曾昭誠
」 天氣 颱風 東北季風 氣溫 氣象署
週末好天氣「高溫上看30℃」! 下週東北季風報到又變天
今天(28日)受東北季風影響,各地早晚偏涼,中部以北及宜蘭低溫約14至15度,南部及花東低溫約18度,白天因雲量增加,北部及東半部可來到22、23度,中南部則約24、25度,週末白天各地氣溫逐漸回升,西半部及台東高溫預測能有26至30度。中央氣象署預報員曾昭誠提醒,下週將迎來新一波東北季風,北部最高溫可能下降5度。氣象署資料顯示,今天因東北季風影響,台灣北部、東北部及東部天氣較涼,其他地區早晚亦涼;全台各地大多為多雲,僅恆春半島及中南部山區有零星短暫雨,今晨至上午西半部地區亦有零星短暫雨。明天(29日)東北季風減弱,白天各地氣溫逐漸回升,早晚仍較涼;台灣各地大多為多雲到晴,僅恆春半島有零星短暫雨。中部以北、宜蘭低溫預測13至15度,南部及花東17至19度;宜花高溫預測24至25度,西半部及台東26至30度。週日(30日)各地大多為多雲到晴,西半部日夜溫差較大,僅基隆北海岸、恆春半島、中部以北山區有零星短暫雨。中部以北、宜蘭低溫預測15至16度,南部、花東19至20度;台灣各地高溫預測大約26至30度。下週一(12月1日)東北季風稍增強,下週二(12月2日)至下週四(12月4日)受東北季風影響,北部及宜蘭地區天氣稍涼,其他地區早晚亦涼。下週一、二基隆北海岸、東半部地區及恆春半島有局部短暫雨,其他地區為多雲到晴;下週三(12月3日)、四桃園以北、東半部地區及恆春半島有局部短暫雨,其他地區為多雲到晴。下週一、二中部以北、宜蘭低溫預測17至20度,南部、花東20至21度;北部、宜花高溫預測23至24度,中南部及台東26至29度。下週三、四各地低溫預測15至20度;北部、宜蘭高溫預測21至22度,中南部及花東24至29度。氣象署預報員曾昭誠表示,下週另一波東北季風報到,預計將一路影響至週末,因此下週一、二北部最高溫可能下降5度,桃園以北、東半部及恆春半島將出現局部短暫雨;下週三、四冷空氣增強,北部低溫下探15度,屆時雨區也將擴大,北部、東部和恆春半島均要注意降雨狀況。
全台陰雨綿綿!2熱帶系統蠢蠢欲動 有機會發展成颱風
氣象署指出,今天(22日)台灣仍在低壓帶環境內,水氣有減少的趨勢,但各地仍有機會出現陣雨或雷雨,東半部雨勢會比昨天短暫,西半部降雨更局部一些,花東地區及午後中南部地區仍有局部大雨發生的機率;近期連日降雨、土石鬆軟,前往山區請注意自身安全。氣象專家林得恩指出,根據美國聯合颱風警報中心(Joint Typhoon Warning Center,JTWC)今晨最新情資顯示,於菲島東方海域的熱帶擾動97W,其後續移動往西北方向,有朝向台灣東北方外海前進的趨勢;目前評估,97W有可能發展為季風低壓,主要特徵包括:環流範圍非常寬廣泛、風場結構對稱性差、外圍有最大風雨、中心風速較弱及水氣供應充沛等。而環境垂直風切為20–25節,屬於中等強度,對97W發展是有抑制作用;環境海溫約為30度左右,則可提供良好熱能支持發展;高層大氣有適度的赤道向外流,也是有助於對流系統排出熱量,有利系統發展。從各國決定性數值模式預報的結果均顯示,對97W未來48小時的發展趨勢有一定共識,都認為會再增強。至於緊跟在後的98W,從今晨最新各國決定性數值模式預報的結果顯示,在接下來的48小時內,98W會逐漸向北移動,強度並有緩慢增強的趨勢,也需加強注意。低壓是否會成颱?根據《ETtoday新聞雲》報導,中央氣象署預報員曾昭誠表示,要看這幾天的發展,若發展好不排除增強為熱帶低壓或輕度颱風,預估從台灣東方海面往東海前進。氣象專家吳德榮在專欄「洩天機教室」中表示,最新模式模擬顯示,週四、五(24、25日)「熱帶系統」外圍與季風環流影響,北台灣有明顯降雨,偶有較強陣風,中南部午後有局部陣雨或雷雨機率。週六至下週一(26至28日)仍受季風環流影響,大氣不穩定,各地有局部陣雨或雷雨機率,午後對流發展旺盛,未降雨時、天氣悶熱。根據氣象署最新「路徑潛勢預測圖」顯示,「薇帕」在東京灣,今午登陸、侵襲越南北部。最新歐洲模式系集路徑模擬圖顯示,「熱帶系統」通過台灣東側海面、進入北部海面,但因垂直風切大、結構鬆散,僅發展為「熱帶低壓」或勉強為較弱的「輕颱」。最新美國模式系集路徑模擬圖顯示,另一「熱帶系統」在關島北方海面,其強度發展得較強,系集模擬路徑主要偏北而行,離台灣太遠,不會有影響。(圖/氣象署)
