孟加拉灣
」 鄭明典 天氣 梅雨 印度 鋒面
黃金登山季不再!喜馬拉雅秋季暴雪頻傳 專家:季風延後正改寫傳統氣候
過去,秋天的喜馬拉雅山有著晴朗的天空、乾冷的氣候與壯闊的雪峰景色,是登山者選擇在此時挑戰聖母峰(Mount Everest)的主要原因。但近年來,季風似乎延長到秋季,氣候專家觀察到極端降雨與暴雪事件幾乎每年都出現,讓原本被視為「黃金登山季」的10月,成為潛藏風險的月份。根據《BBC》報導,上週末一場突如其來的暴風雪,讓數百名登山客受困在聖母峰東側超過4,900公尺的高海拔地區。中國國營媒體消息指出,截至7日傍晚,約600名遊客被成功撤離,但仍有1人因低體溫與高山症喪生。類似的情況也發生在尼泊爾(Nepal)一側,一名南韓(South Korea)登山者於梅拉峰(Mera Peak)遇難。暴雪同時摧毀通訊設施,使得外界數日後才得知災情。尼泊爾當局估計,過去一週山崩與山洪已造成約60人死亡。尼泊爾水文與氣象局(Nepal Department of Hydrology and Meteorology)副局長施雷斯塔(Archana Shrestha)表示,近十年來,季風幾乎每年都延續至10月第二週。她形容這種變化「在短時間內帶來破壞性的降水」,使氣候更加難以預測。這場10月初的暴雨與降雪事件,正是季風尾聲與西風擾動(westerly disturbance)交互作用的結果。對登山嚮導與旅遊業者而言,這樣的氣候變化造成實際衝擊。登山嚮導夏爾巴(Riten Jangbu Sherpa)說,10月原本是最適合登山的季節,如今卻愈來愈常被暴風雪打亂計畫,「風暴來得又快又猛,讓整個健行與登山產業陷入困境」。來自拉薩(Lhasa)的旅行社代理人帕桑(Passang)也坦言,「9月與10月過去是最穩定的時節,如今卻會突然出現低溫與暴雪,我們無法再向客戶保證天氣狀況」。上週的風暴證明這些擔憂並非多慮。聖母峰東側的大雪讓登山路線全被掩埋,氣溫驟降、能見度降至危險程度。部分登山者表示,即便穿著厚重裝備仍被凍得無法行動,甚至徹夜鏟雪以防帳篷被埋。救援行動出動犛牛與馬匹開道,才避免更嚴重的傷亡。一位曾多次登頂的資深登山者也提到「我從未看過這樣的天氣變化。」氣象專家認為,全球暖化是背後主因之一。氣溫升高讓空氣中水氣含量增加,導致短時間內爆發性降雨與降雪的情況更常見。英國雷丁大學(University of Reading)氣象學家迪奧拉斯(Akshay Deoras)表示,當來自地中海(Mediterranean)的西風擾動與季風暖濕氣流相遇,就會「有效地加速」暴風形成。這些低氣壓系統過去通常在12月至3月出現,如今卻提前至秋季與季風尾端交錯,造成極端氣候頻發。尼泊爾氣象局指出,10月初的暴雨與降雪正是由西風擾動推動孟加拉灣(Bay of Bengal)低氣壓東移所致。科學家更在《自然》(Nature)期刊發表研究指出,氣候變暖已改變了青藏高原(Qinghai-Tibet Plateau)的氣候結構,使其逐漸轉向「溫暖潮濕型」,導致更多暴雪與雪崩事件。長期觀察者警告,這樣的變化代表登山季節的可靠性正在消失。阿爾卑光探險公司(Alpenglow Expeditions)首席嚮導塔爾博特(Logan Talbott)說「我們再也不能假設每個季節的天氣會相同。如今,彈性的行程、即時的判斷與有經驗的領隊,比以往任何時候都重要。」
季風槽又增強!鄭明典見「明顯強風帶」示警:下星期小心影響
近日台灣各地持續高溫炎熱,今(28日)白天氣溫普遍落在32至35度,桃園以北及中南部近山區更高一些。氣象專家也指出,9月3日前太平洋高壓偏強,台灣天氣型態以高溫悶熱、午後西北雨為主。氣象署說明,今日台灣迎風面花東地區及恆春半島不定時有短暫陣雨或雷雨,基隆北海岸、大台北山區及東北部地區也有零星降雨機率,其他地區為多雲到晴,午後在中南部地區及北部山區有局部短暫雷陣雨,且對流發展旺盛,有較大雨勢發生的機率,下午外出請注意天氣變化並攜帶雨具備用。氣溫方面,各地高溫普遍為32至35度,且桃園以北及中南部近山區溫度會更高一些,尤其桃園以北局部甚至可能來到38度左右,中午前後紫外線偏強,容易達過量甚至危險等級,外出請做好防曬並多補充水分。台灣整合防災工程技術顧問公司總監賈新興表示,今晚至明日南海的熱帶擾動「93W」有發展為熱帶性低氣壓的趨勢,預估路徑朝海南島方向移動,並於週六影響北越。他提醒,9月5日以後菲律賓東方海面也可能有新的熱帶系統發展,但由於超過五天的天氣變數較大,仍須密切觀察並注意最新預報。降雨方面,賈新興說明,今起至週六南台東至鵝鑾鼻一帶將出現零星短暫雨,台南以南及花東山區午後亦可能有局部陣雨。週日午後,各地山區及高屏地區有短暫降雨機會;下週一午後,雲嘉南及桃園以南山區也會有局部陣雨。接下來幾天,各地午後降雨大多集中在桃園以南及花東地區,範圍隨日子推進而略有變化,但主要特徵仍是午後對流發展,帶來短暫雷陣雨。另一方面,前氣象局長鄭明典也提醒,「季風槽又增強,現在有一條明顯的強風帶,由孟加拉灣跨越中南半島南部及南海到菲律賓,這還是南亞夏季風!」並指出,由於這股夏季風的增強,季風槽再度深入西北太平洋的赤道區。目前它的位置偏南,所以對台灣的影響還不顯著。鄭明典說明,氣候上季風槽發展之後,總是會逐漸北抬,或許一星期後,台灣就可能受到季風槽內發展出來的天氣擾動影響,通常降雨機率會升高,而台灣北方的高壓,算是太平洋高壓的西段,有時會稱作小笠原高壓,「這個高壓在經驗上,模式對他的掌握總是容易出現偏差,所以要小心詮釋模式預報的結果。」
