海上陸上警報
」 颱風 氣象署 山陀兒 陸警 中央氣象署
鳳凰颱風發威! 萬里核二廠進水口 「天降巨石」畫面曝
輕度颱風「鳳凰」持續逼近,中央氣象署今日上午 8 時 30 分持續發布海上陸上警報,陸上警戒範圍擴大至臺南、高雄、屏東、臺東及恆春半島。雖然颱風強度減弱,但其外圍環流已對北台灣造成影響。新北市萬里區,核二廠進水口附近路段清晨發生土石崩落意外,所幸未造成人員傷亡或車輛受損。萬里警分局今5 時 15 分許接獲民眾報案,指稱萬里區野柳里核二廠進水口附近路段有大量土石崩落,阻礙交通。野柳派出所員警立即趕赴現場拉起封鎖線進行警戒,並通報萬里區公所工務課派員協助清除。經過工務課與警方人員的緊急搶修,落石已於上午 8 時 15 分排除完畢,該路段交通已恢復順暢。警方呼籲,受鳳凰颱風外圍環流影響,北部山區及沿海地區仍有持續降雨的可能,民眾行經山區道路務必提高警覺,注意路況,避免因落石或積水發生危險。
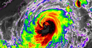
強颱樺加沙來襲!午後10縣市風力達停班課標準 專家:花東雨量可觀
中央氣象署22日發布18號強颱樺加沙海上陸上警報,目前在鵝鑾鼻東南方海面,向西轉西北西進行,今屏東縣部分鄉鎮、台東縣蘭嶼、綠島和花蓮部分地區停班停課,預計中午12點後10縣市風力達停班課標準。氣象專家指出,上一次那麼強的颱風是2018年的山竹颱風,而北基宜看起來離颱風最遠,沿海還是要防陣風。桃園市濱海鄉鎮、新竹市濱海鄉鎮、新竹縣濱海鄉鎮、苗栗縣濱海鄉鎮、台中市濱海鄉鎮、屏東縣恆春半島、台東縣濱海鄉鎮及蘭嶼、綠島、連江縣、金門縣、澎湖縣達10縣市風力達停班課標準。此外,台東縣山區雨量預報達停班課標準。氣象署林伯東科長表示,樺加沙颱風結構增強,近中心最大風速達每秒58公尺,未來將往巴士海峽移動,12小時內可能持續增強並擴大暴風圈。今晚東部及高屏山區恐有豪雨,各山區有局部大雨,沿海風力8至10級以上並伴隨6公尺巨浪。民間氣象愛好「台灣颱風論壇」也發文,雖然樺加沙不會直接撲台,但挾今年最強颱風之姿,就算是擦邊也對台灣有一定衝擊,颱風最接近的時段在22至23日,「暴風圈將會掠過台灣南端陸地,隨後,颱風就會迅速華南沿岸方向離去。」風雨預測圖。(圖/氣象署提供)「台灣颱風論壇」指出,恆春半島風雨會十分有感,花東雨量也相當可觀,要留意強降雨,樺加沙的外圍環流寬廣,就算24日遠離後花東還是會有風雨,要等接近周末天氣才會穩定。「觀氣象看天氣」粉絲團表示,樺加沙暴風圈已擴大至320公里,為去年康芮後最大,並被JTWC升格為超級颶風,成為今年西北太平洋最強颱風,未來仍可能增強,上次符合此規模與強度的颱風,已是2018年的山竹。氣象署指出,根據最新資料顯示,第18號颱風中心目前在鵝鑾鼻東南方海面,向西轉西北西進行,暴風圈正逐漸進入臺灣東南部近海,對臺東、屏東、恆春半島及高雄將構成威脅,此颱風未來強度仍有稍增強且暴風圈有稍擴大的趨勢。第18號颱風及其外圍環流影響,易有短延時強降雨,22日晨至上午蘭嶼、綠島有局部大雨或豪雨,宜蘭地區、花蓮地區及基隆北海岸有局部大雨發生的機率,今日下午起花蓮縣地區、臺東縣地區、宜蘭縣山區、屏東縣山區、恆春半島及蘭嶼、綠島有局部大雨或豪雨發生的機率,大臺北地區、宜蘭地區、屏東地區及桃園山區、臺中山區、南投山區、高雄山區有局部大雨發生的機率。第18號颱風及其外圍環流影響,22日晨至23日晚上蘭嶼、綠島、屏東縣局部地區有平均風9級以上或陣風11級以上發生的機率,基隆市、臺北市、新北市、桃園市、新竹市、新竹縣、苗栗縣、臺中市、南投縣、彰化縣、雲林縣、高雄市、宜蘭縣、花蓮縣、臺東縣、澎湖縣、金門縣、連江縣局部地區有平均風6級以上或陣風8級以上發生的機率。
