜蘭有局部短暫雨,花東山區亦有零星短暫雨;下周四(12月4日)北北基宜有局部短暫雨,花蓮亦有零星短暫雨。賈新興指出,熱帶性低氣壓TD30預估於今晚至明日,進入南海後有機會發展為颱風,之後有朝越南南部移動的趨勢。
熱帶擾動恐發展成「天琴颱風」!最快下週生成路徑曝光
氣象專家賈新興今(21日)指出,菲律賓東方海域24至25日間可能出現熱帶擾動,預估將於27至28日進入南海,具發展為「天琴颱風」的趨勢。儘管如此,預測路徑顯示系統將朝越南南部前進,對台灣並無直接影響。賈新興是台灣整合防災工程技術顧問公司總監,今日透過YouTube頻道「Hsin Hsing Chia」分享最新天氣分析。他表示,今起至下週一(24日)氣溫小幅回升,各地高溫可達27度左右。但自下週二(25日)起,新一波東北季風來襲,將帶來明顯降溫,未來10天台灣天氣多受東北季風影響。針對近期天氣型態,賈新興指出,本週末(22至23日)宜蘭、花蓮沿海地區水氣偏多,其他地區則以穩定天氣為主。下週一白天仍晴朗穩定,但晚間起隨東北季風增強,北部及宜蘭轉為有局部短暫陣雨,花蓮山區亦有零星降雨機率。下週三(26日)轉為乾燥,各地為晴到多雲;不過到了週四(27日)傍晚,將再迎另一波東北季風,提醒民眾持續關注氣溫變化。至於熱帶系統方面,歐洲中期預報中心(ECMWF)系集預測顯示,24至25日間菲律賓東方海域將有熱帶擾動發展,路徑可能先登陸呂宋島南部後進入南海。若持續發展,極有可能成為今年第23號颱風「天琴」,但路徑預估將朝向越南南部前進,對台灣並不構成威脅。最後,賈新興亦補充,12月整體天氣預估為「前涼後暖」。12月上旬偏乾且偏涼,中旬後至下旬略為偏暖,降雨部分,桃園以北及宜蘭地區將略為偏多,提醒民眾出門仍須視天況調整穿著與攜帶雨具。
入秋最強冷空氣殺到!北部入夜起降溫探16度 專家曝:下週東北風接力
今天(17日)東北季風逐漸增強,預估是入秋以來最強的一波冷空氣,上半天桃園以北及宜蘭仍可見陽光,氣溫來到25、26度,不過下半天雲量增多,溫度逐漸下降,到晚間預估會降到19、20度。氣象專家透露,明後天(18日、19日)北部低溫下探16度,週四(20日)氣溫略回升,但下週又有新一波東北季風報到。台灣整合防災工程技術顧問公司總監賈新興表示,台灣今天起受東北季風影響,水氣較多,明日及週三北部及宜蘭有雨,午後竹苗以南山區及花東山區也可能出現零星短暫雨;週四大台北東側及宜蘭有零星短暫雨,氣溫略回升;週五(21日)北北基宜仍有零星降雨,週六(22日)午後大台東山區及宜蘭也有零星短暫雨賈新興指出,下週日(23日)北海岸至宜蘭有零星短暫雨,午後山區亦有局部降雨。下週一(24日)新一波東北季風影響,午後桃園以北及宜蘭局部短暫雨,花東山區也可能有局部短暫雨;下週二至週三(25日至26日)午後山區仍有零星短暫雨。他提醒,超過5天的預報變動度大,需持續關注最新氣象資訊。氣溫方面,明後天中部以北、宜蘭及金門低溫16~18度,南部、花東及澎湖18~21度,馬祖13~14度。週四、週五東北季風影響,北部、東北部及東部天氣較涼,其他地區早晚亦涼,週六、下週日東北季風稍減弱,各地氣溫漸回升,早晚天氣仍涼。
鳳凰估登陸台南嘉義! 明9縣市恐停班課
中度颱風「鳳凰」進逼,中央氣象署今天(11日)清晨5時許已發布陸警,桃園市、宜蘭縣、花蓮縣、澎湖縣已停班課,台北市12里、新北市7區也放了颱風假。而從「最新風雨預報」來看,今日有14縣市達到停班課標準,至於明天(12日)是否會停班課?氣象專家賈新興則預估9縣市有機會。氣象署資料顯示,中度颱風「鳳凰」11日7時的中心位置在北緯19.6度、東經118.4度,即在鵝鑾鼻的西南方約360公里處,以每小時11公里速度,向北北東進行,中心氣壓970百帕,近中心最大風速每秒33公尺(相當於12級風),瞬間最大陣風每秒43公尺(相當於14級風),七級風平均暴風半徑250公里,十級風平均暴風半徑60公里。陸上警戒:高雄、屏東、恆春半島應嚴加戒備。降雨警戒:宜蘭縣。海上警戒:台灣海峽北部、台灣海峽南部、台灣東南部海面、巴士海峽、東沙島海面航行及作業船隻應嚴加戒備。