入梅了?鋒面雨彈狂炸 鄭明典揭「只差1條件」原因曝光
今天(24日)鋒面通過,各地降雨機率提高,中部以北、東北部及東部陸續會有短暫陣雨或雷雨,並有短延時強降雨及局部大雨發生的機率,其他地區也有局部短暫陣雨或雷雨。前氣象局(現氣象署)局長鄭明典表示,今天很多條件都符合梅雨特徵,只差西南季風未到。「只欠西南季風!」鄭明典今天在臉書透露,今天很多入梅條件都符合,只差西南季風未到,「鋒面在、冷舌建立中、高層南亞反氣旋也差不多到位,甚至孟加拉灣的夏季風都增強了,但西南季風就是無法順利入南海,原因是南海上的熱帶東風太強了(太平洋高壓偏強)。」氣象專家林得恩在臉書粉專「林老師氣象站」表示,今日受梅雨鋒面通過影響,臺灣各地降雨機率提高,凌晨開始中部以北、東北部及東部低區,陸續出現短暫性陣雨或雷雨,並有短延時強降雨及局部大雨發生的機率;其它地區也有局部短暫陣雨或雷雨,外出請留意天氣變化。林得恩指出,這波鋒面移動快速,明日(25日)梅雨鋒面就會來到巴士海峽,但臺灣各地的降雨機率仍然偏高,還是會有局部短暫的零星陣雨,尤其是南臺灣及西部山區的天氣最不穩定,降雨機率及降雨強度都最高。氣象署說明,明後天(25日、26日)東北季風影響,中部以北、東北部及東部整天偏涼,其他地區早晚亦涼;明天鋒面位於巴士海峽,各地降雨機率仍高,有局部短暫陣雨,尤其南臺灣在鋒面附近天氣仍不穩定,易有雷雨,並且有局部較大雨勢發生的機率,下週一中部以北、東半部地區及南部山區有局部短暫陣雨,其他地區亦有零星短暫陣雨。
今各地變天!中北部慎防雷雨大雨 鄭明典:海邊先下轉山區雨
今(24)日鋒面通過全台,各地天氣明顯轉變,中央氣象署指出,隨著東北季風增強,中部以北、東北部及東部地區將陸續出現短暫陣雨或雷雨,並伴隨短延時強降雨及局部大雨的機率,民眾外出務必攜帶雨具。對此,前氣象局長鄭明典也提醒,「海邊會先下雨,隨後可能轉為山區降雨」。氣象署表示,今日受到鋒面影響,全台降雨機率提高,除了中部以北、東北部及東部地區外,其他地區亦有局部短暫陣雨或雷雨發生的可能。此外,東北季風增強使得北部及東北部氣溫明顯下降,白天高溫約為25至26度,夜晚降至22至23度。中部及花蓮地區高溫約29至31度,其他地區相對影響較小,高溫仍可達32至35度,其中屏東及台東局部地區甚至可能出現36度高溫,台東亦有焚風發生的機率。中南部及花東地區低溫約25至26度。針對離島地區,氣象署指出,澎湖今日為多雲短暫陣雨或雷雨,氣溫介於25至31度之間;金門則為陰時多雲,偶有短暫陣雨或雷雨,溫度約24至29度;馬祖則為陰天並有短暫陣雨或雷雨,氣溫在24至26度間。前氣象局長鄭明典也於個人社群平台分享雷達迴波圖,指出「氣流繞地形」的天氣現象,提醒民眾「海邊會先下雨,隨後可能轉為山區降雨」,呼籲特別注意沿山地區的劇烈天氣發展。他也提到,台灣上空出現穩定層,氣流繞過地形,使得回波沿山發展,隨鋒面逐漸往南推進,降雨也將進入內陸地區。鄭明典進一步指出,目前台灣的入梅條件幾乎具備,「只欠西南季風」。他認為,如今鋒面已到、冷舌建立中,高層南亞反氣旋也接近到位,孟加拉灣的夏季風亦有增強跡象,但南海上的熱帶東風過強,導致西南季風尚未成功進入南海,與太平洋高壓偏強有關。氣象署亦發布大雷雨即時訊息,今日上午新竹縣、新竹市、桃園市、苗栗縣地區已列入警戒範圍,影響時間預計至上午11時30分;另針對新竹市、苗栗縣、台中市發布的雷雨警戒,時間則持續至中午12時15分。氣象署提醒,慎防劇烈降雨、雷擊、9級以上強陣風,並注意溪河水暴漲、坍方、落石、土石流等地質災害,以及低窪地區淹水與低能見度情形。
「梅雨前期」氣候出現 鄭明典狂喊太早了:平均落在5月
近日受到鋒面影響,北部降下劇烈降雨,雖然今(11日)放晴出太陽,但明晚開始又要變天,且降雨範圍害要更廣。對此,前氣象局長鄭明典坦言,這是梅雨前期的氣候特徵,正常要到5月才會出現,直呼:「太早了!」鄭明典在臉書指出,北印度洋寬廣的西風帶這幾天快速建立,西風經由孟加拉灣北轉進入中國華南,中南半島也在偏西風的影響範圍。台灣現在雖無偏南風,不過太平洋高壓開始西伸,假如高壓西側的偏南風開始影響台灣,那麼台灣就會有「梅雨前期」的氣候特徵,中國稱為「華南前汛期」。然而,鄭明典表示,平均通常是落在5月的第一侯,才會發展出這樣的天氣型態,沒想到現在才4月中旬就出現,忍不住直喊:「來得太早了!」梅雨前期的氣候特徵開始出現。(圖/翻攝自鄭明典臉書)此外,鄭明典也列出過去PO出的夏季風徵兆,紅色直線是赤道,赤道北方一條熱帶低壓帶(黃色曲線)正在發展中,順著低壓帶裡面的低壓環流方向,印度洋上有2股跨赤道流(黃色箭頭)正在形成中,是夏季風建立的徵兆,屬於季風系統低層的現象。夏季風建立的徵兆。(圖/翻攝自鄭明典臉書)消息一出,引來大批網友留言:「提早進入梅雨…亂了亂了」、「夏天提早了,冬天會遲到」、「那是否代表今年的夏天特別長和熱」、「意思是沒四季,剩夏冬。春秋最美氣候玩完了!」