強颱樺加沙來勢洶洶!台北市入夜影響最猛 蔣萬安示警:恐現8至9級強風
中央氣象署今(21日)上午8時30分發布今年第18號颱風「樺加沙」海上颱風警報,下午17時30分再發布海上陸上警報,可見來勢洶洶。台北市長蔣萬安今日下午召開台北市災害應變整備會議,提到受颱風影響最顯著時間從今日入夜開始至明後天,市區更可能出現8至9級強風,呼籲各單位做好防颱準備。蔣萬安在樺加沙颱風防颱整備會議指出,據最新颱風資料顯示,颱風強度未來有稍增強趨勢,研判樺加沙颱風影響台北市最顯著的時間,預計從今日入夜開始直到明後天,甚至一路影響到大後天也有可能;而台北市市區內會出現強風,陣風可達到8至9級,並伴隨間歇性陣雨。因此蔣萬安要求市府各單位做好防颱準備工作,落實以下幾項整備措施,包括請工務局公園處針對市區的行道樹、公園、廣場等地的樹木進行修剪及維護;另請教育局所屬學校及各局處,針對管轄範圍內的樹木加強穩固。第二,請都發局、工務局、勞動局要求各建築與施工工地廠商,針對圍籬、帆布、廣告招牌、施工吊車以及其他設施加強固定與防護。接著,第三,受颱風外圍環流影響,台北市陽明山區已觀測到7級強陣風。隨著颱風逐漸接近,陣風強度將持續增強,市區亦會出現間歇性陣雨,請觀傳局與媒體事務組加強宣導,提醒民眾避免前往山區、河邊及海域活動,並提高防災警覺,落實各項防災準備工作。最後則是第四,針對本週舉辦的台北水舞嘉年華相關活動,觀傳局長剛剛已報告,經與水利處討論及評估後,活動預計於明、後兩晚暫停舉行,請相關單位立即發布訊息,並透過多元管道強化宣傳與通知。第五,請災害防救辦公室持續掌握颱風動態,以及風力與雨勢情形,並即時提供各防救災單位作為應變參考依據。強颱樺加沙接近台灣。(圖/中央氣象署)中央氣象署在今日下午17時30分發布海上陸上警報,陸上警戒區域為恆春半島,海上警戒區域有東南部海面(含蘭嶼、綠島)、巴士海峽、台灣海峽南部及東沙島海面航行及作業船隻應嚴加戒備。且颱風外圍環流影響及午後對流雲系發展旺盛,易有短延時強降雨,今日宜蘭及南部地區有局部大雨發生的機率,請注意雷擊及強陣風,山區慎防坍方及落石,低窪地區請慎防積水。不僅如此,中央氣象署也發布陸上強風特報,颱風及其外圍環流影響,今日晚間至明(22)日蘭嶼、綠島、屏東縣局部地區有平均風9級以上或陣風11級以上發生的機率;新北市、桃園市、新竹市、新竹縣、苗栗縣、台中市、南投縣、彰化縣、雲林縣、嘉義縣、高雄市、宜蘭縣、花蓮縣、台東縣、澎湖縣、金門縣、連江縣局部地區有平均風6級以上或陣風8級以上發生的機率。
楊柳颱風明登陸台東!警報不是等風雨才發 氣象署:盼民眾有時間防颱