氣象署指出,颱風外圍環流及東北季風影響,易有短延時強降雨,今天宜蘭縣山區有局部大豪雨或超大豪雨,台北市山區、新北市山區、宜蘭縣地區、花蓮縣地區、台東縣山區有局部豪雨或大豪雨,新北市地區、台東縣地區、桃園市山區、屏東縣山區及恆春半島有局部大雨或豪雨,基隆、台北地區及新竹至南投、高雄山區有局部大雨發生的機率,山區請嚴防坍方、落石、土石流及山洪暴發,低窪地區請慎防積淹水。超大豪雨地區:宜蘭縣。大豪雨地區:台北市、新北市、花蓮縣、台東縣。依《天然災害停止上班及上課作業辦法》規定,停班停課標準分別是颱風暴風半徑於4小時內可能經過地區,其平均風力可達7級以上或陣風可達10級以上時,或未來24小時累積雨量預測達山區200毫米及平地350毫米(台北市等部分縣市不分平地山區均為350毫米),以及已致災或有致災可能,各縣市政府才會依據氣象預報和實際觀測,決定是否停止上班上課。目前風力達停班課標準地區有新北市濱海鄉鎮、桃園市濱海鄉鎮、新竹市濱海鄉鎮、新竹縣濱海鄉鎮、苗栗縣濱海鄉鎮、台中市濱海鄉鎮、彰化縣濱海鄉鎮、雲林縣濱海鄉鎮,以及連江縣、金門縣、澎湖縣。而24小時累積雨量達停班課標準的地區則是宜蘭縣山區(250至400毫米)、花蓮縣山區(250至400毫米)、台東縣山區(200至400毫米)。風力預測。(圖/中央氣象署)24小時累積雨量預測圖。(圖/中央氣象署)從氣象署公布「各主要城市及離島120小時颱風暴風侵襲率」圖來看,高雄市、屏東縣、恆春受侵襲率高達99%,台南縣、台東縣98%,綠島96%、花蓮縣93%,嘉義市及嘉義縣92%,雲林縣、蘭嶼88%,南投縣84%。各主要城市及離島120小時颱風暴風侵襲率。(圖/中央氣象署)根據《三立新聞網》報導,氣象專家賈新興表示,目前「鳳凰」颱風最新路徑整體往南修,是因為副熱帶高壓減弱較快,導致颱風北轉時角度縮小,偏東份量增加;週三(12日)清晨暴風圈可能縮小至190至220公里,預估週三清晨七級暴風圈就會接觸到台灣南部陸地,並以台南、高雄機率高,但因為台灣海峽海溫較冷,加上東北季風影響,「鳳凰」在週三就會減弱為輕度颱風,可能在嘉義、台南交界登陸。賈新興說到,週三雲林、嘉義縣市、台南、高雄、屏東、台東及澎湖有機會因暴風圈接觸陸地而達到停班課標準,雖宜蘭雨勢將趨緩,但花蓮、台東可能持續降下大雨,並達到颱風假標準。
鳳凰颱風恐迅速減弱!粉專曝「共伴效應」風險:依強度判斷威脅不可靠
中央氣象署指出,中度颱風鳳凰今(10日)8時的中心位置在北緯17.0度,東經119.2度,以每小時15公里速度,向西北進行。對此,氣象專家賈新興指出,鳳凰颱風朝台灣澎湖海域接近時,因整體大環境不利,故其強度於12日午後有迅速減弱的趨勢。氣象粉專也提醒,秋季颱風路徑難以預測,強度不足以判斷威脅,當秋颱與東北季風交會時易在北部與東部形成「共伴效應」導致長時間降雨,提高次生災害風險。台灣整合防災工程技術顧問公司總監賈新興,今稍早在臉書粉專發文指出,預估今日傍晚發布鳳凰颱風海警機率高,11日中午前發布陸警機率高。另鳳凰颱風朝台灣澎湖海域接近時,因整體大環境不利,故其強度於12日午後有迅速減弱的趨勢。賈新興也預估,颱風中心於12日22至23時,有登陸雲林一帶的機率,至於降雨熱區則是宜花東及屏東山區,其次北北基。氣象粉專「停班停課最新通知 Taiwan Alerts」則發文提醒,秋颱的路徑難以預測,單純依靠強度來判斷威脅並不可靠。當秋颱與東北季風交會時,特別容易在北部和東部地區形成「共伴效應」,造成降雨持續1整天甚至更久,進而大幅提高次生災害的風險。(圖/翻攝自Facebook/停班停課最新通知 Taiwan Alerts)粉專也強調,當民眾誤以為天氣無虞而放鬆警覺,不僅自身安全可能受影響,心情也容易因此受到干擾,「台灣雖然幅員不廣,但由於地形複雜,南北東西的氣候差異顯著、天氣變化多端。為了讓全國各地的朋友 都能充分運用我們提供的資訊,當您發現所在地的天氣與報導有所出入時,請理解這可能代表所在地區尚未受到影響,或並非主要影響範圍。」粉專最後呼籲,「此刻可能仍有人正面臨風雨威脅。唯有在關心自身安全的同時,保有對他人處境的體諒,才是一位具備同理心的現代公民。」
鳳凰對流爆發!強對流區內縮「準備開眼」 鄭明典示警:又是個大災難