緬甸強震死亡人數突破3千人「恐釀瘟疫爆發」 軍政府領導人反出國參加峰會
緬甸於3月28日發生規模7.7的強烈地震,震央位於實皆地區(Sagaing),深度僅10公里,屬於極淺層地震,導致建築倒塌、道路毀損、橋樑斷裂。目前也傳出,緬甸當地因為這起地震的死亡人數已經來到3,085人死亡、4,715人受傷,另有341人失蹤。但在此時,軍政府領導人敏昂萊(Min Aung Hlaing)卻在此時離開緬甸,前往泰國參加地區峰會。綜合外媒報導指出,這起地震導致緬甸曼德勒(Mandalay)、實皆(Sagaing)與首都奈比多(Naypyitaw)多地受災嚴重,不僅使社區夷為平地、醫院倒塌,也讓數以萬計的災民無家可歸、缺乏糧水。除了當地受災、人民死亡外,由於極端炎熱氣候的出現,緬甸當地也有傳出疫情爆發的可能。世界衛生組織(World Health Organization)緬甸辦事處副主任武歐洛(Elena Vuolo)表示,部分地區氣溫已達攝氏38度,而災民因擔憂建築再度倒塌而不敢返回家中,只能在高溫下露宿戶外。當地約半數醫療設施受損,部分醫院如曼德勒與奈比多設施完全癱瘓,導致疫情風險升高。目前已將霍亂、瘧疾、登革熱與皮膚病被列為首波高風險疾病。世衛組織已預備價值100萬美元的物資,包括屍袋與其他醫療支援設備。武歐洛強調,曼德勒曾於2024年爆發霍亂,如今災後環境惡劣,更可能再度引發大規模感染。與此同時,緬甸政府氣象部門警告,自7日至11日,災區可能出現非季節性降雨,將使現有處於臨時避難所或街道帳篷中的災民更加脆弱。聯合國開發計畫署(United Nations Development Programme)緬甸代表米特拉(Titon Mitra)在訪問實皆時表示,若雨勢如預期出現,當地臨時營地將面臨真正挑戰,並提高水源性疾病爆發的機率。至於軍政府方面,軍政府於3日晚間宣布單方面停火20日,以便進行救援與賑災作業,並警告若有叛軍攻擊,將採取反制行動。而即便國內正陷入深重災難與內戰,軍政府領導人敏昂萊目前傳出已於3日出訪泰國(Thailand),參與在曼谷(Bangkok)舉行的環孟加拉灣(Bay of Bengal)地區峰會。根據《法新社》報導指出,這場峰會將聚集來自孟加拉(Bangladesh)、不丹(Bhutan)、印度(India)、尼泊爾(Nepal)、斯里蘭卡(Sri Lanka)等國領導人,主辦國泰國也希望與會國就地震災情發表聯合聲明。報導中表示,自從發動軍事政變後,敏昂萊就因西方制裁與國際刑事法院調查而遭國際孤立的將軍,在此之前幾乎未曾出席區域高層活動。根據泰國外交部發言人說法,他在曼谷期間也將會見泰國總理貝東丹(Paetongtarn Shinawatra)。地震發生以來,雖有多國派遣援助隊進入災區,但基礎設施毀損與內戰衝突,使國際救援行動受阻,緬甸軍方甚至於2日晚間對中國紅十字會(Chinese Red Cross)運送賑災物資的車隊開火,軍方解釋,該車未依指示停車。國營MRTV也報導提到,軍政府曾於災後持續對反抗軍掌控地區進行空襲,包括部分重災區。
1個月沒下雨!廣東「濕度僅25%」破紀錄 在地人崩潰:快變臘肉
大陸廣東省昨天(12日)出現近期最低溫,高海拔山區更是低至零下3度。除了寒冷,近期廣東天氣持續乾燥,濕度僅25%,創下歷史紀錄。據悉,大陸南方多地自去年12月以來滴雨未落,近1個月廣東、廣西、湖南、江西、湖北、福建、陜西、浙江、江蘇、西藏等省區,乾燥程度為歷史同期罕見。《珠海特區報》報導,珠海昨天清晨7時30分在界湧青年水庫測得最低氣溫為6.1度。不僅如此,南方多地近1個月滴雨未下,廣東、廣西、湖南、江西、湖北、福建、陜西、浙江、江蘇、西藏等省區乾燥程度為歷史同期罕見。其中,廣東、廣西、湖南、江西、湖北平均相對濕度為歷史同期最少,讓當地民眾直呼「都快乾成臘肉了!」對此,中國天氣網氣象分析師孫倩倩解釋,從環流形勢看,去年12月以來副熱帶高壓偏強,覆蓋到了孟加拉灣南部,不利於水氣輸送,因此難以形成大範圍明顯雨雪天氣。隨著眼下這股冷空氣影響結束,中東部多數地區又將回到乾燥少雨的狀態。孫倩倩說,儘管後續將有兩股冷空氣影響大陸,但由於水氣、動力條件都不太行,大範圍雨雪依舊難覓蹤跡。未來7天,從華北到江南、華南的大片區域,仍將受大陸冷氣團影響,天氣會非常乾燥,但明天廣西、廣東一帶會有些小雨天氣,雖解渴作用有限,仍能起到一些潤燥的作用,15日起隨著偏北風南下,天氣又會變得乾燥,大家注意多補水。
