諾盧
」 颱風 天氣 氣象局 諾盧 秋老虎
9颱風將改名!吳聖宇笑稱:越換越奇怪 颱風「命名冷知識」曝
颱風名稱又迎來一年一度的更換了!天氣風險管理開發有限公司分析師吳聖宇指出,經過颱風委員會決議,預估今年會換掉9個名字,要再等交通部中央氣象署(CWA)決定正式的中文名稱,他也笑稱,「不管最後是音譯還是意譯,總之越換越奇怪了。」吳聖宇昨(28日)在臉書粉專《天氣職人-吳聖宇》發文分享9個即將被更換的颱風名稱,左邊是舊名,右邊是預定更換的新名及含意:奈格Nalgae:Jamjari(昆蟲、蜻蜓)馬鞍Ma-on:Tsing-ma(香港地名,青馬大橋)圓規Kompasu:Tokei(星座,時鐘座)軒嵐諾Hinnamnor:Ong-mang(鋒芒)馬勒卡Malakas:Amuyao(菲律賓地名,火山名)梅姬Megi:Gosari(植物,蕨類嫩莖)諾盧Noru:Hodu(植物,胡桃)雷伊Rai:Sarbul(雅浦島西風神)康森Conson:Luc-binh(植物,布袋蓮)至於颱風是如何命名的?氣象粉專《報天氣 - 中央氣象署》早在去年8月就有解釋,其實颱風的名字是由世界氣象組織(World Meteorological Organization,WMO)鄰近西北太平洋的會員國(或地區)分別提名、集合而成,一個會員提供10個名字,彙整成一份總共有140個名字的總表,接著再由設於日本東京隸屬世界氣象組織之區域專業氣象中心(Regional Specialized Meteorological Centre,RSMC)負責依排定之順序統一命名。至於各國(或地區)轄區內部之颱風報導是否使用這些颱風名稱,則由各國(或地區)自行決定。依照上述規則,每當西北太平洋有颱風形成,即按總表依序命名,一輪命名表按順序不斷重複輪用,由於西北太平洋1年平均約有26個颱風形成,因此命名列表約6年用完,所以同名的颱風,只是湊巧輪到而已,颱風實際的走勢、發展,還是要視當下的大氣環境而定。
太平洋6天3颱…「洛克」最新路徑曝 今秋老虎發威飆37℃!下周東北風漸增強
今(29日)台灣各地及澎湖、金門大多為晴到多雲,僅馬祖有零星短暫陣雨,午後西半部山區有局部短暫陣雨。目前海面上有2個颱風,分別為第18號颱風「洛克」,以及即將變性為溫帶氣旋的第17號颱風「庫拉」,而在這之前還有個諾盧。氣象局表示,颱風洛克未來朝日本南方海面移動,對台灣沒有直接影響,颱風庫拉對台灣天氣也沒有影響。氣象局預報,今(28日)各地大多為晴到多雲的天氣,午後西半部山區及近山區平地有局部短暫陣雨;白天有點熱且紫外線偏強,西半部高溫普遍可以來到33至35度,其中南投地區及大台北盆地有局部36度以上高溫發生的機率,而東半部高溫約30、31度,至於各地早晚低溫在23到25度左右,日夜溫差稍大。颱風路徑。(圖/中央氣象局)氣象局指出,位於琉球東南東方海面的第18號颱風「洛克」,凌晨2時距離台北東方有1030公里遠,未來朝日本南方海面移動,對台灣沒有直接影響;第17號颱風「庫拉」即將變性為溫帶氣旋。高溫資訊。(圖/中央氣象局)氣象局也發布高溫資訊,提醒民眾,天氣晴朗炎熱,今(29日)中午前後南投地區為橙色燈號,有連續出現36度高溫的機率,請加強注意。大台北盆地為黃色燈號,請注意。氣象專家吳德榮在《三立準氣象‧老大洩天機》專欄中指出,最新(29日2時)中央氣象局「路徑潛勢預測圖」顯示,西北太平洋仍維持著2個颱風。