中度颱風「鳳凰」今天(8日)上午8時中心位置在北緯12.4度,東經132.4度,以每小時33公里速度,向西北西進行。前氣象局(現為氣象署)局長鄭明典表示,昨天(7日)傍晚開始,颱風強對流區開始往環流中心方向內縮,越來越集中,已逐漸組織成眼牆雲系,「鳳凰颱風增強,範圍大、水氣足,對菲律賓又是一個可能的大災難!」「鳳凰颱風對流爆發!」鄭明典在臉書指出,鳳凰颱風原本強對流離散分布在很大的環流範圍內,昨天傍晚開始,強對流區往環流中心方向內縮,越來越集中,現在已逐漸組織成眼牆雲系,「鳳凰颱風增強,範圍大、水氣足,對菲律賓又是一個可能的大災難!過了菲律賓,颱風將遭遇強勁東北季風,或許會讓颱風對台灣的威脅降低一些,但還是要密切注意過菲律賓之後的變化!」台灣整合防災工程技術顧問有限公司總監賈新興則分析,依目前各國官方預報、各AI模式和物理模式預報,鳳凰颱風將於明天(9日)下半天至下週一(10日)開始影響呂宋島,並迎來第一次減弱,從強颱變成中颱;依氣象署預報顯示,發布海警和陸警的機率高,其中海警時間點約在10日上午、陸警11日上午。(圖/氣象署)賈新興說明,鳳凰颱風影響台灣最顯著時間為下週三(12日)至下週四(13日)清晨,依目前路徑預報屬侵臺颱風第9類型。另外,鳳凰颱風移入臺灣海峽時,因高低層分離及海峽冷海溫,強度可能迅速減弱。氣象署預測,鳳凰颱風將於下週一經過呂宋島並進入南海,有北轉接近臺灣的趨勢,下週一至下週三各地雨勢將明顯增多,風浪亦增強,由於此颱風下週一後路徑不確定性較高,具體影響的程度及區域仍需視後續路徑而定,請留意最新氣象預報。
「鳳凰」颱風最快今晚生成! 專家:恐達強颱偏近台灣
氣象專家表示,熱帶性低氣壓TD29於今(4)日至明(5)日有增強為今年第26號颱風「鳳凰」的機率,預估將達到中颱至強颱之間,且目前部分模擬路徑顯示,有非常偏近於台灣東部或東部外海的訊號。而第25號颱風「海鷗」目前在菲律賓中部偏西進行,將挾帶暴風致災雨登陸越南,提醒計畫前往旅遊的民眾多加留意。台灣整合防災工程技術顧問總監賈新興表示,最快今日晚間到週三(5日),TD29有增強為今年第26號颱風「鳳凰」的機率,預估往菲律賓呂宋島前進,需特別關注其後續移動趨勢。而中央大學大氣科學系兼任副教授吳德榮在氣象應用推廣基金會的「洩天機教室」提到,最新歐洲(ECMWF)及美國(GEFS)系集模式模擬顯示,TD29的系集平均路徑皆在台灣附近北轉,各別模擬路徑分散在兩側,分散度非常大、代表不確定性很大,各國模擬皆還在調整中。台灣大學大氣科學博士林得恩則在臉書粉專「林老師氣象站」指出,TD29不只將會發展為颱風外,且強度有機會增強在中颱至強颱等級之間。「從系集模式模擬結果,也有部分路徑非常偏近於台灣東部或東部外海的訊號,是今年入秋以來非常需要持續追蹤關注的熱帶擾動系統。」此外,吳德榮說,最新氣象署路徑潛勢預測圖顯示,中颱「海鷗」在菲律賓中部、偏西進行,進入南海,將以最強之姿,挾帶暴風致災雨登陸越南,出國有相關行程應注意。至於未來天氣部分,賈新興說,週三受東北季風影響,北海岸、基隆至宜花及新北山區有零星短暫雨;週四、五(6、7日)北海岸、基隆至宜蘭及新北山區有零星短暫雨,午後花東山區、南投以南山區有零星短暫雨。賈新興指出,週六、日(8、9日)午後山區、台東至鵝鑾鼻一帶有零星短暫雨;週日午後起至下週四受東北季風影響,下週一、二(10、11日)桃園以北、宜蘭有局部短暫雨,午後花蓮轉有局部短暫雨;下週三(12日)新竹以北、宜花東有陣雨,屏東亦有局部短暫雨。
又濕又冷還可能有颱風?北台今晚變天一路冷到下週 熱帶系統恐週末發展成颱風
北台灣又要迎來變天,根據中央氣象署與氣象專家觀察指出,隨著鋒面於今(30日)晚間報到,加上東北季風增強,北台灣將再度轉為濕冷氣候,預估此波天氣將持續至下週一。同時,氣象觀測亦發現,菲律賓東方海面至關島附近的熱帶系統有逐漸發展為颱風的趨勢,未來路徑與影響仍待觀察。中央氣象署指出,今晚起北台灣天氣轉變明顯,大台北東側、基隆北海岸及宜蘭、花蓮地區預期將有局部短暫雨,桃園、竹苗山區、台東及恆春半島也可能出現零星降雨。中南部山區在午後時段也有降雨機會,其他地區則以多雲為主。氣溫方面,北部與東半部在週五起明顯轉涼,高溫降至24至25度,低溫約20度,整體氣溫落差大,提醒民眾注意保暖。