生活
綜合
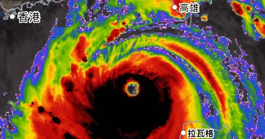
樺加沙颱風結構完美「具超紮實眼牆」 網嚇:還好沒直撲
「樺加沙」颱風眼牆相當紮實。(圖/翻攝自臉書@truetyphooninformation)
強烈颱風「樺加沙」過去3小時強度略為減弱,中心目前在鵝鑾鼻西南方海面,向西北西進行,恆春半島已脫離其暴風圈,但仍對台灣海峽、巴士海峽及東沙島海面構成威脅。事實上,「樺加沙」颱風皆被專家直呼「颱風結構真的超完美」,所幸路徑偏南,最強風雨都在巴士海峽上,網友也對此驚嚇表示「那坨黑色的眼牆如果進入台灣陸地……」,後果無法想像。
「樺加沙」颱風目前以每小時20公里速度,向西北西進行,近中心最大風速每秒55公尺,相當於16級風;瞬間最大陣風每秒68公尺,相當於17級風以上,而七級風平均暴風半徑為320公里。
台灣整合防災工程技術顧問公司總監賈新興等氣象專家直呼,「樺加沙」的結構、型態非常完美;氣象粉專「用事實說颱風」也提到,「台灣有超過四分之三的地方根本沒進入暴風圈,真的還好沒有直撲,想像一下那坨黑色的如果進入陸地……」,後果不堪設想。
不少網友紛紛表示,「看留言區想放颱風假的完全沒意識到,這個陣風達17的傢伙有多恐怖」、「天災不是兒戲,不要開這種玩笑」、「即使我們有中央山脈,還是慶幸沒有進來」、「沒進來台北風雨就蠻大的了,進來不得了」、「還好沒直衝台灣」、「這樣的距離,在屏東許多測站都能測得G10以上甚至G14,算是相當驚人的數據」。
同時,「樺加沙」颱風的完美結構也引發網友熱議,「只要不進來,你說他可愛都可以」、「這颱風的強度及移速加成,如果直接進來,可能會打破很多本地測站的陣風紀錄」、「超完美颱風」、「以氣象學來論,這颱風真是絕美」、「這次的新颱風真的很肥美,還好只是路過」、「其他不討論的狀況下,真的是超美」。