第17號「輕颱庫拉」在日本東方海面,向東北移動,將變性為溫帶氣旋;第18號「輕颱洛克」在琉球東南方海面向北轉東北,朝日本南方海面前進,3天後移速減慢,「紅框」範圍大,隱含動向的「不確定性」擴大,但對台無影響。吳德榮分析,最新(28日20時)歐洲模式(ECMWF)模擬顯示,今日至下周三(5日)清晨,中層大氣為「副熱帶高壓」籠罩,各地晴朗穩定;低層水氣不多,東半部及午後中南部山區偶有局部零星降雨的機率。各地白天熱、早晚涼,日夜溫差大,白天高溫升至35至37度,中午前後紫外線「過量」及「危險」級,皆為「秋老虎」天氣的特徵。今日各地區氣溫,北部21至36度,中部24至37度,南部23至37度,東部22至35度。吳德榮表示,下周三上午起,東北風漸增強,北台雲量漸增,轉有局部雨;氣溫漸降;晚起花、東亦轉有局部雨,中南部地區受影響較小。
下週降溫…週末迎水氣「降雨熱區出爐」 輕颱「洛克」最快24小時內生成
今天(28日)各地大多為晴到多雲,只有午後中南部山區有零星短暫陣雨;各地高溫普遍在32至35度。氣象局表示,週五、週六(30日、1日)東南方水氣稍增,東南部地區及恆春半島有零星短暫陣雨。另外,今年第21號熱帶性低氣壓今天上午在琉球東南方海面生成,最快將於24小時內增強為颱風「洛克」。氣象局指出,明天(29日)水氣依然偏少,各地為晴到多雲的天氣,大環境盛行偏東風,午後西半部山區有局部短暫陣雨;各地低溫約23到25度,白天微熱、紫外線強,西半部高溫普遍在32至35度,東半部約30、31度。週五至下週二(30日至10月4日)各地天氣大多為晴到多雲,午後各山區有局部短暫陣雨。氣象局提到,週五、週六東南方水氣稍增,東南部地區及恆春半島有零星短暫陣雨。下週三(5日)起東北季風增強,北部及東北部氣溫稍降,北部、東半部地區有局部短暫雨,其他地區為多雲到晴,午後中南部山區有局部短暫陣雨。6日至8日東北季風影響,北部、東半部地區有局部短暫雨,其他地區為多雲到晴,午後山區有局部短暫陣雨。據了解,今年第21號熱帶性低氣壓今早8時在琉球東南方海面生成,最快將於24小時內增強為颱風「洛克」,未來朝日本南方海面移動,距離臺灣1000公里以上,對臺灣沒有直接影響;第16號颱風「諾盧」已登陸中南半島,對臺灣已無影響;第17號颱風「庫拉」對臺灣也沒有影響。
恐又有颱風!影響台灣機率曝 「秋老虎」連7天…高溫飆37℃
今(28日)台灣各地及澎湖、金門大多為晴到多雲,僅東半部地區及馬祖有零星短暫陣雨,午後嘉義以南地區及其他山區有零星短暫雷陣雨。氣象專家吳德榮表示,關島西北西方有熱帶擾動正在發展,最新(27日20時)歐洲系集模式(ECMWF)50次模擬路徑顯示,其向北北西朝琉球東方海面接近,之後向東北迴轉,影響台灣的機率很低。氣象局預報,今(28日)水氣依然偏少,各地大多為晴到多雲的天氣,大環境盛行偏東風,東半部地區有零星短暫陣雨,午後嘉義以南地區及其他山區有零星短暫雷陣雨;各地低溫約23到25度,白天微熱、紫外線強,西半部高溫普遍在32至34度,東半部約30、31度,日夜溫差稍大,早出晚歸請留意溫度變化。氣象局指出,第16號颱風「諾盧」持續往中南半島前進,對台灣已無影響,第17號颱風「庫拉」對台灣也沒有影響。氣象專家吳德榮在《三立準氣象‧老大洩天機》專欄中指出,今晨4時衛星雲圖顯示,「諾盧」、「庫拉」之間,關島西北西方有熱帶擾動正在發展。