5縣市高溫「上看36度」! 週五恐又有熱帶低壓接近
中央氣象署於今(13)日中午發布高溫特報,提醒台北市、新北市、台南市、高雄市、台東縣5縣市民眾應留意高溫,最高可達36度以上。另外,今年第5號颱風「百合」已於今日清晨生成,未來朝日本東方海面移動,不影響台灣;18至19日(週五至六)菲律賓東方海面將有明顯低壓發展,接近熱帶低氣壓強度,也不排除生成颱風。西南風沉降影響,天氣高溫炎熱,台東縣有焚風發生的機率,氣象署今日發布高溫資訊,其中白天台北市、新北市、台南市、高雄市、台東縣為黃色燈號,請注意,氣溫恐達36度以上。氣象署提醒,高溫情況下,減少戶外活動及勞動,避免劇烈運動、注意防曬、多補充水份、慎防熱傷害;室內保持通風及涼爽,適時採取人體或環境降溫的方法,如搧風或利用冰袋降溫等。另外,應適時關懷老人、小孩、慢性病人、肥胖、服用藥物、弱勢族群、戶外工作或運動者,減少長時間處在高溫環境。且地形影響,背風側小區域可能產生焚風或類似焚風的效應,可架設防風設施或噴水、灌水降溫,防範農損。近日天氣部分,氣象署預報員曾昭誠表示,今日太平洋高壓增強,水氣減少,不過受西南風影響,午後宜蘭、南部地區及各地山區都有雷陣雨,入夜到明(14)日清晨中部以北也有降雨機會,且要留意中部以北沿海風浪較大。曾昭誠指出,14日水氣增加,中部以北及馬祖有降雨機率,南部不定時有陣雨或雷雨,其他地區則有午後雷陣雨。15、16日(週二、三)中南部清晨有陣雨或雷雨,其他地區為午後有局部短暫雷陣雨。曾昭誠說,17日(週四)水氣減少;18至19日(週五至六)菲律賓東方海面有熱帶擾動至熱帶低氣壓強度的熱帶系統發展中,台灣環境轉偏東風,迎風面東半部地區及恆春半島有局部短暫陣雨,其他地區為多雲、午後有局部短暫雷陣雨。至於位於日本南方海面的熱帶性低氣壓,於今日凌晨生成為「百合」颱風,氣象署表示,其往日本東方海面移動並從東北邊離開,對台灣沒有直接影響。氣象署高溫警示圖。(圖/中央氣象署提供)
開工日強烈大陸冷氣團報到!溼冷夾擊低溫探10度
今(2)日為大年初五收假日,東北季風增強,北、宜轉涼,迎來9天春節連假第3波天氣變化。中央氣象署表示,3日開工日強烈大陸冷氣團報到,各地降溫愈晚愈冷,華南雲雨區東移致雨區擴大,7日才回溫,另3至4日水氣足,北部雪山、中部合歡山降雪機會高,至於冷氣團是否可能升級寒流?氣象署依目前預報,仍以強烈大陸冷氣團為主。中央氣象署預報員曾昭誠指出,2日東北季風影響,北部與宜蘭天氣將轉涼,北部及東北部氣溫約14至19度,迎風面北部、東半部、恆春半島及中南部山區有局部短暫雨,其他地區為多雲到晴。3日將迎來一波強烈大陸冷氣團南下,全台明顯降溫,且愈晚愈冷,再加上華南雲雨區東移,各地有降雨機會,尤其北部、東半部及中南部山區有較廣泛降雨,中南部平地也有零星降雨。曾昭誠說,冷氣團影響將持續至5日,4日雖稍微轉乾,但花東與中南部山區仍有零星降雨機會,其他地區為多雲到晴,5日迎風面水氣再次增加,桃園以北、東半部及各地山區皆有局部短暫雨。氣象署預報3至5日北部與宜蘭9至18度、中部11至20度、南部13至24度、花東14至21度。曾昭誠表示,這波強烈大陸冷氣團最冷時間點為4與5日清晨,北部與宜蘭僅約11度、中南部約12至13度,空曠地區與近山區會再低1至2度,部分地區可能出現10度以下低溫。至於是否可能升級為寒流?曾昭誠說,觀察目前預報情形,仍是以強烈大陸冷氣團為主。針對高山降雪機會,曾昭誠表示,2日中部以北3000公尺以上高山有零星降雪機率,但降雪機會較低,直到3至4日水氣較充足,北部、東北部2500公尺以上高山及中部3000公尺左右高山有局部降雪機率,像北部的雪山、中部的合歡山降雪機會較高,5至6日水氣減少,中部以北3000公尺以上高山降雪機會變低。曾昭誠說明後續天氣,6日冷氣團稍減弱,7日氣溫逐漸回升,桃園以北、東半部及其他山區有局部短暫雨,8日後轉為偏東風,東半部仍有降雨機率,其他地區則為多雲到晴天氣。