13號星期五「西方認為不吉利」 揭秘傳說由來
2024年的12月13日恰巧是星期五,正是俗稱的「13日黑色星期五」,相信不少人會聯想到恐怖電影《13號星期五》(Friday the 13th),在西方,數字13巷來代表不吉利,而星期五也是一樣,若兩者碰在一起就更讓人驚恐,除此之外,歷史上也有不少重大災難在黑色星期五當天發生!綜合外媒報導,關於13號星期五有許多說法,其中最著名的就是《聖經》中的最後晚餐,相傳當天耶穌被門徒猶大出賣,而猶大恰巧是最後晚餐中的第13名人,另外,美國80年代末電視劇《13號星期五》,以及同個年代就有的電影《13號星期五》更是不斷被重拍,而歷史上,在黑色星期五當天還真的發生不少重大事件。2012年1月13日:歌詩達協和號在義大利海岸沉船歌詩達協和號觸礁事故(Costa Concordia disaster)為知名鐵達尼號沈船事件的2倍,這艘郵輪因為觸礁沉沒,當時搭載4232名乘客中,造成32人死亡,這艘郵輪上還有來自台灣的11人觀光團以及兩名自由行乘客,所幸平安返台,而船長則被判過失殺人罪。1972年10月13日:烏拉圭空軍571號班機空難烏拉圭空軍571號飛往安地斯山脈時墜入智利,在墜機事件發生後的幾天內,躲在飛機機身內的倖存者淪落到吃掉死去乘客的屍體。這次救援工作在事故發生後10天就被中止了,但72天後兩名男子才被智利空軍救援隊救出並告知,還有其他16人受困,此事件後來被改編為電影「我們要活著回去」(Alive)。1970年11月13:波拉氣旋襲擊孟加拉熱帶氣旋波拉(Bhola Cyclone)肆虐孟加拉灣,這場致命的風暴,死亡人數估計在15萬至55萬人之間。波拉氣旋甚至被認為是促成孟加拉獨立的原因之一,當時,孟加拉還被稱為東巴基斯坦,由於不滿巴基斯坦對救援工作的不善處置,導致孟加拉人努力爭取獨立。雖然如此,但報導也指出,沒有具體原因說明為什麼13號星期五這一天被認為是不吉利的。另一方面,在西方文化中,數字12在歷史上與好兆頭聯繫在一起,像是有12月的聖誕節、12星座、希臘奧林匹斯山的12位神明等,且並非所有西方文化都認為 13 號星期五是不吉利的,像是在西班牙,當地民眾認為 13 號星期二更加危險。根據《國家地理》雜誌的布萊恩漢德沃克 (Brian Handwerk) 表示,「在西班牙,13 日星期五並不值得驚慌,相反,13 日星期二是一年中最危險的日子」。好消息是,13 號星期五並不常見,每年通常只有兩次,到2025年就只有一天,但到 2026 年將會出現3個,儘管許多科學家認為「13日星期五」的禁忌斥為無稽之談,但仍有許多西方人抱著「寧可信其有,不可信其無」的心態。「黑色星期五」(13號星期五)被西方視為相當不吉利的日子。(圖/翻攝自USA Today網頁)
沙塵暴肆虐全球 引發環境健康人類雙重危機
世界氣象組織(WMO)近日發布的《浮塵公報》顯示,2023年沙塵暴活動高於長期平均。公報指出,人類活動加劇沙塵暴對環境、經濟和健康造成重大影響,而土地和水資源管理不善則讓問題日益嚴重。報告指出,每年約有20億噸沙塵進入大氣層,足以讓數千公里外的天空變暗、空氣品質下降,並同時影響經濟、生態系統、天氣和氣候。沙塵雖屬於自然現象,但發展至當今的程度,仍有相當比率必須歸咎於人類活動。溫度升高、乾旱及蒸發量增加都會導致土壤濕度降低,再加上土地管理不善,兩項因素共同導致沙塵增加。公報指出,因為全球多處主要沙塵來源地的排放量減少,2023年全球平均地表浮塵濃度略低於2022年。中亞西部、中國中北部、蒙古南部的年均地表浮塵量濃度則略高於2022年。沙塵會被氣流從來源地被輸送到數百、甚至數千公里以外的地區。最容易受到長距離浮塵輸送影響的地區是西非與加勒比海之間的熱帶大西洋北部、南美洲、地中海、阿拉伯海、孟加拉灣和中國中東部。2023年,來自非洲的沙塵橫跨影響部分加勒比海地區,而來自戈壁沙漠的沙塵也不停進入渤海和黃海。東亞地區在2023年3月至5月期間受到13次強烈沙塵影響。最大規模的一次甚至讓北京的能見度下降到500公尺以下,嚴重干擾交通和日常生活。另一方面,沙塵對於海洋漁業與生態系卻有正面影響。公報指出,沉降於大西洋水域的沙塵,提供有利於浮游植物生長的鐵、磷和微量元素,由此產生的新有機物在食物鏈中從小魚轉移到大型捕食動物,有利於整個海洋生態系統。
梅雨季逼近「1圖看懂預報模式」 氣象署估強降雨月底報到