氣象專家賈新興指出,自10月31日至11月5日,東北季風影響持續存在,北部與東部地區降雨機率偏高。31日北海岸、基隆、新北等地可能出現零星短暫雨,午後宜花東山區也不排除降雨。11月1日至2日,新北山區及宜花地區仍有零星雨勢,南部山區午後亦有降雨潛勢。11月3日至5日,從竹苗以南到東半部亦有分布不均的降雨現象,尤其4日夜間到5日上午,華南水氣將進一步影響桃園以北及宜蘭地區,預期降雨範圍擴大。此外,氣象社群平台「天氣風險」亦表示,目前數值模式顯示,11月初在菲律賓東方海域有可能出現熱帶氣旋發展,該系統一旦成形,可能演變為今年第XX號颱風(註:實際編號待官方命名),不過目前預測其移動路徑變數仍大,尚需密切追蹤最新動態。週末至下週初,台灣將連續受濕冷天氣籠罩,週中更可能面對颱風變數,建議民眾持續關注氣象單位發布的最新預報,並適時調整衣物與出行規劃。東北季風增強,大台北東側與東部地區降雨機率提高,未來幾日將持續濕涼天氣。(圖/中央氣象署提供)
關島旁熱帶系統恐生成颱風 氣象專家揭預估路徑
今(30日)華南雲系東移,基隆北海岸有局部短暫雨,中部以北、東北部及東部地區也有零星降雨,其他地區為多雲到晴,而氣象專家賈新興表示,位於關島附近的熱帶系統有機會發展成颱風。賈新興說明,目前位於關島附近的熱帶系統,預計在本週六、日可能增強為熱帶性低氣壓,之後也有機會發展成颱風,路徑預估將往西移動,通過菲律賓呂宋島南方海域。不過他提醒,超過五天的預報變數仍大,需密切留意後續最新資訊。至於台灣天氣方面,賈新興指出,從本週五起至下週三,受東北季風影響,北部及東半部將不時有零星短暫雨。周五北海岸至基隆一帶有局部降雨,午後宜蘭、花蓮及東部山區亦有短暫雨。週末兩天新北山區及宜花地區持續有零星降雨,午後台中以南山區也不排除有陣雨。下週初水氣增加,下週二午後至週三中午前,華南水氣東移,桃園以北及宜蘭地區將出現局部短暫雨,花東山區也有零星降雨機會。天氣風險公司則指出,今日東北季風持續影響,不過華南水氣減少,桃園以南地區白天將轉為晴到多雲;迎風面的北部及東半部仍有短暫雨。各地早晚氣溫約18至20度,白天南北溫差明顯,北部高溫約25度,中南部可達30至32度。明天東北季風暫時減弱,北部高溫回升至28至29度,但週五清晨新一波東北季風將再度南下。週五白天起,苗栗以北地區會有短暫陣雨,北部、東半部雲量增多並有局部降雨,中南部則維持穩定晴朗天氣。週末期間東北季風仍影響台灣,降雨集中在基隆北海岸、大台北山區與東半部地區,西半部大多為晴到多雲。氣溫方面,週五後北部高溫約24至25度,低溫下探20至21度,感受偏涼;中南部維持29至32度。天氣風險公司表示,目前數值模式顯示,11月初在菲律賓東方海面有颱風生成機會,大氣條件有利發展,但路徑變數仍大,需持續觀察。
恐又有颱風生成! 專家揭模擬路徑:28、31日各發展1低壓
又有颱風將生成!氣象專家賈新興今(27)日表示,南海至菲律賓東方外海一帶仍有熱帶系統發展的機率,其中南海的系統可能在明(28)日發展為熱帶性低氣壓,不排除生成颱風,往越南南部方向前進;而菲律賓東方海面的熱帶擾動預計於31日增強為低壓,未來幾天需持續留意發展趨勢。台灣整合防災工程顧問公司總監賈新興在YouTube頻道中指出,目前南海與菲律賓外海的兩個熱帶擾動發展活躍,其中南海的系統預估在週二、三(28、29日)形成熱帶低壓,移動方向偏向越南南部;菲律賓東方的擾動則有機會在週五、六(31日、11月1日)發展為熱帶低壓或颱風。由於台灣本週持續受到東北季風主導,熱帶系統大多朝西移動至南海及越南一帶,短期內直接影響台灣的機率較低,不過超過5天後預報變動度大、不確定性較高,仍建議民眾密切關注最新氣象資訊,以掌握天氣變化。至於未來10天天氣重點,賈新興說,整體受東北季風影響,明(28)日新竹以北及宜蘭將有明顯降雨,午後各地山區、高屏及花東地區也可能出現局部短暫陣雨;週三(29日)桃園以北山區及宜花地區有降雨機率,午後各地山區及高屏地區也會出現零星短時雨。賈新興表示,週四(30日)午後各地山區、高屏及宜花地區仍可能出現零星降雨;週五(31日)北北基地區及宜蘭降雨機率提升;週六(11月1日)午後山區有零星短暫陣雨,週日(11月2日)新北山區及宜花地區有零星短暫雨,午後中南部山區有零星短暫雨;下週一(11月3日)宜花地區有局部短暫雨,午後受鋒面影響,苗栗以北及中南部山區也可能出現陣雨;下週二、三(11月4、5日)再度受東北季風影響。