中度颱風楊柳正向台灣接近,氣象署預估將於明日(13日)登陸台東後橫越南台灣,並已同時發布海上及陸上颱風警報,提醒花蓮、台東、高雄及屏東地區加強戒備。然而,今日(12日)不少地區仍天氣晴朗,部分民眾對於提前發布警報感到不解。氣象署強調,提前發布警報的主要目的,是爭取時間讓民眾與各單位完成防颱準備,而非代表風雨會立即到來。根據氣象署在臉書粉專「報天氣」的說明,海上颱風警報(海警)的發布條件,是當預測颱風七級風暴風圈將於24小時內進入距離台灣本島及澎湖、金門、馬祖100公里的海域時啟動。此警報每3小時更新一次資訊,以確保漁船、郵輪及其他海上作業船隻有充足時間返港避風,並加固纜繩與設備,降低海上作業風險。至於海上陸上颱風警報(陸警),則是在預測颱風七級風暴風圈將於18小時內侵襲台灣本島及澎湖、金門、馬祖等陸地時發布,同樣每3小時更新一次資料,並於每小時提供颱風最新位置,讓居民得以及時移除或加固戶外易墜物、清理排水溝渠,並檢查防颱物資,避免風雨來襲時措手不及。氣象署指出,颱風警報發布時,颱風往往仍與台灣保持一定距離,許多地區的天氣甚至會出現晴朗或艷陽,這是因為颱風外圍雲系尚未影響全台。提前發布警報,是國際間普遍採行的防災措施,目的是讓防颱準備能有充分時間展開,而非等到風雨已經到來才警示。此次楊柳颱風的暴風半徑廣泛,且路徑將直接影響南部及東部沿海地區,氣象署提醒,除了正面迎風的花東沿海與恆春半島,高雄、屏東、嘉義及台南也應留意豪雨及強陣風的威脅。此外,山區居民需特別防範坍方與土石流,低窪地區則應注意積淹水風險。氣象署呼籲,民眾應在警報發布後,儘快檢查並加固招牌、遮雨棚與窗戶,將室外花盆、晾衣架等易被風吹落的物品移入室內。針對農漁業工作者,應提前完成漁船返港、漁網收納與農作物加固,減少可能的損失。對於計畫出行的民眾,則應隨時留意最新氣象資訊,並避免在颱風影響期間前往山區、海邊等高風險地區。氣象署再次強調,颱風警報提前發布,並不意味颱風即刻侵襲,而是為了爭取防範的黃金時間。颱風真正的風雨影響,往往會在警報發布後數小時乃至一日後才逐漸顯現。呼籲民眾切勿因當下天氣良好而掉以輕心,應把握時間做好防颱準備,以降低災害發生的可能性。氣象署指出,颱風警報發布時颱風往往仍遠離台灣,但提前行動可避免臨時措手不及,確保防颱工作落實。(圖/翻攝自臉書)
楊柳能量高!鄭明典示警「中央山脈幫不了太多」 颱風懶人包一次看
中颱楊柳直逼台灣,氣象署已發布海上陸上警報,首波警戒範圍包括花蓮、台東、高雄、屏東,暴風圈預計明(13日)上午觸陸,颱風中心會在中午前後從台東一帶登陸。前氣象局長鄭明典提醒,颱風路徑偏南,結構恐無法被中央山脈破壞太多。根據中央氣象署,楊柳颱風今天15時的中心位置在北緯21.3度,東經126.2度,即在台東的東南東方約550公里處,以每小時29轉35公里速度,向西北西轉西北進行,中心氣壓970百帕,近中心最大風速每秒33公尺(約每小時119公里),相當於12級風,瞬間最大陣風每秒43公尺(約每小時155公里),相當於14級風。鄭明典分析,從能量觀點來看,昨天前颱風極度不對稱,現在對稱性高很多,所以強度數字上雖然幾乎無變化,但是因為對稱性提高,強風區範圍擴大,颱風的能量其實是明顯增加。颱風不會被中央山脈破壞太多。(圖/中央氣象署)由於颱風能量高,通過台灣地形時的影響就會比較明顯,尤其目前偏南的預測路徑,颱風結構可能不會被中央山脈破壞太多。