最新(27日20時)歐洲系集模式(ECMWF)50次模擬路徑顯示,其向北北西朝琉球東方海面接近,之後向東北迴轉,影響台灣的機率很低,但模式有「不確定性」,應持續觀察。吳德榮分析,最新(27日20時)歐洲模式(ECMWF)模擬顯示,未來一周〔今日至下周二(28至4日)〕中層大氣為「副熱帶高壓」籠罩、天氣穩定,各地晴時多雲;低層大氣盛行偏弱的東風,水氣不多,東半部及午後中南部山區偶有局部零星降雨的機率。各地白天熱、早晚涼,日夜溫差大,白天高溫升至35至37度,中午前後紫外線「過量」及「危險」級,皆為「秋老虎」天氣的特徵。今日各地區氣溫,北部21至35度,中部23至36度,南部24至37度,東部21至35度。
諾盧颱風登陸菲律賓 百萬戶斷電5搜救人員亡
今年第16號颱風「諾盧」於25日增強為超級颱風,登陸菲律賓北部在當地造成嚴重災情,導致數百萬戶斷電,上千人被轉移至緊急避難所。綜合外媒報導,為了救出受困在洪水中的居民,5名救難人員乘船進行救援行動,沒想到於過程中發生意外,他們被倒塌的牆壁擊中,淹死在洶湧的水勢裡。當地省長費南多表示,「在這場災難中拯救同胞的生命,他們是活生生的英雄,發生這樣的事實在太令人難過了。」
諾盧颱風襲菲律賓…5救援人員罹難 「水淹及腰」畫面曝光
超級颱風諾盧(Noru)襲擊菲律賓北部,引發多處淹水、停電,也導致菲律賓多處淹水,數千人被轉移到緊急避難所,其中有5名救援人員被山洪沖走喪命。另外,菲律賓總統小馬可仕(Ferdinand Marcos)也宣布,26日呂宋島(Luzon)停班停課。根據《衛報》報導,諾魯成為超級颱風,25日晚間持續風速來到每小時195公里,甚至出現高達每小時240公里的陣風。到了26日上午,諾魯的風速為每小時140公里,陣風為每小時170公里,並以每小時30公里的速度在南海向西移動。水淹及腰。(圖/達志/美聯社)菲律賓氣象部門負責人馬拉諾(Vicente Malano)25日表示,諾魯在襲擊菲律賓之前,在開闊的太平洋上空經歷了「爆炸性強化」。馬尼拉北部的布拉干省省長費爾南多(Daniel Fernando)指出,5名救援人員在乘船幫助被困在洪水中的居民期間,被倒塌的牆壁擊中,不幸落入水中,被洶湧的水沖走罹難,「他們是英雄,在這場災難中幫助拯救了我們同胞的生命。」居民在海中游泳。(圖/達志/美聯社)官員提及,僅在奎松市就有超過17000人從易受洪水和土石流影響的高風險社區轉移到緊急避難所。另外,26日呂宋島(Luzon)停班停課,儘管早晨的天空晴朗。菲律賓能源部長洛蒂拉(Raphael Lotilla)向菲律賓總統小馬科斯(Ferdinand Marcos Jr)報告,受到颱風襲擊,北部省份奧羅拉省(Aurora)、新怡詩夏省(Nueva Ecija)26日仍持續停電,維修人員正在努力恢復電力。
秋老虎來了 各地多雲到晴「日夜溫差大」