強勢的東北季風要來了! 「這天起」北、東部有感降溫
今(9)日大陸高壓中心由大陸東北繼續向東移動,台灣附近仍受到東北季風影響,迎風面大台北、基隆北海岸、宜蘭、花蓮一帶仍有局部短暫陣雨機會,中南部山區午後有局部短暫陣雨。氣象專家吳聖宇指出,預計今晚到明(10)日清晨中北部、東半部低溫落在25到27度之間,而18至19日將有較顯著、強勢的東北季風,預期北部、東半部地區將明顯降溫。天氣分析師吳聖宇在臉書粉專「天氣風險 WeatherRisk」指出,10日北方的大陸高壓中心繼續東移往日本北方移動,台灣附近東北季風逐漸減弱,不過風向轉偏東風的時間跟先前預期相比延後了不少。吳聖宇表示,天氣方面仍會逐漸回到偏夏季型,東半部有局部短暫陣雨,西半部則是大致晴朗穩定,午後山區有局部短暫陣雨,「雖然目前這個季節出現非常顯著午後對流的機會已經降低許多,但要到山區活動的朋友仍要注意午後的天氣變化,白天外出還是要做好防曬、防中暑的準備。」吳聖宇也提醒,這週末夜晚清晨中北部、東半部地區低溫25至27度,空曠地區甚至有機會降到21度以下,南部地區低溫則是在26至28度,空曠地區23至25度,「日夜溫差還是存在,早出晚歸的朋友要多留意。」吳聖宇提到,13日(下週一)起一直到17日(下週五)台灣附近大致為高壓迴流的偏東風為主,雖然15、16日(下週三、四)可能有很弱的東北季風南下,但仍比目前影響台灣的這一波更不明顯。至於真正較顯著、強勢的東北季風,吳聖宇說,要等到18至19日(下週六、日)才會南下到台灣附近,前緣也可能伴隨鋒面系統掠過台灣北部、東部海面,預期屆時不論是天氣、溫度等都會有比較明顯的變化,尤其是北部、東半部地區。而氣象專家賈新興也表示,18日有受東北季風影響的機率,午後桃園以北、宜蘭有局部短暫陣雨,竹苗以南山區、嘉義以南亦有零星短暫雨,這波比第一波更強,時間更長有4、5天;不過超過5天後預報變動度大,民眾需留意最新預報資訊。
又有熱帶低壓!最快明日生成「娜克莉」颱風 預測路徑曝
又有颱風將生成!關島附近的熱帶擾動於今(8)日上午發展為熱帶性低氣壓,預估明(9)日將增強為今年第23號颱風「娜克莉」。氣象專家指出,其路徑與第22號颱風「哈隆」類似,先向西北移動,再往東北方向迴轉,距離台灣遙遠,天氣無受直接影響。中央氣象署、日本氣象廳於今日上午將熱帶擾動95W升級為熱帶低壓TD26,預測24小時內有發展為輕度颱風的趨勢,命名為「娜克莉」,且強度會持續增強。氣象專家賈新興也在YouTube頻道說明熱帶系統動態,他指出,「哈隆」颱風將緩慢從日本東南方外海,往東北方向前進;而「娜克莉」颱風有機會在明日生成,預估路徑與「哈隆」颱風類似。至於未來一週天氣部分,賈新興表示,受今年第一波微弱東北季風影響,國慶連假大致午後零星短暫雨,9、10日(週四、五)北海岸至宜蘭有零星降雨,午後各地山區有零星短暫雨。而11日(週六)東北季風減弱,午後桃園以南及東半部有零星短暫陣雨;12、13日(週日、下週一)午後苗栗以南及花東地區有零星短暫陣雨。賈新興說,14日(下週二)花東沿海至鵝鑾鼻一帶有零星短暫雨,午後竹苗以南山區、嘉義以南及東半部有零星短暫陣雨;15日(下週三)宜花東沿海至鵝鑾鼻一帶有零星短暫雨,午後雨區稍微擴大,竹苗以南山區、彰化至嘉義及宜花東有零星短暫雨機率;16日(下週四)午後北北基宜、竹苗以南山區,以及嘉義以南有零星短暫陣雨。賈新興表示,17日(下週五)可能有第二波東北季風南下機率,屆時北北基宜有局部短暫陣雨,午後竹苗以南山區及花東有局部短暫陣雨。不過他同時強調,超過5天後的預報不確定性較高,仍需持續關注最新預報。
明大台北飆36度!中南部山區防雷雨 熱低壓可能成颱「這2天影響最劇」