2波東北季風襲台氣溫明顯下降 北部下周恐現「1字頭低溫」
今(2)日由於受東北季風增強影響的關係,全台各地區氣溫及降雨情況呈現明顯差異。在桃園以北、宜蘭地區及恆春半島等迎風面地區出現局部短暫雨,花東地區則有零星降雨。新竹以南地區以及離島澎湖、金門、馬祖等地區則是多雲到晴的天氣型態。而下周由於2波東北季風襲台的關係,下周北部恐會出現突破20度以下的「1字頭低溫」。根據媒體報導指出,氣象署預報員曾昭誠受訪時表示,目前各地區溫度變化明顯,桃園以北及宜蘭地區天氣較為涼爽,其他地區則在清晨及夜晚時分感受到涼意。白天最高溫方面,北部、宜蘭及花蓮約在攝氏25至27度之間,中南部及台東則可達30至31度。至於最低溫度,中部以北及宜蘭約在22至23度,其他地區則維持在24至25度左右。而由於4日將迎來新一波東北季風增強。根據中央氣象署預報顯示,4日至7日這段期間,北部及東北部地區天氣轉涼,其他地區早晚也會感受到涼意。各地區的溫度預測為北部和宜蘭19至27度、花蓮在21至28度之間,中南部及台東則在20至31度範圍內。離島地區方面,澎湖溫度在22至26度之間,金門約19至27度,馬祖則在18至23度之間。另外,氣象署也提醒,由於近日持續降雨,民眾前往山區活動時需特別留意土石崩坍等危險情況。在未來幾天的天氣型態中,北部及東北部地區仍有局部短暫雨,東部及東南部地區則有零星降雨,其他地區以多雲到晴為主,午後中南部山區可能出現零星短暫陣雨。而FB粉絲專頁「林老師氣象站」表示,2日、36日的天氣會由東北季風主宰。臺灣2日轉為受東北季風影響天氣。北部及東北部天氣稍涼,其它地區早晚亦涼;桃園以北、宜蘭氣溫在攝氏21至26度,花東攝氏22至30度,中南部氣溫則在攝氏22至32度之間。至於降雨部份,迎風面的北部、東北部、東半部地區及恆春半島有局部短暫雨,雨勢相當零星且微弱,其它地區則維持為多雲到晴天氣;午後,中南部山區仍有局部短暫陣雨發生的機會。而氣象專家吳德榮今在「三立準氣象.老大洩天機」專欄表示,2日宜蘭、花蓮有微弱回波、伴隨局部降雨(右圖)。各地氣溫略降,截至5:43各地區平地最低氣溫約在19至22度:北部(新北石碇區)18.8度中部(雲林虎尾鎮)20.9度南部(高雄杉林區)20.9度東部(花蓮壽豐鄉)21.7度而根據最新(1日20點)歐洲模式(ECMWF)模擬顯示,週末(2、3日)「康芮」已變性、遠離;各地天氣好轉,迎風面仍有殘餘水氣,北海岸、東半部多雲、偶有一些局部、零星降雨的機率,其他地區晴時多雲。北台稍涼、中南部白天微熱、早晚偏涼。各地區氣溫為:北部19至27度中部21至31度南部21至33度東部22至33度最新歐洲模式模擬顯示,下週一(4日)晚起至下週五(8日)另一波東北季風影響,下週二(5日)大台北、東半部有局部短暫雨;下週三至五(6至8日)略轉乾,北海岸、東半部多雲、偶有一些局部、零星降雨的機率;背風面都是晴朗穩定的天氣。下週二起氣溫逐日略降,北台稍涼、中南部白天微熱、早晚涼。氣候平均而言,11、12月西北太平洋還有3個颱風生成,但是此時東亞陸塊已變冷,颱風在靠近時會快速減弱,否則在洋面上即早早迴轉,或偏南通過菲律賓,侵台的機率統計上約為0.1%。若模式未來有颱風生成的模擬,不用意外!其侵台機率雖然很低,但對天氣有間接影響的、機率就比較高了,這也是為何仍需對熱帶擾動的活動,繼續觀察的原因。
全台17縣市高溫警報 新竹市逃過酷暑!氣象署揭「獨涼原因」