中央氣象局表示,27日、28日2天台灣各地及澎湖、金門、馬祖大多為多雲到晴,僅東半部地區有局部短暫陣雨,午後嘉義以南地區及其他山區有局部短暫雷陣雨,今日基隆北海岸亦有零星短暫陣雨;新竹以北、恆春半島沿海空曠地區及金門、馬祖易有較強陣風。氣象專家表示,各地白天偏熱、早晚涼,日夜溫差大。氣象專家吳德榮在《三立準氣象‧老大洩天機》專欄中說,27日中央氣象局「路徑潛勢預測圖」顯示,「中颱諾盧」持續偏西,朝越南前進,有略增強的趨勢;第17號「輕颱庫拉」在硫磺島北方海面,向北北西移動、再向東北大迴轉,都在海上。雙颱對台灣無威脅。未來一週西北太平洋仍在「熱帶擾動活躍期」,模擬顯示,還有其他熱帶系統發展的機率,應持續觀察。颱風路徑圖。(圖/翻攝氣象局網站)26日歐洲模式(ECMWF)模擬顯示,27日至10月3日中層大氣為副熱帶高壓籠罩、天氣穩定,各地晴時多雲,中午前後紫外線「過量」及「危險」級,要注意防曬;低層大氣盛行偏弱的東風,水氣不多,東半部及午後中南部山區偶有局部零星飄雨的機率。今起各地白天偏熱、早晚涼,日夜溫差大,白天高溫升至35、36度,為「秋老虎」的天氣型態。今日各地區氣溫:北部22至35度,中部23至35度,南部23至36度,東部20至35度。
本週估有1、2個颱風「形成機率曝光」 專家:瘋狂趕進度
颱風「諾盧」目前已經進入南海,但還是為台灣北部、花東地區帶來雨勢。台灣颱風論壇表示,「本週預計還會有1、2個颱風形成」;氣象專家也說,今年第17號颱風「庫拉」有望生成,直呼是「瘋狂趕進度」。諾盧颱風路徑圖。(圖/翻攝台灣颱風論壇|天氣特急)《台灣颱風論壇》26日在臉書發文說,「諾盧颱風已進入南海重整旗鼓,繼續西行明天將抵達越南中部東方海域。本週預計還會有1、2個颱風形成。」但據目前的資料來看,颱風靠近台灣的機率低。此文曝光後,有網友留言「展望明年,要不是軒嵐諾氣象局給個超大暴風圈,不然今年就很有機會創下0颱侵台的傳奇紀錄。」有人回覆說「今年颱風真是跟台灣很無緣」、「補水重要還是紀錄重要」。氣象專家吳聖宇也在《天氣職人-吳聖宇》粉專發文說,「諾盧颱風進入南海,大陸高壓帶來的東北風減弱,但是高壓迴流的偏東風,配合整個不穩定波形仍在台灣附近。」北部、花東等地區26日會有地形性的降雨,桃園以南到高雄天氣晴朗。吳聖宇表示,TD-19W的出現,有望變成今年第17號颱風庫拉,但目前看來會在遠海活動,對陸地無害,「最近颱風生成瘋狂趕進度,連同即將可能出現的庫拉,9月分已經出現了梅花、莫柏、南瑪都、塔拉斯、諾盧等颱風,很快將颱風生成數拉近氣候平均值。」吳聖宇說,大自然會自己找到平衡,真是奇妙。
第17號颱風「庫拉」生成 雙颱共舞再現
第17號颱風生成!根據日本氣象廳官網最新資料顯示,今年第17號颱風「庫拉」(Kulap)已在剛剛生成,未來路徑預測朝西北方轉東北前進,距離台灣最近的時候有1千多公里距離,不會直接影響台灣。不過現在「庫拉」颱風生成,海面還有另一個颱風「諾盧」存在,再度出現雙颱共舞局面,不過兩個颱風對台灣都沒有直接影響。中央氣象局表示,今天水氣減少,迎風面雨勢比起昨天已驚趨緩,基隆北海岸、東半部地區及恆春半島有局部短暫雨,其他地區為多雲到晴,午後嘉義以南地區及中部山區有局部短暫雷陣雨。至於已經生成的第16號颱風「諾盧」,清晨2時位於鵝鑾鼻南方740公里之處,接下來會持續以偏西的方向往中南半島前進,跟「庫拉」對台灣無直接影響。
「庫拉」今將生成輕颱「6縣市大雨特報」 下波變天時間曝