梅雨季來臨,今(20日)鋒面接近,台灣附近水氣增多,各地轉為有雨天氣,西南季風搭配結構好的鋒面系統,就是典型梅雨鋒面,預估5月底到6月初會移動到台灣,帶來明顯且長時間的降雨。前中央氣象局長鄭明典在臉書指出,西南季風入「孟加拉灣」,並貼出區域模式預測的850mb風場。由於孟加拉灣海溫高,西南季風到孟加拉灣常會停留一下,激發一個熱帶氣旋,等氣旋登陸消散後,西南季風才會再往華南、台灣方向推進,模式的預報合理可參考。區域模式預測圖。(圖/翻攝自鄭明典臉書)中央氣象署向《中央社》透露,目前歐美模式都呈現類似模擬,但時間稍微有點落差,以美軍模式預估西南季風約28、29日會推進到台灣,而歐洲模式可能會再晚一點。台灣梅雨季是每年5、6月,因此若在5月底左右入梅,也還在正常範圍;當西南季風建立後,下禮拜若北方有鋒面南下,就會在台灣滯留,要留意較大規模的降雨。至於梅雨成因,氣象署解釋,5、6月春夏交替之際,東北季風逐漸減弱時,源自南方熱帶海洋的西南季風逐漸增強、並向北推進,此時勢力相當的北方冷氣團與南方暖氣團在華南至台灣一帶交會,形成近似滯留的鋒面系統。氣象署提醒,滯留鋒面初期在華南、台灣附近徘徊,之後北移至長江流域,隨後影響日本、華北、韓國等,都可能帶來強大雨勢,甚至造成災情,必須注意。
台賽鴿飛4324公里被關8個月 印度警方懷疑是「中國間諜」總算還牠清白
每年夏季都是台灣海上賽鴿旺季,未料近期近傳出有隻賽鴿飛了近4324公里遠抵達印度後,甚至被視為「間諜」慘被扣押,外媒報導,這隻迷途賽鴿飛到印度,被當地警方懷疑是中國「間諜」因此扣押,經過8個月的調查後才證明,這隻賽鴿來自台灣,而賽鴿也在日前獲釋。《美聯社》網頁上以「鴿子所承受的苦難要從去年5月說起」為標題,報導一隻台灣賽鴿於2023年5月在孟買地區一處小鎮被當地民眾發現,這隻賽鴿由於雙腳各戴有1個金屬環,雙翼下方還綁有看似寫著中文的紙條,因此警方初步將此當作間諜案處理。調查期間,無辜被拘留的賽鴿在警方批准下,被移送至孟買防止虐畜會,案情明朗後,這家醫院的獸醫對賽鴿檢查,這隻鴿子於1月30日重獲自由,健康情況良好。根據印度方面表示,「經蒐集相關資訊後,事實證明這隻賽鴿是從台灣水域逃至印度的」,洗刷了這隻台灣賽鴿的冤屈,不過台灣與印度孟買距離長達5千公里,報導沒有說明賽鴿如何飛越南海與孟加拉灣而安然無恙。不過印度官方之所以會如此的謹慎不是沒有原因,原因是印度和中國在2020年6月中旬,在雙邊邊境的加萬谷(Galwan Valley)一帶爆發衝突,造成印度20名士兵喪生,中國傷亡人數不明,雙方關係自此陷入緊張,同時在邊界部署重兵對峙,也因為這樣的敏感關係,導致這隻賽鴿坐了8個月的「牢」。根據報導,這並非首次有鳥類被印度警方調查,2020 年,印屬喀什米爾(Kashmir)一名漁民飼養的白鴿,因為飛越軍事邊境,一度被懷疑是間諜而被查扣,結果證實並非間諜。2016年,印度邊界部隊在旁遮普省(Punjab)古達斯普爾(Gurdaspur)發現一隻鴿子,身上綁有針對總理莫迪(Narendra Modi)與印度政府的仇恨訊息,同樣遭到查扣。一隻迷途賽鴿飛到印度,被當地警方懷疑是中國「間諜」而遭「扣押」。(圖/翻攝自X)
神秘事件多!13號星期五詭異歷史巧合 是真是假信不信由你
好巧不巧今天正是俗稱的「13日黑色星期五」,說到這裡不少人可能會聯想到恐怖電影《13號星期五》(Friday the 13th),在西方,數字13一直以來就代表著不吉利,而星期五也是一樣,若兩者碰在一起就更加讓人驚恐,除此之外,歷史上也有不少黑色星期五發生重大災難!「黑色星期五」(13號星期五)被西方視為相當不吉利的日子。(圖/翻攝自每日星報網頁)根據《每日星報》報導,關於13號星期五有許多說法,其中最著名的就是來自《聖經》中的最後晚餐,相傳當天耶穌被門徒猶大出賣,而猶大恰巧也是最後的晚餐中第13位客人,另外,美國80年代末電視劇《13號星期五》,以及同個年代就有的電影《13號星期五》更是不斷被翻拍,由此可見,這個迷信對西方人來說有多深,而歷史上許多個黑色星期五還真發生不少大事,以下就是發生在13日黑色星期五的歷史事件澳洲維多利亞黑色星期五森林大火1939年1月13日黑色星期五,澳洲一場森林大火造成71人死亡,57.5萬公頃的土地被燒成焦黑,成為當地史上第三起最致命的事件,這場大火燒了兩天,大火產生的灰燼非常濃烈,甚至飄到了紐西蘭。英國白金漢宮在二戰期間遭到轟炸1940年9月13日,二戰期間德國轟炸白金漢宮,在爆炸發生時,雖然對英國帶來創傷,但已逝世的伊麗莎白女王當時僅表示,「很高興我們遭到轟炸。現在我可以親自看到東區景觀」。瑞典航班DC-3失聯1952年6月13日瑞典航班在波羅的海上空飛行時失蹤,40年來,瑞典政府堅稱,這架飛機是進行例行訓練,不過據《國家地理雜誌》報導,90年代,機組人員實際上對前蘇聯監控,儘管瑞典在冷戰期間維持中立,而前蘇聯一名飛行員告訴瑞典外交官,是自己將飛機擊落。波拉氣旋襲擊孟加拉1970年11月13日的熱帶氣旋波拉(Bhola Cyclone)肆虐孟加拉灣,這場致命的風暴,死亡人數估計在15萬至55萬人之間。波拉氣旋甚至被認為是促成孟加拉獨立的原因之一,當時,孟加拉還被稱為東巴基斯坦,由於不滿巴基斯坦對救援工作的不善處置,導致孟加拉人努力爭取獨立。