按照過去的經驗,這樣的預測路徑,颱風中心有可能很接近台東通過,台東很可能出現強風,中心過了台東,西南部沿海也會有強風,提醒民眾特別注意。另外,氣象粉專「台灣颱風論壇|天氣特急」也在《Threads》貼出颱風懶人包,因為颱風跑超快,影響時間就只有明天一整天,早上開始侵襲,午後登陸,深夜離開,後天回到夏天天氣,沒有什麼西南氣流。因為環境沒有原先預期那麼差,楊柳最後以中颱撞進來的機率很高。正所謂「大風吹著誰,誰就倒霉」,颱風核心很小,現在花東沿線各鄉鎮基本上都在賭人品,看誰抽到登陸點這張鬼牌,「沒中沒事,中了就阿彌陀佛」,風雨會非常可怕。各地的風雨情況,南部跟澎湖很極端,颱風登陸前無風無雨,但中心一翻過山,風雨就直接拉起來,午後到晚間是危險期。北台灣受到地形影響,強陣風不斷,但可能離放假標準還是差一點,最終決定還是看縣市長。中部人則不受颱風侵襲,完全無感。
天兔颱風逼近 2縣市累積雨量達「停班課標準」
天兔颱風漸漸逼近,明、後天(15、16日)最靠近台灣,氣象署已發布海上陸上警報,目前屏東列入陸警範圍。根據最新風雨預測,未來24小時雨量預測2縣市共3地區的累積雨量,符合停班停課標準。根據氣象署資訊,天兔颱風今天19時的中心位置在北緯18.6度,東經121.6度,即在鵝鑾鼻的南南東方約370公里之處,以每小時18轉11公里速度,向西北轉北進行,中心氣壓945百帕,近中心最大風速每秒43公尺(約每小時155公里),相當於14級風,瞬間最大陣風每秒53公尺(約每小時191公里),相當於16級風,七級風平均暴風半徑150公里,十級風平均暴風半徑50公里。3地區未來24小時累積雨量符合停班停課標準。(圖/氣象署)根據19時最新風雨預測資料,今晚12時至明晚12時,台東縣、屏東縣山區及恆春半島累積雨量150至250毫米(標準200毫米),符合停班停課標準。
北海岸尚未復原又迎康芮強颱 新北災變中心一級開設避免二次災害
康芮強颱來勢洶洶,新北市於30日下午納入海上陸上警報範圍,31日市區雨量可能達大雨等級,北海岸、東北角及山區雨量恐超過350毫米,達大豪雨等級,市區及郊區的強陣風分別可能達到11和12級,一級災害應變中心已於下午2時30分開設,而北海岸經歷山陀兒強颱尚未完全復原,市長侯友宜也下令各區公所做好防颱準備,避免二次災害發生。新北市消防局表示,依據氣象署與新北市天氣團隊的氣象情資研判,強颱康芮目前位於新北市東南方約700公里海面,以時速20公里向西北方向移動,7級暴風半徑320公里。消防局表示,新北市已在30日下午2點30分納入海上陸上警報範圍,受外圍環流影響,新北市風雨將逐漸增強,31日市區雨量可能達大雨等級,北海岸、東北角及山區可能達350毫米的大豪雨等級,市區及郊區的強陣風分別可能達到11和12級。而此次颱風路徑與上次山陀兒類似,雖預估沒有共伴效應影響,市區強陣風會感受更明顯,山區跟沿海地區的累積雨量也不容小覷,颱風影響期間可能累計超過600毫米,且北海岸各區公所的災後復原工程仍在進行中,侯友宜則指示各級單位針對各項防颱措施已做好萬全準備,減少二次災害發生的可能性,以維護市民的生命財產安全。新北市災害應變中心於下午2點30分提升為一級開設,並已召開第2次工作會報,副市長朱惕之也北海岸視察各項復建工程防颱工作執行進度,確認各項搶災人員及機具已預置完成,並提醒持續清查各類災害潛勢保全戶須撤離人數,必要時應加速預防性撤離收容作業,以市民及第一線防救災人員的安全放在首位,確保防災工作落實到位。侯友宜呼籲,本次颱風可能對新北市帶來劇烈風雨,請民眾務必提前做好防颱準備,並於家中備妥防災物資,高灘地停車場則將於晚間8時開始強制拖吊,橫移門及越堤道是晚上9點開始只出不進,並在晚上10點完成封閉。