中央氣象局表示,熱帶性低氣壓今天(26日)將有機會發展成為今年第17號颱風「庫拉」(Kulap),但「庫拉」颱風一旦生成,對台灣無直接影響;周二至周四天氣型態大致穩定,不過周五到周日將有機會變天降雨,整體水氣比較多。另外今天凌晨3點30分,中央氣象局針對北北基還有宜花東等6縣市,發布大雨特報。氣象局表示,受到東北風影響及對流雲系發展旺盛,易有短延時強降雨,宜蘭縣山區已有局部超大豪雨發生,宜蘭縣已有局部大豪雨發生,花蓮縣已有局部豪雨發生;今天基隆北海岸、東半部地區及大臺北山區有局部大雨發生的機率,請注意雷擊及強陣風,山區請慎防坍方、落石及溪水暴漲。而氣象專家吳德榮,在《三立準氣象‧老大洩天機》專欄中提到,根據最新中央氣象局「路徑潛勢預測圖」顯示,「中颱諾盧」受呂宋島地形破壞、強度略減弱,進入南海後,持續偏西移動、仍有再增強趨勢。另一「熱帶低壓」在硫磺島東南方海面,今將發展為第17號「輕颱庫拉」,向西北移動再向東北大迴轉,對台灣及日本皆無威脅。未來一周西北太平洋仍在「熱帶擾動活躍期」,模式模擬顯示,還有其他熱帶系統發展的機率,應持續觀察。吳德榮指出,根據最新歐洲模式(ECMWF)模擬顯示,今天白天起水氣漸減少,天氣好轉;北海岸及東半部多雲時晴、仍有局部短暫雨;西半部轉為晴時多雲、午後中南部山區偶有局部短暫陣雨的機率;白天微熱、早晚涼。各地區氣溫:北部24至33度,中部23至35度,南部23至35度,東部23至35度。最新模擬顯示,明天至本周日盛行偏東風,西半部晴時多雲、午後中南部山區有局部短暫陣雨的機率;東半部多雲時晴、偶有局部短暫雨。明起各地氣溫再略升,白天高溫回升至34至36度,日夜溫差大。
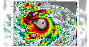
諾盧一夜變強! 鄭明典驚「超危險」…氣象局對4縣市發大雨、超大豪雨警報
中央氣象局今(25日)表示,受東北風、對流雲系發展旺盛及颱風影響,對基隆市、台北市及新北市發布「大雨特報」,與分別對宜蘭縣地區與山區下達大雷雨和超大豪雨警報。而原先被各國評估發展有限的颱風「諾盧」,不僅開了颱風眼、增強為中颱,還以驚人速度一夜增強,氣象局長鄭明典就驚呼「現在這個雲系看起來就很『危險』」。氣象局今天除對北北基、宜蘭縣地區、宜蘭縣山區發布警報外,也對宜蘭縣員山鄉、三星鄉、大同鄉、南澳鄉、蘇澳鎮和冬山鄉發布「大雷雨」災防告警訊息。水利署亦對三星鄉、冬山鄉發布「一級淹水警戒」。此外,宜蘭縣山區過去24小時累積雨量已超過500毫米,達到「超大豪雨」等級。氣象局也提醒,今天基隆北海岸和大台北山區要注意局部大雨;花蓮、台東有零星降雨機率;南部午後及其他山區有局部短暫雷陣雨。預估待周五、週六水氣北上後,台東、恆春半島將有短暫陣雨;宜蘭、花蓮局部降雨,其他地區為多雲,午後南部和其他山區有局部短暫雷陣雨機率。(圖/翻攝自氣象局)至於大家最關心的諾盧颱風,鄭明典在臉書發文驚呼:「變這麼強!」指出颱風從24日晚間對流爆發後,「現在這個雲系看起來就很『危險』。」並預測諾盧對菲律賓威脅極大。氣象粉專「觀氣象看天氣」也指出諾盧的變化,「讓全球各大氣象機構、超級電腦全翻車」。原本被各國氣象單位預測最多普通輕颱的諾盧,現在「只差2KT就可達美國國家颶風中心,所定義的五級颶風最高等級」。且據氣象局預估,颱風明天白日進入南海後有機會再度增強。
東北風、諾盧外圍水氣雙重影響 東北部防豪大雨