明天(10月1日)雙北地區白天有望出現36度以上高溫,到了周五、周六(10月3日、4日)因甫生成的熱帶性低氣壓或颱風外圍雲系影響,花東及南部地區將有局部短暫陣雨或雷雨,午後各地山區也有零星短暫雷陣雨,民眾應多留意天氣變化。中央氣象署表示,明天太平洋高壓勢力較強,天氣相對穩定,各地大多為晴到多雲,午後南部地區及其他山區有零星短暫雷陣雨,後天(10月2日)太平洋高壓仍偏強,各地未雨時高溫炎熱,午後南部地區及其他山區有零星短暫雷陣雨。秋老虎現蹤,最近各地天氣晴朗、炎熱。(圖/翻攝自「報天氣-中央氣象署」臉書)此外,氣象粉專「天氣風險WeatherRisk」表示,目前關島一帶有熱帶擾動93W在發展,預估最近有機會增強為熱帶性低氣壓,預計沿著高壓邊緣向西北西方向移動,後續在接近呂宋島時有機會增強為輕颱。台灣整合防災工程技術顧問公司總監賈新興也說,這個熱帶擾動93W預估明後兩天有增強為熱帶性低氣壓的機率,並於後天、周五(10月3日)有發展為颱風「麥德姆」的趨勢,有望通過菲律賓呂宋島,往中國大陸海南島的方向移動。氣象署指出,周五、周六熱帶性低氣壓或颱風外圍雲系影響,其中周五各地大多為晴到多雲,花、東及屏東地區將轉為有局部短暫陣雨或雷雨,午後山區有零星短暫雷陣雨,到了周六東部、東南部及屏東地區有局部短暫陣雨或雷雨,其他地區為多雲到晴,午後南部地區及其他山區有局部短暫雷陣雨。氣象署提到,周日、下周一(10月5日、6日)水氣減少,各地大多為多雲到晴,僅恆春半島有局部短暫陣雨,午後中南部地區及其他山區有局部短暫雷陣雨,而下周二(10月7日)環境為偏東至東北風,迎風面東半部地區及恆春半島有局部短暫陣雨,其他地區為多雲到晴,午後中南部地區及其他山區有局部短暫雷陣雨。未來各地降雨趨勢。(圖/氣象署提供)溫度方面,氣象署說明,明天西半部高溫約33至35度,東半部約29至31度,其中大台北地區有局36度以上高溫發生的機率,中午前後紫外線偏強,民眾戶外活動請注意防曬並多補充水分,至於各地低溫約24至27度,而離島地區的澎湖27至31度、金門26至31度、馬祖27至31度。氣象署針對雙北地區發布高溫資訊,明天白天當地容易有36度或以上高溫出線機率。(圖/翻攝自氣象署)氣象署預報,後天至下周二台灣、澎湖、金門、馬祖低溫24至28度,其中東半部高溫約29至33度、西半部高溫33至36度,而澎湖、金門、馬祖高溫約30至32度。
南台灣午後留意雷雨!新颱「麥德姆」最快後天生成 預測路徑曝
今年第21號颱風可能生成!氣象專家表示,目前菲律賓東方海面的熱帶擾動93W,有即將增強為熱帶性低氣壓的機率,並最快可能於10月2日有發展為颱風的趨勢,路徑預估將通過菲律賓呂宋島,往海南島方向前進。根據國際命名,若93W成颱將是第21號颱風「麥德姆」(Matmo)。中央氣象署指出,今(30)日各地大多為晴到多雲,午後南部地區及其他山區有局部短暫雷陣雨,中南部山區有局部大雨發生的機率,中午過後外出請留意天氣變化並且攜帶雨具備用。溫度方面,各地高溫約31至36度,尤其在大台北地區有局部36度以上高溫發生的機率,中午前後紫外線偏強,戶外活動請注意防曬並多補充水分,各地低溫約25至27度。未來天氣部分,台灣整合防災工程技術顧問公司總監賈新興表示,10月1至3日午後新竹以南山區有零星短暫陣雨;4日南台東至恆春半島一帶有局部雨,午後新竹以南山區有零星短暫陣雨;5日午後雲林以南、苗栗以南山區有零星短暫雨。賈新興指出,6日午後新竹以南山區有零星短暫陣雨;7日午後北北基宜花東、台南以南有零星短暫陣雨;8日有受今年第一波微弱東北季風影響的機率,清晨南台東至鵝鑾鼻一帶有零星短暫雨,午後北北基宜花東、台南以南有零星短暫雨。至於颱風動態,賈新興提到,熱帶擾動93W預估1、2日有增強為熱帶性低氣壓的機率,並於2、3日有發展為颱風「麥德姆」的趨勢,預估通過菲律賓呂宋島,往海南島方向。而氣象粉專「台灣颱風論壇|天氣特急」指出,未來一週太平洋高壓勢力籠罩台灣附近,93W在高壓強勢導引下,將穩定偏西移動,3日前後穿越菲律賓呂宋島,直接侵襲台灣的機率極低;外圍環流是否在通過時影響花東地區,取決於偏北的幅度。此外,10月第二週熱帶系統依然活躍,颱風通過台灣附近的訊號依然明確,但仍有不小變動及變數。氣象署則說明,未來有個低壓會在3、4日通過菲律賓呂宋島,進入南海有發展機會,但目前尚不確定會不會生成為颱風,還需要再觀察。
北部「這時間起」連1個月雨多! 首波東北季風將報到