北部連放2天颱風假遭批「鬼預測」 氣象署:秋颱難掌握
山陀兒颱風昨減弱為熱帶性低氣壓,持續為北部與東北部帶來大雨,因移速慢、路徑多變,增加預報難度,先前風雨較小的北部連放2天颱風假,中央氣象署遭批鬼預測,且基隆昨也大雨未止,民眾哀號沒颱風假。氣象署回應,秋颱路徑與短時間劇烈降雨較難掌握,皆有提供縣市政府最新資訊,強調氣象只是放假決策因素之一。資深媒體人黃光芹表示,氣象署即時公布停班課達標縣市,久而久之,縣市首長以此作為決策指標,但長期預測失準成常態,這次完全不是山陀兒的對手,專家建議海上陸上警報定義應修正,太早動員或空等都不是辦法。氣象署說明,颱風警報期間3小時更新一次預報,提供最即時資訊,該質疑有不少並非事實,發布陸警後,暴風圈如同預估涵蓋東南部陸地,秋颱常面臨導引系統不如夏天明確,路徑預測難度高,且易受環境影響,像東北季風南下就易產生交互作用,雖有參考AI資料,但其在預報上仍有進步空間。氣象署指出,這次共開3次縣市政府連線會議,是在影響期間開最多連線會議的颱風,地方可能有更周延考量決定防救災政策,氣象署尊重,也會提供協助。氣象署提到,不同災害性天氣,科技預報能力也不同,特別是颱風內單一雨帶的瞬間強降雨,全球氣象預報能力相對有限,氣象署以即時監測預警方式適當調整預警訊息,但短延時強降雨的預報時間有限,基隆北海岸確實出現顯著強降雨,縣市政府決策時,氣象只是參考因素之一,若造成災害也可停班課。氣象專家吳德榮表示,觀察颱風不能僅看其中一報,起初各家模式一致報在東邊,若要比較後續路徑,可對比各國模式分別誤差多少,若皆有誤差,代表這次環境較難報,他強調預報準度應以客觀數據評斷。
山陀兒陸警範圍擴大至17縣市! 雙北海陸警機率曝
中颱「山陀兒」即將登陸高屏一帶,之後很快會減弱為輕度颱風。中央氣象署今(3日)稍早也發布最新海上陸上警報,陸警範圍新增桃園市,警戒範圍擴大到17縣市。對此,台北市長蔣萬安依據氣象署預報指出,「台北市不會被納入陸上颱風警報範圍」,另預估7級暴風圈不會進入新北,納入海上及陸上警報的機會降低。根據氣象署最新資料顯示,第18號颱風「山陀兒」目前中心在高雄西南方海面,向北北東轉北移動,其暴風圈已進入彰化以南、南投、花東陸地及澎湖,對桃園以南、南投、宜蘭、花蓮、臺東地區及澎湖構成威脅,預計此颱風強度有持續減弱的趨勢。氣象署稍早也發布最新海上陸上警報陸上:桃園、新竹、苗栗、臺中、彰化、南投、雲林、嘉義、臺南、高雄、宜蘭、花蓮、臺東、屏東、恆春半島、澎湖應嚴加戒備。降雨警戒:新北市。海上:臺灣海峽、臺灣東北部海面、臺灣東南部海面、巴士海峽、東沙島海面航行及作業船隻應嚴加戒備。對此,台北市長蔣萬安今上午赴災變中心主持防颱應變會議,針對是否會再放1天颱風假?蔣萬安表示,依據氣象署的預報,「本市不會被納入陸上颱風警報範圍」,後續將關注颱風動態,氣象團隊也將隨時回報各項資訊,並依據相關資訊做判斷。新北市政府今上午也召開災害應變中心,侯友宜表示,雖然颱風從高屏登陸後,將緩慢北上並快速減弱,所以預估颱風7級暴風圈未來影響新北的機率降低。然而,颱風外圍環流帶來的雨量仍不容輕忽,尤其烏來、北海岸和東北角各行政區,要持續留意強降雨所帶來的山區坍方、落石、 土石流及低窪地區積淹水情形。