台灣持續高溫炎熱的天氣,中央氣象署今(30日)針對17縣市發布高溫警報,示警台東縣恐出現38度的極端高溫,不過全台熱翻天卻只有「新竹市躲過」,獨涼的背後原因也曝光。氣象署今(30日)表示,受到西南風沉降影響,各地天氣高溫炎熱,其中台東縣已有焚風發生,且有機會出現38度極端高溫,發布橙色燈號高溫警報。氣象署指出,今天針對台北市、新北市、新竹縣、台中市、彰化縣、南投縣、雲林縣、嘉義市、嘉義縣、台南市、高雄市、屏東縣發布橙色燈號,有連續出現36度高溫的機率;另外,基隆市、桃園市、苗栗縣、花蓮縣則為黃色燈號,提醒民眾注意防曬、多補充水份,慎防熱傷害。全台熱爆橘一片,但唯獨只有新竹市躲過高溫警示區域,普遍溫度低於36度,為何會形成如此大的落差?對此,中央氣象署預報員曾昭誠透露,整體台灣西半部明顯高溫,尤其近山區更加炎熱,不過由於新竹市鄰近海邊,在海風調節的情況下,溫度比起其他縣市較為涼爽。曾昭誠也說明,台灣今、明(6月30日、7月1日)兩天處於西南風環境,中南部整天需留意不定時陣雨或雷雨,其他地區則慎防午後雷陣雨的發生,而未來一周仍是高溫的酷熱天氣。
17縣市亮「高溫燈號」!東南部飆38度 到這天極端高溫才會趨緩
近期台灣天氣炎熱,氣象署指出,今(30)日各地高溫約33至36度以上高溫,東南部有局部38度左右高溫的機率,並伴隨午後有雷陣雨。不過氣象署也表示,極端高溫的天氣在下周六後將趨緩,不過各地仍會出現30度以上高溫。氣象署指出,今天由於西南風持續影響,台灣中南部地區及澎湖、金門有局部短暫陣雨或雷雨,南部地區並有局部較大雨勢發生的機率,其他地區及馬祖為多雲到晴,午後中部以北、東北部、東部地區及其他山區有局部短暫雷陣雨,並有局部大雨發生的機率,應注意短延時強降雨、雷擊及強陣風等劇烈天氣現象,若行經山區路段應提高警覺,留意土石鬆軟、地滑、崩坍及落石,並留意自身安全;氣溫方面,沒下雨時天氣炎熱,各地高溫約33至36度以上高溫,東南部有局部38度左右高溫及焚風發生的機率,外出活動應做好防曬並多補充水分,慎防熱傷害。氣象署也說明,西南風沉降影響,各地天氣高溫炎熱,台東縣已有焚風發生,今日台東縣為橙色燈號,有38度極端高溫出現的機率;台北市、新北市、新竹縣、台中市、彰化縣、南投縣、雲林縣、嘉義市、嘉義縣、台南市、高雄市、屏東縣為橙色燈號,有連續出現36度高溫的機率。基隆市、桃園市、苗栗縣、花蓮縣為黃色燈號。氣象署表示,週二至週六太平洋高壓逐漸西伸,台灣附近週二風向轉為偏南風,週三後轉為東南風,台灣各地為多雲到晴,太平洋高壓南側水氣相對較多,迎風面的東南部地區及恆春半島有不定時零星短暫陣雨,午後西半部地區及其他山區有局部短暫雷陣雨;其中週二、週三午後山區並有局部大雨發生的機率。後續7日至9日各地天氣晴朗穩定,高溫炎熱,東南部地區及恆春半島偶有零星短暫陣雨,午後受到熱力作用影響,有局部短暫雷陣雨發生的機率。根據《ETtoday新聞雲》的報導,中央氣象署預報員曾昭誠表示,台灣未來一週將持續高溫炎熱。上午天氣多雲到晴,下午則需留意午後雷陣雨。從周二開始,太平洋高壓將重新回到台灣附近,隨著高壓增強,西南風會轉為東南風,中南部沿海的不定時陣雨或雷雨將減少,取而代之的是全台中午前晴朗炎熱、午後雷陣雨的天氣,這種天氣型態將持續到周五和周六,太平洋高壓預計會持續北移,極端高溫在7月6日後將有所緩解,37度、38度的高溫情況可能會減緩,但各地高溫仍會超過30度,37度、38度的高溫情況可能會稍有減緩。
明天午後雷雨最猛!15縣市高溫熱炸 未來1週天氣曝
先熱炸後雷雨的天氣還要持續1週,中央氣象署表示,未來7天仍是午後雷陣雨天氣型態,其中明天是午後雷陣雨最大的1天,中部以北、宜蘭、花蓮及各地山區有局部短暫陣雨、可能有局部大雨,15縣市尤其大台北要注意高溫。預報員曾昭誠表示,明天(29日)受太平洋高壓減弱、西南風影響,中南部、澎湖、金門整日有陣雨或雷雨,其中中南部沿海清晨有陣雨,南部雨勢更大,其餘為中午前高溫炎熱、午後雷陣雨型態,且明天降雨範圍、雨勢都可能比今天更大,中部以北、宜花和各地山區午後有局部短暫陣雨,以及有局部大雨機會。明天因南方低壓往北移動,會是午後雷陣雨最強的1天,週日和下週一水氣將因西南風影響減弱減少,雨勢也不會那麼大,但下週午後雷陣雨範圍不變;下週二至週五因太平洋高壓再度西伸增加,各地為多雲到晴,環境吹東南風,東南部、恆春會有零星短暫陣雨,西半部及各地山區午後有局部短暫陣雨。另外,東南部週日及下週一會有焚風發生機會,氣象署也對明天15縣市發布高溫燈號,其中大台北可能出現37度以上橙色等級高溫。高溫橙色36燈號:台北市、新北市、新竹縣、台中市、彰化縣、南投縣、雲林縣、嘉義市、嘉義縣、台南市、高雄市、屏東縣高溫黃色燈號:桃園市、花蓮縣、台東縣