中央氣象署指出,今(26)日環境吹偏東風,迎風面的基隆北海岸、大台北、東半部及屏東地區有不定時局部短暫陣雨,其他地區為多雲到晴,午後山區有局部短暫雷陣雨。另氣象專家指出,全台接下來的天氣型態為高溫炎熱、需留意午後雷陣雨;即日起至10月7日降雨偏少,10月8日有首波東北季風影響的機率,台中以北自10月9日起一路到11月份,則開始有明顯降雨,尤其宜蘭可能出現連續異常降雨。針對未來10天天氣重點,台灣整合防災工程技術顧問公司總監賈新興在臉書、YouTube頻道表示,近日台灣受太平洋高壓籠罩,天氣穩定、氣溫偏高,午後需留意零星短暫陣雨。不過他也特別提醒,教師節連假(27至29日)要前往北越旅遊的民眾,需留意28至29日「博羅伊」颱風的影響。賈新興指出,即日起至10月7日前,台灣降雨偏少;而10月8日則有受今年第一波東北季風影響的機率;10月9日起至11月10日台中以北有降雨偏多的機率,並有宜蘭連續異常降雨發生的機率。氣象署也預測,9月27日至10月2日環境偏南風,各地大多為多雲到晴,僅東半部地區及恆春半島有零星短暫陣雨,其他地區為多雲到晴,午後南部地區及其他山區有局部短暫雷陣雨。台、澎、金、馬低溫約25至28度;東半部高溫32至33度,西半部高溫約33至36度,澎、金、馬高溫約30至32度。而10月3至5日各地大多為多雲到晴,僅東半部地區及恆春半島偶有零星短暫陣雨,午後桃園以南地區及大台北山區有局部短暫雷陣雨。
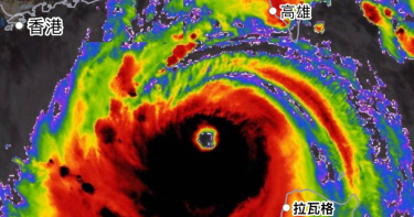
樺加沙颱風結構完美「具超紮實眼牆」 網嚇:還好沒直撲
強烈颱風「樺加沙」過去3小時強度略為減弱,中心目前在鵝鑾鼻西南方海面,向西北西進行,恆春半島已脫離其暴風圈,但仍對台灣海峽、巴士海峽及東沙島海面構成威脅。事實上,「樺加沙」颱風皆被專家直呼「颱風結構真的超完美」,所幸路徑偏南,最強風雨都在巴士海峽上,網友也對此驚嚇表示「那坨黑色的眼牆如果進入台灣陸地……」,後果無法想像。「樺加沙」颱風目前以每小時20公里速度,向西北西進行,近中心最大風速每秒55公尺,相當於16級風;瞬間最大陣風每秒68公尺,相當於17級風以上,而七級風平均暴風半徑為320公里。台灣整合防災工程技術顧問公司總監賈新興等氣象專家直呼,「樺加沙」的結構、型態非常完美;氣象粉專「用事實說颱風」也提到,「台灣有超過四分之三的地方根本沒進入暴風圈,真的還好沒有直撲,想像一下那坨黑色的如果進入陸地……」,後果不堪設想。不少網友紛紛表示,「看留言區想放颱風假的完全沒意識到,這個陣風達17的傢伙有多恐怖」、「天災不是兒戲,不要開這種玩笑」、「即使我們有中央山脈,還是慶幸沒有進來」、「沒進來台北風雨就蠻大的了,進來不得了」、「還好沒直衝台灣」、「這樣的距離,在屏東許多測站都能測得G10以上甚至G14,算是相當驚人的數據」。同時,「樺加沙」颱風的完美結構也引發網友熱議,「只要不進來,你說他可愛都可以」、「這颱風的強度及移速加成,如果直接進來,可能會打破很多本地測站的陣風紀錄」、「超完美颱風」、「以氣象學來論,這颱風真是絕美」、「這次的新颱風真的很肥美,還好只是路過」、「其他不討論的狀況下,真的是超美」。「樺加沙」颱風結構。(圖/翻攝自臉書@climatechia)
樺加沙掃過台灣!氣象署解除陸警 新颱風「博羅依」最快明生成
強颱樺加沙掃過台灣,中央氣象署今(23)日上午8時30分解除陸上颱風警報,但氣象署提醒,受外圍環流影響,今日各地仍有明顯降雨,預計晚間將解除海上颱風警報。而氣象專家賈新興也提醒,菲律賓東方外海的熱帶擾動「92W」未來兩天可能發展為熱帶性低氣壓,甚至生成今年第20號颱風「博羅依」。氣象署指出,樺加沙今晨8時中心位置在鵝鑾鼻西南方約350公里海面上,以每小時20公里速度朝西北西前進,中心氣壓910百帕,近中心最大風速每秒55公尺,瞬間最大陣風達每秒68公尺。其七級風暴風半徑達320公里,十級風半徑為120公里。雖然過去3小時強度略減,但對台灣海峽、巴士海峽及東沙島海域仍構成威脅。預測24日2時的中心位置在北緯30.6度,東經154.0度,即在硫磺島東北東方1410公里之處(台北東北東方3250公里之處)。