烏拉圭空軍571號班機空難1972年10月13日,烏拉圭空軍571號飛往安地斯山脈時墜入智利,在墜機事件發生後的幾天內,躲在飛機機身內的倖存者淪落到吃掉死去乘客的屍體。這次救援工作在事故發生後10天就被中止了,但72天後兩名男子才被智利空軍救援隊救出並告知,還有其他16人受困,此事件後來被改編為電影「我們要活著回去」(Alive)。美國嘻哈歌手圖帕克被謀殺圖帕克(Tupac)是一位非裔美國西岸嘻哈音樂人、詩人和演員,他的謀殺案是近代史上最著名的懸案之一。1996年9月7日,圖帕克在拉斯維加斯被人連開4槍,6天後因呼吸道及心臟衰竭,不治身亡,得年25歲。歌詩達協和號在義大利海岸沉船歌詩達協和號觸礁事故(Costa Concordia disaster)發生於2012年1月13日,歌詩達協和號為知名沈船鐵達尼號的2倍,因為觸礁沉沒,當時4232名乘客中,有32人死亡,來自台灣的11人觀光團和2名自由行乘客則平安返台,船長則被判過失殺人罪。儘管許多科學家都將「13日星期五」的禁忌斥為無稽之談,但仍有許多西方人抱著「寧可信其有,不可信其無」的心態,害怕13日星期五的到來。
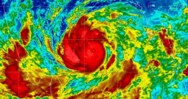
熱帶氣旋摩卡生成「比台灣還大」 直衝全球最大難民營
北印度洋出現2023年首個熱帶氣旋摩卡(Mocha),目前摩卡正在孟加拉灣附近持續增強,並且以每小時11公里的速度向北方移動。中央氣象局長鄭明典則認為,熱帶氣旋摩卡的存在推動季風氣流向華南與南海挺進,對台灣的降雨將會有所影響,所以必須要持續觀察。但值得注意的是,目前熱帶氣旋摩卡前進的方向,很有可能會襲擊緬甸西部與孟加拉的柯克斯巴札爾,當地是全球最大難民營,有100萬人在此居住。根據「台灣颱風論壇|天氣特急」指出,熱帶氣旋摩卡在過去12小時快速增強,環流持續膨脹中,預估14日會達到顛峰3級熱帶氣旋等級,相當於中度颱風程度。目前大致朝向東北進行,預計在14日深夜、15日凌晨登陸緬甸與孟加拉交界處。而值得一提的是,摩卡北上登陸後,也將帶動西南季風往南海擴張,更有利典型的梅雨鋒面形成,離潮濕悶熱的夏季也越來越近了。而中央氣象局長鄭明典則也發文釋疑「為何要關心孟加拉灣氣旋發展」,鄭明典解釋,氣旋發展,強烈的對流和潛熱釋放帶動上升氣流,加強低層氣流輻合,進一步加強夏季風的推進。等到氣旋登陸,這股加強的季風氣流便可進一步向華南及南海挺進。氣旋發展的動力,強烈對流極伴隨的潛熱釋放,這部分過程複雜,模式尚無法完全掌握。因此氣旋發展區常是模式誤差的重要來源。根據《CNN》報導指出,目前摩卡以每小時11公里的速度向北方移動,暴風的速度則達到時速220公里。印度當地氣象部門也在12日表示,摩卡已經增強為嚴重的氣旋風暴,呼籲漁民與漁船在未來幾日內不要出海。而估算行進路線後,發現熱帶氣旋摩卡將會15日凌晨襲擊緬甸西部與孟加拉的柯克斯巴札爾區域,由於當地是全球最大的難民營,不僅人口有100萬人之多,而且當地缺乏穩健的基礎設施,如經熱帶氣旋摩卡肆虐後,恐會在當地造成嚴重的傷害。也因為擔憂熱帶氣旋摩卡在當地造成傷害,目前包含聯合國難民署在內的救援組織,已經著手與當地社區民眾進行事前的準備與緊急避難工程。
梅雨季明天到 鄭明典吐壞消息:「今年更乾」仍無降雨跡象
全台水情嚴峻,雖然有下雨,但仍未替水庫解渴。而明(1日)開始進入5月,也正式進入梅雨季,不過氣象局長鄭明典坦言,受到副熱帶高壓影響,今年5月可能還是等不到降雨,目前看來還會持續一段「偏乾」的天氣。鄭明典在臉書指出,5月1日不僅是勞動節,也是梅雨季的開始,並PO出一張850百帕的流線和相對溼度的圖,通常4月底5月初,孟加拉灣(大箭頭)水氣會逐漸增多,這段時間通常會有氣旋發展,但是今年有很明顯的反氣旋,相對濕度非常低,發展的進度較以往落後。此外,南海(小箭頭)受副高影響,環境偏乾是正常現象,只是今年又更乾,偶爾沿副高邊緣北上的水氣都偏弱,所以目前看來,台灣仍看不到降雨跡象,預估還會持續一段偏乾的天氣。短時間看不到降雨跡象。(圖/翻攝自鄭明典臉書)天氣風險公司也提到,未來一周各大地至都是多雲到晴的天氣,下一波鋒面預估將在5月7日影響台灣,不過看起來水氣仍然不多,主要受影響的區域仍以北部、東半部為主,有出現短暫陣雨機會,中部、南部受影響程度有限。時序進入梅雨季,短時間卻沒有典型顯著梅雨要建立的跡象,今年梅雨開始的時間可能會延到5月下旬以後,詳細的時間點還要多觀察注意。
UFO?夜空驚見不明發光物體 印度電視台澄清:試射飛彈
印度西孟加拉邦地區民眾15日晚間目擊「發光物體」,從網路上流傳的片段可見,漆黑的夜空被不明物體高速劃過,許多人紛紛猜測該不會這就是傳說中的UFO,事後印度當地電視台在報導此事時澄清,該物體應該是印度政府於孟加拉灣試射的洲際彈道飛彈「Agni-5」。
美示警:陸恐仿效蘇聯在未來20年內發展全球基地網路