把握明天好天氣!母親節「全台變天灌雨」越晚雨越大 下周北部降溫時間曝
把握最後1天的好天氣!中央氣象署表示,明天(11日)各地為多雲到晴的好天氣,南部局部地區恐飆出36度高溫,不過隨著鋒面周日(12日)接近,全台將變天轉雨,雨勢最大時間點落在周日晚間至下周一(13日)。中央氣象署預報員曾昭誠表示,明天天氣與今天相似,各地天氣穩定,氣溫普遍都有30度,南高屏山區恐出現36度高溫,雨勢方面僅花東有零星降雨,午後各地山區有雷陣雨的發生機率。周日將迎來母親節,曾昭誠指出,隨著鋒面接近,越晚降雨機率越高,雨勢最大時間點落在當天晚間至下周一,屆時各地都有局部短暫雨或雷雨,尤其中部以北、宜蘭地區有較大雨勢發生。曾昭誠說明,下周一鋒面通過後,東北季風續接力,雖然雨勢趨緩,但午後各地雷陣雨仍明顯,下周二、下周三(14日、15日)水氣減少,僅剩東半部有局部短暫雨,午後各地山區有局部雷陣雨,其他地區為多雲到晴,直至下周四、下周五(16日、17日)水氣又增加,雨區擴大至北部、東半部地區及中南部山區,均有局部短暫陣雨。氣溫部分,周日晚間起,受到東北季風增強影響,北部及宜蘭地區降溫轉涼,高溫約25至27度、夜晚降到20至22度,這波冷空氣將持續到下周三清晨,不過中南部地區仍維持30度左右的高溫。
「雨襲全台」但高溫依舊!下週全台普遍有雨 週四前氣溫上看31度
受鋒面持續影響,全台各地都有降雨機會,26日晚間到27日白天雨量最大熱區仍是中南部,27日晚間起,鋒面逐漸北移,中部以北會有局部大雨,下週一為天氣最好的一天,不過下週二又有鋒面接近,下週三、下週四通過,屆時仍會有短延時強降雨。氣溫方面變化則不大,週三以前各地白天氣溫可到28至31度,週四起鋒面通過,溫度可能略有下降。中央氣象署表示,未來一週都是容易降雨天氣,本波鋒面將影響到週日(28),各地均有降雨機會,白天雨量最大熱區仍是中南部,不過27日晚間到28日鋒面往北,降雨熱區也逐漸移動到中部以北地區,中南部雖仍有降雨,但雨勢會較為趨緩。下週一(29日)為未來一週天氣最好的一天,中央氣象署預報員曾昭誠指出,下週一僅中部以北有零星短暫陣雨,午後各山區、宜花有午後雷陣雨。下週二(30日)鋒面接近,中部以北、宜蘭、花蓮有局部短暫陣雨,午後各山區也有局部短暫雷陣雨。下週三(1日)、週四(2日)為鋒面通過過程,各地會有明顯降雨,尤其西半部有較大雨勢,待下週五(3日)鋒面通過,台灣轉東北風,各地降雨便會趨緩,剩東半部有局部短陣陣雨,其他地方多雲,各地山區有午後雷陣雨。溫度趨勢方面,曾昭誠表示,下週四之前溫度變化不大,各地白天高溫可到28到31度,低溫22到24度;下週三鋒面通過後,後續東北風南下,各地溫度略降,北部白天高溫約26到28度,低溫約20到22度。
今晚變天轉濕冷!冷氣團報到「全台連凍3天」最冷跌剩11度
又要變天了!中央氣象署表示,今晚(18日)起鋒面通過、冷氣團南下,北部地區明顯降溫,呈現濕冷的天氣型態,屆時北台灣低溫恐下探至13、14度,直至下周四(21日)氣溫才回升。中央氣象署預報員曾昭誠表示,今晚微弱鋒面通過,加上大陸冷氣團南下,明天(18日)起北部及東北部氣溫開始一路下滑,預估最冷時段落在下周二至下周四(19日至21日)清晨,屆時北部及宜蘭地區低溫跌到13至14度、中南部低溫僅15至17度,其中21日清晨因受輻射冷卻效應影響,北台灣最低溫恐下探剩11度。曾昭誠指出,冷空氣下周三(20日)起逐漸減弱,天氣型態轉為乾冷,直至下周四(21日)氣溫才顯著回升,天氣一路穩定至下周末,北部高溫可回升達25、26度,中南部高溫則變化不大。雨勢方面,明天(18日)起受到華南雲雨區影響,北部、東半部地區及恆春半島有局部短暫雨,中南部山區有零星短暫陣雨,下周二(19日)中部以北偏濕冷,下周三(20日)起水氣減少,直至下周末各地都是多雲到晴的好天氣,僅花東、中南部山區有零星降雨。