山陀兒再釀死 花蓮7旬民宿老闆修剪樹木摔落不治
1日山陀兒強颱海上陸上警報已發布,花蓮全縣停班停課,不過颱風速度緩慢,花蓮壽豐鄉一間民宿70歲賴姓老闆,1日想趁著颱風來前修剪樹木,卻不慎自3公尺高的鋁梯摔落,今天上午傷重不治。成為颱風花蓮首起死亡災情。案發在壽豐鄉鹽寮村一間大型民宿,70歲賴性民宿業者利用颱風前夕,上午10時到戶外修剪樹枝,卻不慎自鋁梯上摔落地面造成受傷,經賴妻發現報案,警方與消防獲報協助送慈濟醫院急診室,無明顯外傷,但搶救一天時間,至今天上午10時24分不治。轄區鹽寮派出所長黃鏡峰、偵查佐洪健誌、鑑識小隊員警溫家銘到現場勘查採證。,現場經測量高度約3公尺,已報請檢察官司法相驗。中央災害應變中心,列入颱風造成1例死亡案。
小犬變猛犬!颱風「90度大甩尾」撲台 登陸點有變關鍵一彎恐襲北部
中央氣象署持續針對今年第14號中度颱風「小犬」(Koinu)發布海上陸上警報,目前暴風圈進入台灣東南部海面及巴士海峽,對花東、高屏、恆春及南投構成威脅,預計小犬最快將於4日清晨觸陸,不過也有專家認為,小犬過去偏北移動,即將90度轉西逼近台灣,轉彎關鍵時間恐影響登陸地點往北修正。風雨預測上,4日僅蘭嶼、綠島、澎湖的風力有達到「颱風假」標準,不過各地都會漸漸出現明顯雨勢。(圖/中央氣象署)氣象署3日傍晚預估,小犬颱風暴風圈預計4日上午觸陸,中心則在5日清晨前後登陸,風雨預測上,4日僅蘭嶼、綠島、澎湖的風力有達到「颱風假」標準,不過各地都會漸漸出現明顯雨勢,氣象署表示,今晚開始北部、宜花雨勢逐漸加大,北台灣降雨越趨明顯,北部山區、宜蘭有局部大雨,明天、5日颱風影響最明顯,各地都會有雨,東部降雨時間長,有短延時強降雨,東部、恆春有豪雨或大豪雨,南部從明天開始出現降雨,北部、南部、中部山區都有局部大雨或豪雨,6日晚上颱風遠離,但環流影響各地仍有雨。小犬將為東部、東南部地區帶來強風雨。(圖/NCDR)另外,國家災防科技中心(NCDR)示警,小犬往西北轉西北西朝台灣東南方海域接近,暴風圈主要影響東部、中南部地區,須嚴防強風豪雨,預計4日到6日觸陸影響,主要降雨區為東部、東南部及南部山區,強陣風影響區為東南部、南部、離島及全台沿海空曠地區。根據災害預報士賈新興預估,依據氣象署上午的小犬警報單預估,颱風暴風圈將於3日晚間7點碰觸附近海域,4日清晨4點碰觸陸地,並4日晚間11點30分左右,中心登陸台灣,位置落在太麻里至大武之間,6日清晨3點本島才會脫離颱風,7日清晨3點台灣附近海域脫離颱風。除此之外,氣象愛好「觀氣象看天氣」粉絲團也指出,依據氣象署觀測,小犬過去幾個小時朝偏北北西轉偏北移動,預測將90度大轉彎往西移動,接下來要密切觀察是否會如期轉西移動?若轉西移動時間較晚,登陸點可能會往北調整,登陸時間也會延後,對各地影響程度、時間也有所變動,需持續密切追蹤。小犬過去路徑偏北,關鍵轉彎時間將影響登陸地點。(圖/中央氣象署)