美國智庫「蘭德公司」(RAND Corporation)近日發布研究報告指出,中國若下定決心,可能效仿前蘇聯在未來20年內發展出全球基地網路,3個最優先區域是中東、非洲,及印度太平洋地區。專家認為,對美軍最具威脅的將是柬埔寨基地。蘭德公司8日發布報告指出,前蘇聯1955年起決定迅速擴張海外基地,20年間便建立出覆蓋全球的海外基地網路,從西半球的古巴延伸到東南亞的越南,而中國亦有此可能。蘭德對108個國家進行評估後,確定24個可能特別適合北京追求基地准入的國家。其中得分最高的四個國家,分別是巴基斯坦、孟加拉、柬埔寨和緬甸。而北京在未來10至20年內可能尋求的3個優先區域則是中東、非洲和印度洋地區,包括印太第二島鏈區域。報告稱,印太區域的基地有助中國軍力投射到大陸本土和第二島鏈之間的潛在咽喉要道,及讓中國在孟加拉灣或更廣闊印度洋的海上運輸線附近,增強海上或空中存在力量。美國之音引述美國外交政策研究中心資深研究員張菲利(Felix Chang)的話報導稱,從作戰的角度來看,最重要的是柬埔寨基地,對在新加坡開展行動的美軍構成了直接的威脅軸心。柬埔寨和緬甸的基地可以提供額外的高頻測向的情報、監視與偵察能力,幫助中國反艦彈道飛彈更好地瞄准目標。而隨著美國對該地區能源依賴程度下降,巴基斯坦的基地可能會專注於保持中國從波斯灣的石油供應暢通無阻。報告認為,北京擴大解放軍在海外存在的主要動機,在於保護自身利益的願望,特別是追求持續經濟增長以作為共產黨合法性的基礎。此外,與美國和其他亞洲大國的競爭加劇,可能會促使解放軍考慮開展比當今軍事行動範圍更廣的海外行動,包括某種形式的作戰行動。蘭德資深政治科學家瓦茨(Stephen Watts)表示,從長遠來看,中國的全球基地野心可能會引發周邊戰爭,並最終牽扯到中國和美國。因為願意給予中國大型海外軍事基地的國家,本身很可能就面臨嚴峻的安全挑戰,而解放軍的基地建設可能會破壞當地的力量平衡,引發國內和國家間的戰爭。如果中國基地捲入這些周邊戰爭,事情有可能升級,可能會將美中捲入雙方都希望避免的周邊戰爭。
行星尺度西南季風到 迎風背風兩樣情!吳德榮:慎防致災絕不可小覷
今(25日)西南風影響,苗栗以南地區有局部短暫陣雨或雷雨,台灣中南部地區並有局部大雨發生的機率,其他地區及澎湖、金門、馬祖為多雲,午後山區有局部短暫雷陣雨。氣象專家吳德榮提醒,未來幾天,台灣的天氣將是迎風背風兩樣情,迎風面逐日皆有強對流發展的潛勢,並將累積大量的降雨,背風面北部、東半部則常是晴朗酷熱。氣象局預報,今(25日)西南風影響,苗栗以南地區有局部短暫陣雨或雷雨,中南部地區有局部大雨發生的機率,北部、東半部地區為多雲到晴的天氣,午後山區有局部短暫雷陣雨;天氣炎熱,各地高溫約34至36度,其中大台北盆地、宜蘭及金門有局部有局部36度以上高溫發生,東南部有焚風發生的機率,花蓮縱谷及台東地區有局部38度以上高溫發生,請注意防曬並多補充水分。烟花颱風遠離台灣。(圖/中央氣象局)至於「烟花」颱風,今(25日)晨2時中心位於台北北北東方470公里之海面上,向西北西移動,朝浙江沿海一帶前進,雖然烟花颱風遠離台灣,但北部、東半部(含蘭嶼、綠島)、恆春半島及湖湖、金門、馬祖沿海仍有長浪發生的機率,浪高約2至4米新竹以北、基隆北海岸、臺東(含綠島、蘭嶼)及恆春半島沿海及空曠地區易有9至10級強陣風,苗栗至嘉義沿海空曠地區、大台北地區及澎湖、金門、馬祖亦有較強陣風,鄰近海域並有較大風浪。而「尼伯特」颱風今(25日)2時中心位置距離台北東方2930公里之海面上,向北北東移動朝日本東方海面前進,對台灣沒有直接影響。大雨特報。(圖/中央氣象局)氣象局稍早針對5縣市發布大雨特報,提醒民眾,受到西南風影響,易有短延時強降雨,今(25日)嘉義以南地區有局部大雨發生的機率,請注意。除此之外,也針對6縣市發布高溫資訊,提醒民眾,西南風沉降影響,天氣高溫炎熱,東南部地區有焚風發生的機率,今(25日)白天花蓮縣縱谷,台東縣地區為橙色燈號,有38度極端高溫出現的機率;台北市、新北市、金門縣地區,宜蘭縣近山區或河谷為黃色燈號,請注意。高溫資訊。(圖/中央氣象局)吳德榮在「三立準氣象· 老大洩天機」專欄中指出,最新(24日20時)歐洲(ECMWF)模式模擬顯示,今(25日)起「季風低壓」環流將緩慢北移,原本位置比較偏南的「西南季風」逐漸向北調整至台灣附近。「西南季風」為「行星尺度」(季風從南半球跨赤道、經印度洋、孟加拉灣、中南半島、南海、台灣至中太平洋,長達6千公里以上)的大氣環流,高溫高濕很不穩定,模式模擬持續至8月3日型態仍未改變。台灣的天氣將是「迎風背風兩樣情」,迎風面逐日皆有強對流發展的潛勢,並將累積大量的降雨,應慎防其「致災」的可能,絕不可小覷!背風面北部、東半部則常是晴朗酷熱、需要防曬、防中暑的天氣。今(25日)2時中央氣象局「路徑潛勢預測」圖(左)顯示,中颱「烟花」在浙江海面,今晚從杭州灣南方進入大陸,登陸後將迅速減弱並在華南打轉;另一輕颱「尼伯特」向北北西轉西北,撲向日本,27日影響本州北部。最新歐洲(ECMWF)模式,模擬8月3日12時850百帕風場圖(右)顯示,「西南季風」仍持續影響台灣。(圖/翻攝自「三立準氣象· 老大洩天機」專欄)最新模式模擬顯示,明(26日)起天氣型態雖然類似,但「西南季風」逐日向北調整,不穩定(熱力及動力)大氣的影響範圍,有逐日擴大趨勢;範圍較小時,常有南部略往中部擴展;範圍大時則除了中南部,更擴及更多區域;雨勢的大小也視大氣不穩定度而略有變化,都需逐日觀察最新的模擬。而北部、東半部則需注意連日高溫、酷熱,很容易造成熱傷害的天氣。