霸王級寒流再冷2天!網直呼「台灣體感比日本冷」 氣象署解釋了
今(26日)至周日(28日)預料寒流將持續減弱,不過陸續仍有冷空氣南下補充,各地清晨依然寒冷。這波霸王級寒流凍了快1個禮拜,讓許多網友直呼體感比日本還要冷。對此,中央氣象署也解釋,日本緯度較高,氣溫一定會比台灣低很多,但坦言類似的溫度造成截然不同的感受,和濕氣和風速有關係。目前這波冷氣團非常持久,雖然已經減弱,但持續有冷空氣補充南下,因此今晨各地仍然非常寒冷,氣溫回升緩慢,北台灣偏冷飄雨持續到週末,中央氣象署一早也持續針對「半個台灣」發布低溫特報。對此,氣象專家、台灣整合防災工程技術顧問公司總監賈新興直呼這波寒流真的非常冷,連續最低溫15度或以下的時數共96小時,已超越2016年的「霸王級寒流」。針對不少網友指出,台灣寒流在感受上會比日本還要「刺骨」,氣象署預報員曾昭誠解釋,這個現象反映的就是體感溫度的差別,相同溫度下如果濕氣或風速較高,冷的感受就會相對強烈。但日本緯度比台灣更高,真的遇上寒潮,外頭就像冷凍庫一樣,不太可能比台灣的冬天好受。至於不少剛赴日旅遊回國的民眾聲稱「台灣寒流比日本較冷」,曾昭誠則研判,可能是因為日本室內場所冬天多半會供暖,所以才會給台灣遊客日本比較溫暖的印象。
冷氣團明報到!中部以北「低溫跌破10度」 投票日天氣曝光
冷氣團明天報到!中央氣象署表示,受到冷空氣影響,北部低溫跌至15度或以下,中南部地區下探至20度,而此波冷氣團最凍時段則落在11、12日清晨,預估周五(12日)白天才回溫。中央氣象署預報員曾昭誠表示,大陸冷氣團或強烈大陸冷氣團明(10日)報到,中部以北、宜蘭地區低溫下探至15度到17度,中南部地區則降至20度到22度,預估最凍時段則落在周四晚至周五清晨(11日至12日),部分地區恐跌破10度以下。直至周五白天冷氣團減弱,各地氣溫回升到20度以上,不過穩定天氣只到投票日假期,下周一(15日)又要迎來新一波東北季風,屆時雖然降溫不明顯,不過北部及東部將轉為有雨的天氣。雨勢部分,迎風面的北部、宜蘭地區明天有局部短暫雨、花蓮、台東則有零星降雨,直至明晚起雨區範圍縮小,僅剩東半部有零星降雨雨勢,其餘各地均是多雲到晴的好天氣。
下午開始繼續轉冷 寒冷聖誕夜低溫區域出爐
由於大陸冷氣團或強烈大陸冷氣團從24日開始南下的關係,全台氣溫會再次轉冷,24日下午至晚間氣溫會再次下降,到25日清晨還會有另外一波低溫出現,中部以北、宜蘭局部地區可能會出現10度以下低溫。根據中央氣象署資料顯示,24日晚間至26日清晨,由於大陸冷氣團或強烈大陸冷氣團影響,各地寒冷,易有10度以下氣溫發生。24日晚間至25日上午,臺中以北、東北部及金門有局部10度以下氣溫。而中央氣象署也預告新北市、基隆市、臺北市、桃園市、新竹市、新竹縣、苗栗縣、臺中市、宜蘭縣、金門縣有10度以下氣溫發生的機率,呼籲民眾應特別留意。根據媒體報導指出,中央氣象署預報員曾昭誠表示,在降雨方面,24日中南部清晨至上午這段時間有飄雨,玉山也在24日清晨出現凍雨。在桃園以北、東半部雲量多的區域,迎風面部分也有出現降雨。24日整體雨勢以基隆北海岸、大台北地區山區、宜蘭為主,桃園以北、新竹山區、東半部也會有持續降雨的情況,入夜後會趨緩。在下周氣候部分,曾昭誠表示,這波低溫會持續到26日清晨,26日白天會明顯回溫,北部、中南部、東部氣溫有望回升到20度以上,這波回溫將會持續到27日。而從27日開始,至29日這段時間,全台會再因為另外一波東北季風的影響,北部、東北部溫度略微下降,但是中南部、花東地區影響甚微。在下周降雨的部分,到27日之前,全台僅有零星地區降雨,到28日開始,因為東北季風南下的關係,中南部水氣大增,山區會有明顯降雨。全台降雨機率也大幅提高,較大的雨勢會出現在迎風面與南部山區,中南部平地降雨較少。而這波降雨會一直持續到29日,待南風雲系減弱後會有好轉。