氣象署表示,今天仍受樺加沙颱風及其外圍環流影響,迎風面的東半部地區、恆春半島及高屏山區雨勢仍持續,易有大雨或豪雨,尤其花蓮、台東地區及東北部、高屏山區有局部豪雨等級以上降雨發生的機率,西半部出現短暫陣雨或雷雨的機率也高,基隆北海岸、屏東平地及臺南以北山區也有機會出現局部大雨,請避免前往山區或溪河活動,在外活動請注意安全。氣象署統計,自21日0時至今晨8時,各地累積雨量以屏東縣泰武達422毫米最多,其次為宜蘭縣翠峰湖411.5毫米、花蓮縣天祥390毫米、台東縣向陽343毫米。新北市福山、桃園市拉拉山、台中市審馬陣等地亦突破200毫米。最大陣風則出現在蘭嶼達13級。至於後續天氣,氣象署表示,周三水氣稍減,東半部及恆春半島仍有大雨或局部豪雨;周四起高壓勢力增強,東半部降雨趨緩,午後雷陣雨為主;周五以後,東半部有零星降雨,午後新竹以南及北部山區有局部短暫雷陣雨。此外,氣象專家賈新興提醒,菲律賓東方外海的熱帶擾動「92W」今晚仍須持續觀察,未來兩天可能發展為熱帶性低氣壓,甚至生成今年第20號颱風「博羅依」(Bualoi,泰國命名),預估將往呂宋島方向移動。由於超過5天後的路徑變數大,民眾應隨時留意最新預報。
又有新颱風「博羅依」! 最快週四生成路徑曝光
強颱「樺加沙」被稱作2025年「風王」,雖然颱風中心不會登陸,且最強的風雨區域是在海上,但受其外圍環流影響,仍將為台灣帶來明顯風雨。而氣象專家賈新興指出,週三(24日)起菲律賓東方外海有熱帶性低氣壓發展趨勢,最快週四(25日)有發展成「博羅依」颱風的機率,但預估其會通過呂宋島進入南海,不會對台灣造成直接影響。「樺加沙」颱風中心目前在鵝鑾鼻南南東方海面,向西轉西北西進行,暴風圈正逐漸進入恆春半島,對台東、屏東、恆春半島及高雄構成威脅,此颱風未來強度仍有稍增強且暴風圈有稍擴大的趨勢。然而,一波未平一波又起,台灣整合防災工程技術顧問公司總監賈新興今(22)日在臉書、YouTube頻道上透露,觀察到週三、四(24、25日)菲律賓東方外海有熱帶性低氣壓發展的趨勢,預估週四、五(25、26日)其會發展成颱風,若成颱將命名為「博羅依」。賈新興指出,「樺加沙」至目前為止是2025年的「風王」,22日午後至明(23)日中午前,民眾需留意花東及屏東山區有較大雨勢發生的機率,不過最強的風雨區域是在海上。賈新興強調,預估「博羅依」成颱後會通過呂宋島進入南海,不至於對台灣造成直接影響,颱風過後大致會恢復到午後天氣型態。不過,超過五天後的天氣預報變動度大、不確定性較高,因此請民眾留意最新的預報資訊。
樺加沙颱風強襲「7縣市明放假機率最高」 公路局示警13路段:非必要勿進入
樺加沙颱風已升級為強烈颱風,暴風半徑上看300公里,逐漸朝台灣逼近,屆時有7縣市可能被暴風圈接觸,停班停課的可能性最大,交通部公路局也將視風雨狀況發布警戒及行動作為,提醒用路人特別注意13路段。中央氣象署今(21日)14時30分持續發布海上颱風警報,警戒範圍涵蓋台灣東南部海面、巴士海峽及台灣海峽南部,未來將持續增強。如果颱風行徑沒有特殊變化,預計今天17時30分發布海上陸上颱風警報。氣象專家賈新興說明,樺加沙颱風待在海面上的時間長,加上近期海溫偏暖、垂直風切小,所以強度穩定提升,暴風半徑也達到300公里,簡單來說,「樺加沙颱風本身體質好,又生長在優渥的環境,所以吃的好就長的胖」。賈新興指出,樺加沙颱風的路徑大致已經確定,就是從巴士海峽通過,不太會有偏北、更靠近台灣的可能性,暴風圈可能接觸的縣市包括,「台東、屏東、高雄」基本上跑不掉,「台南」機率次高,「嘉義縣市」在邊邊,「花蓮」會有較大豪雨,也有一些機會。若考量到停班停課標準,這7個縣市周一機率最高。樺加沙颱風已升格為強烈颱風。(圖/中央氣象署)此外,公路局也因應明天深夜起至周二東部有局部豪雨發生機率,將視風雨狀況發布警戒,省道注意路段有台2線濱海公路、台7甲線中橫支線、台8線中橫公路花蓮路段、台9線蘇花公路、台9線南迴公路、台11線花東海岸公路、台11甲線光豐公路、台20線南橫公路、台23線東富公路、台24線霧台公路、台27線新發公路、台27甲線旗六公路及台29線那瑪夏至五里埔路段等。公路局表示,將持續監控颱風動態發布道路預警訊息,並即時處理災情,呼籲用路人,颱風豪雨期間山區道路易發生坍方、落石,路況難以掌握,如非必要勿進入山區道路。