影/海龜悲歌「被垃圾困住」集體沖上岸 仔細一看:頭都沒了
大陸南方的國家孟加拉(Bengal)15日發生令人傷心的一幕,約有160隻欖蠵龜被海浪沖上沙灘,被人發現之後緊急展開救援。但仔細一看,許多欖蠵龜身上都被塑膠垃圾纏住,造成大大小小的傷痕,有些連鰭足、頭都不見了,讓人看了相當不忍。(圖/Asaduzzaman Sayem臉書)據《法國廣播電台》報導,這群欖蠵龜與大量的保特瓶、塑膠製品、漁網、浮標和各式各樣的垃圾一同在海上飄流,讓牠們無法自由行動,且從周末就已被人發現了。最後欖蠵龜陸續被沖到考克斯巴扎爾(Cox's Bazar)的海岸上。(圖/Asaduzzaman Sayem臉書)倖存獲救的欖蠵龜被放生到孟加拉灣,但有些欖蠵龜被放生之後,又回到海岸上,其中約有30隻欖蠵龜不幸死亡,被直接埋在沙子裡。孟加拉環境部門副主任胡達(Nazmul Huda)難過表示,這次30隻欖蠵龜死亡,其他100隻也多有受傷,令人相當難過,「第一次在海灘看到這麼大規模的欖蠵龜死亡,以前從沒發生過!」欖蠵龜被人類製造的垃圾影響,失去了鰭足,還在流血。(圖/Asaduzzaman Sayem臉書)至於被放生又自行返回的欖蠵龜,胡達則認為牠們是因為受傷導致太過虛弱,已經沒有力氣待在海中,才會返回岸上。報導指出,困住欖蠵龜的垃圾在海上綿延10公里,估計約有50噸之多。保育人士薩葉(Asaduzzaman Sayem)傷心說:「有些欖蠵龜連鰭足或頭都不見了。」
禍不單行!新冠肺炎疫情未遏止 印度再遭30年最嚴重蝗災侵襲
新冠肺炎病毒肆虐全球,各國政府為了遏止疫情擴散傷透腦筋;截至3日上午為止,印度感染人數已達207,191人,死亡人數5,829人;而印度政府除了要對抗新冠病毒疫情,現在境內的農作物與植被還遭到將近30年來最嚴重的蝗災。根據《CNN》報導,蝗災從5月初起,自巴基斯坦進入西印度綿延長達7公里。據報導指出,這些沙漠蝗蟲目前一邊移動一邊持續進食和繁衍,當地農作物和植被皆被啃食殆盡,使所到之處幾乎寸草不生。聯合國糧食與農業組織(FAO)指出,沙漠蝗蟲的破壞性是所有蝗蟲中最為強悍的,因其飛行與繁殖的速度都較其他同類來得高。而成年蝗蟲每天可以飛行150公里,並吃掉相當於自己體重的食物。另外,聯合國糧食與農業組織表示,此次蝗蟲移動的路線與之前預估的有所出入,推測是受到上個月侵襲孟加拉灣的「安攀」風暴(Amphan)帶來的強勁西風影響。另外,印度當局表示,賈坎德邦將盡快向全州發出蝗災警報,讓人民能在蝗蟲過境時,做好應對準備。事實上,當地一些蝗災嚴重的區域,一直有在使用無人機、拖拉機和消防車等裝載農藥噴灑,成功消滅大約70%的蝗蟲,成效卓越。而印度當局也提到,由於當地正值休耕季,下季的農作物都尚未播種,因此蝗災對糧食儲備尚不至於構成嚴重影響。
直逼超級颱風!「安攀」直撲恆河三角洲 急撤110萬人
黃蜂颱風17日減弱為熱帶性低氣壓,氣象專家提醒,接下來梅雨鋒面將接力影響台灣天氣,不僅未來一週天氣都很不穩定,將於週二抵達的梅雨鋒面對台影響更將持續到26日,而遠在印度洋、今年第一個熱帶氣旋「安攀」(Amphan)則是在16日生成,威力持續發展,達到四級颶風等級上限,相當於我國標準的強烈颱風,預測未來將直撲恆河三角洲,印度和孟加拉緊急疏散110萬人。印度洋強颱「安攀」直撲恆河三角洲 。(圖/Weather Underground)根據美國聯合颱風警報中心(JTWC)觀測顯示,安攀18日上午中心氣壓919百帕,近中心最大風速高達130節,達到四級颶風等級上限,廣大的環流幾乎佔據了整個孟加拉灣;印度氣象局(IMD)也將安攀升級為「極端嚴重氣旋風暴」(ESCS),估計持續偏北移動,預測20日左右登陸恆河三角洲,對於印度及孟加拉構成極大威脅。另外,《美國有線電視新聞網CNN》也指出,安攀將登陸人口密集且基礎設施脆弱的貧困地區;若登陸在低漥的三角洲,恐怕引發高達9公尺的風暴潮。目前,印度奧里薩邦12個沿海地區已經進入高度警戒,和孟加拉接壤的西孟加拉邦則有6個地區發布氣旋警報,包括擁有440萬人口的加爾各答。印度國家災害應變部隊(NDRF)在奧里薩邦及西孟加拉邦部署17支隊伍,疏散數千名居民。奧里薩邦港口當局也下令船隻駛離海岸,以免受損;不過印度受到新冠肺炎影響,累計有9.6萬人確診,其中3千人死亡。孟加拉則有2.2萬人染疫,約3百人死亡,2國至今未能壓低單日增幅,在疫情肆虐同時,卻又得面臨安攀的侵襲。