明日短暫回溫!下周連2波東北季風襲擊 最低溫恐下探1字頭
25日由於受到東北季風的影響,台灣北部、東部有雨。但好在26日不僅降雨趨緩、氣溫也會略微回升。可在下周會面臨到2波東北季風的襲擊,最低溫恐會下探1字頭。根據中央氣象局資料顯示,25日由於東北季風影響,北部及東北部天氣較涼,其他地區早晚亦涼。26日東北季風稍減弱,氣溫稍回升,中南部日夜溫差大;臺灣東北部、東部、大臺北地區及桃園山區有局部短暫雨,東南部地區及馬祖有零星短暫雨,其他地區及澎湖、金門為多雲到晴。27日東北季風稍減弱,氣溫稍回升,中南部要注意日夜溫差大。而在下周天氣的部分,28日東北季風稍增強,早晚稍涼,各地大多為多雲到晴,僅東半部地區有零星短暫雨。29日東北季風減弱,氣溫回升,各地大多為多雲到晴,僅東北部、東部地區有零星短暫雨。30日、12月1日東北季風增強,北部及東北部天氣轉涼,其他地區早晚亦涼;桃園以北及東半部地區有局部短暫雨,其他地區多雲到晴。在溫度部分,根據媒體報導指出,氣象署預報員曾昭誠表示,28日、30日會出現2波東北季風,屆時台灣北部白天溫度會下降,中南部也會日夜溫差大。由於東北季風影響,白天溫度約在25度左右,而夜晚、清晨的低溫有可能觸及20度,甚至有可能下探1字頭。
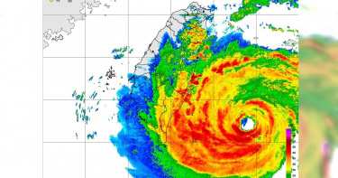
海葵颱風將過中央山脈「越晚風雨越大」 陸警擴大16縣市「明是否放假有待觀察」
海葵颱風3日清晨5點暴風圈接觸陸地,預計下午登陸台東,未來將會通過中央山脈,預計於4日上午在南高屏一帶出海。而目前也傳出,海葵未來還有稍微增強的空間,如果沒有增強的話,目前就是最強狀態。而也因為海葵接近台灣的關係,目前陸上颱風警報擴大到16個縣市,4日是否還會放颱風假,目前仍有待觀察。根據氣象局資料顯示,海葵颱風3日清晨5點在台東東方190公里處,以每小時19轉7公里的速度向西轉西北前進,近中心最大風速為每秒40公尺,7級風平均暴風半徑為180公里。中央氣象局預報員曾昭誠表示,海葵颱風預估下午會登陸台東,4日清晨至上午階段從南高屏一帶出海。而從3日至5日這段期間,颱風的外圍環流影響甚鉅,尤其是3日、4日兩天,全台有雨,台灣東半部有豪雨以上的降雨,待海葵通過中央山脈後,南部、中部以北有大雨、豪雨的發生機率。5日南部、東半部、中部山區也有大雨、豪雨的機率。3日也因為海葵颱風的關係,全台有8個縣市停止上班上課,目前也傳出,陸上颱風警報已經擴大到全台16個縣市(宜蘭、花蓮、台東、新竹、苗栗、台中、彰化、南投、雲林、嘉義、台南、高雄、屏東、恆春半島、澎湖)。至於4日是否還會放颱風假,曾昭誠解釋,氣象局提供的「風雨預報」僅到3日晚間,而在3日白天會有4日的風雨預報,屆時還要看預報情況才能判斷。最終是否會停班停課,還是有待各縣市政府決定。
下週出門要關窗「午後雷雨到週五」 颱風可能生成時間曝光
氣象局發布預報,下週一到五(21到25日),白天天氣都是高溫炎熱的,午後有雷陣雨,民眾出門記得帶雨具,也要記得關窗戶。週六後吹東風,東半部降雨機率提高,西半部以午後雷陣雨為主。至於颱風目前在菲律賓東方海面有雙熱帶雲系發展,不過發展環境條件不佳,要到下週後才有利於颱風發展。下週五前都要注意午後雷陣雨,但預報員表示不會像近日的雨勢那麼大。(示意圖/CTWANT攝)中央氣象局預報員曾昭誠表示,下週一到五白天多雲到晴,午後有雷陣雨,各地山區雨勢將達大雨標準,平地也有雷陣雨,不過雨勢不會像今日這麼大,另外週一到週三清晨到上午受到海陸風輻合影響,中南部沿海會有零星降雨。下週六日各地為多雲到晴,東半部地區有零星短暫陣雨,午後各地有局部短暫雷陣雨。另外,明(21)日下午起至晚間黃海南部及花鳥山海面平均風力將增強至6級,雷雨區最大陣風9級,有行經附近的船隻請多加注意。至於下週颱風狀況,曾昭誠則指出,目前菲律賓東方海面有兩個熱帶雲系發展中,但整體發展條件不好,不過下週南海到菲律賓東方海面,熱帶擾動發展開始會比較活耀,較有利於颱風發展。
把握最後好天氣!這天起「雨彈連炸3天」 強降雨熱區曝光
好天氣要沒了!中央氣象局表示,明天到下週二(13到15日)各地雨勢雖趨緩,僅大台北、宜蘭及山區有午後雷陣雨,但下週三到週五(16到18日)全台3天都有雨且天氣不穩定,西部地區更有強降雨機率。預報員曾昭誠表示,明天西半部及宜蘭高溫達33到35度,台北、花東縱谷及東南沿海更可達36度。但這水氣較少,降雨時間、強度都較前幾天低,又清晨至上午中南部有局部短暫陣雨或雷雨,午後大台北、宜蘭及各山區有機會短暫雷陣雨的天氣,將從週三開始變不穩定。曾昭誠指出,受西南風轉強帶入更多水氣影響,屆時西半部都有短暫陣雨或雷雨,且降雨強度較大;其餘地區則為多雲、午後局部雷陣雨型態,預估週六過後雨勢才會趨緩。臉書粉專「台灣颱風論壇|天氣特急」則指出,下週四、五將是降雨峰期,各地均有持續性雨勢,特別是西部地區有強降雨訊號,「下週會是多雨的一週,真的會下到發霉」。 至於卡努消散後,第7號颱風蘭恩、第8號颱風朵拉是否會對台造成影響?粉專指出蘭恩將朝日本中部侵襲、朵拉預期偏北移動且持續減弱,對台灣天氣無影響。
颱風卡努亂飄「碰一下東北角」又跑開!氣象局曝:「這時間」正式登陸
颱風「卡努」來襲,雙北、基隆市及宜蘭縣今(3日)停班停課,中央氣象局表示,由於卡努移動速度緩慢,原先預估暴風圈今天深夜才會觸及台灣,沒想到下午4點至5點時竟「碰到一下東北角」,不過隨即又閃離台灣。中央氣象局表示,據最新資料顯示,第6號颱風卡努過去3小時強度略為減弱且中心有打轉的現象,其暴風圈短暫接觸台灣東北角陸地,目前中心在台北東北東方海面,向東北轉東北東移動,對新北、台北、基隆及宜蘭仍構成威脅。氣象粉專「台灣颱風論壇|天氣特急」也表示,卡努颱風已經開始「打轉亂飄」,暴風圈緊貼基隆北海岸,未來12小時將是關鍵轉折期。氣象局曾預估暴風圈今晚或深夜才會觸及台灣陸地,且隨著颱風更加逼近,北部風雨可能會再增強,不過氣象局預報員曾昭誠稍早則指出,擺盪不定的卡努在今天下午4點到5點之間「稍微觸及東北角」,不過現在暴風圈又脫離台灣本島,預估在6點到8點之間將正式登陸。至於民眾最關心明天(4日)是否繼續放颱風假?對此,氣象局預報員徐仲毅透露,預估卡努颱風將於明天清晨逐漸遠離台灣,屆時可能解除陸上警報,但礙於風力才剛要趨緩處於「交界點」,再加上路徑仍有不確定性,因此明天是否停班停課,還是要尊重各縣市政府的判斷。
杜蘇芮有望成強颱 有機會發陸警
今、明(22日、23日)兩天臺灣各地及澎湖、金門、馬祖為多雲到晴,東南部地區及恆春半島有零星短暫陣雨,午後西半部地區及東半部山區有局部短暫雷陣雨,並有局部大雨發生的機率,今日清晨臺南以北地區亦有零星短暫陣雨。明日東南部(含蘭嶼、綠島)及恆春半島沿海有長浪發生的機率,請注意。中央氣象局預報員曾昭誠指出,杜蘇芮預計在24日開始北轉、25日清晨發佈海警,至於會不會發佈陸警,則要看北轉的角度而定。輕度颱風編號第2305號(國際命名DOKSURI,中文譯名:杜蘇芮),中心氣壓998百帕,22日2時的中心位置在北緯14.2度,東經131.8度,即在雅浦島西北方860公里之海面上(鵝鑾鼻東南方1470公里之海面上),以每小時11公里速度,向西進行,中心附近最大風速每秒18公尺(即每小時65公里),相當於8級風,瞬間最大陣風每秒25公尺(即每小時90公里),相當於10級風,7級風暴風半徑100公里,預測23日2時的中心位置在北緯14.5度,東經129.5度,即在馬尼拉東方920公里之海面上(鵝鑾鼻東南方1260公里之海面上)。氣象專家吳德榮於「三立準氣象.老大洩天機」指出,歐洲系集模式模擬顯示,杜蘇芮颱風從菲律賓東方海面,先向北轉西北前進,經巴士海峽、中心擦過台灣南端及西南部,各別系集成員分散在其東、西兩側,不少通過台灣。(圖/網編組製)