中央氣象局表示,25日東北風影響,基隆北海岸、東北部地區及大台北山區為有雨的天氣,並有局部大雨發生的機率,台灣北部、東部、東南部地區及恆春半島亦有局部短暫雨。氣象專家指出,中颱「諾盧」外圍水氣對台灣天氣稍有影響。氣象局說,25日宜蘭縣山區有局部超大豪雨或大豪雨發生,宜蘭地區並有局部大豪雨或豪雨發生,基隆北海岸及大台北山區亦有局部大雨發生的機率,請慎防坍方、落石及溪水暴漲。超大豪雨地區:宜蘭縣。豪雨特報。(圖/翻攝氣象局官網)氣象局指出,25日其他地區及澎湖、金門、馬祖為多雲到晴,午後南部地區及中部山區有局部短暫雷陣雨;台南以北、東半部(含蘭嶼、綠島)、恆春半島沿海空曠地區及澎湖、金門、馬祖易有8至9級強陣風;東北部沿海並有長浪發生的機率。26日基隆北海岸、東半部地區及恆春半島有局部短暫陣雨,其他地區及澎湖、金門、馬祖為多雲到晴,午後南部地區及其他山區有局部短暫雷陣雨。氣象專家吳德榮在《三立準氣象‧老大洩天機》專欄中指出,「中颱諾盧」在呂宋島東方海面,範圍雖小,快速增強、已有清晰颱風眼。中央氣象局「路徑潛勢預測圖」顯示,中颱「諾盧」,偏西移動,26日通過呂宋島、受地形破壞、略減弱,進入南海後,仍有繼續增強趨勢;其外圍水氣對台灣天氣稍有影響。最新各國模式模擬顯示,未來一週仍在「熱帶擾動活躍期」,還有其他熱帶系統發展的機率,應持續觀察。最新歐洲模式(ECMWF)模擬顯示,25日東北風及「諾盧」外圍水氣雙重影響,北部、東半部雲量多有局部雨,東北部已有「豪大雨」、應注意防範!大台北山區及北海岸有較大雨勢;中南部多雲時晴、午後山區偶有局部短暫陣雨。北台濕涼,中南部白天熱、早晚涼。各地區氣溫:北部23至28度,中部21至34度,南部22至35度,東部21至34度。最新模擬顯示,26日水氣漸減少,天氣好轉;西半部晴時多雲、午後山區有局部短暫陣雨的機率;北海岸及東半部多雲時晴、偶有局部短暫雨;27至1日盛行偏東風,西半部晴時多雲、午後山區有局部短暫陣雨的機率;東半部多雲時晴、偶有局部短暫雨。明起各地氣溫回升,白天高溫回升至33至36度。
明天3地區有雨…放晴時間點出爐 氣象局曝下週「有颱風生成機率」
今天(24日)隨著東北風增強,迎風面水氣增加,基隆北海岸、大臺北及東北部地區轉為有雨的天氣,其中基隆北海岸、宜蘭地區及大臺北山區降雨時間長,有局部大雨發生的機率,而北部、東半部地區及恆春半島也有局部短暫雨。氣象局指出,下週一(26日)風向轉為偏東風,水氣減少,北臺灣白天再度有熱的感覺。氣象局表示,今天各地早晚低溫約23到25度,白天北臺灣由於雲多下雨,高溫稍下降,約27到29度,其他地方仍有31到33度,中南部日夜溫差稍大。下週日(25日)東北風影響,北部、東半部地區及恆春半島有局部短暫雨,降雨有機會減緩些,其他地區為多雲到晴,午後南部地區及中部山區有局部短暫雷陣雨。氣象局說明,下週一風向轉為偏東風,水氣減少,北臺灣白天再度有熱的感覺,基隆北海岸、東半部地區及恆春半島有局部短暫陣雨,其他地區為多雲到晴,午後南部地區及其他山區有局部短暫雷陣雨。下週二至下週五(27日至30日)各地大多為多雲到晴,東半部地區有局部短暫陣雨,午後山區有局部短暫雷陣雨。氣象局提到,第15號颱風「塔拉斯」已變性為溫帶氣旋,持續朝日本移動;第16號颱風「諾盧」,早上8時位於鵝鑾鼻東南方1000公里之海面上,持續以偏西的方向朝呂宋島移動,之後將進入南海再往中南半島前進,對臺灣無直接影響。另外,下週西北太平洋及南海上持續有颱風生成發展的機率,將持續觀察。
雙颱生成「各走各的」!北台今變天有雨 周末溼答答
雙颱「塔拉斯」、「諾盧」昨天陸續生成,但兩個颱風各自發展,對台灣都沒有直接影響,僅有外圍水氣對台灣會帶來影響。今天北台灣受到諾盧颱風外圍水氣影響,有較大雨勢;而受到東北風增強影響,北部、東部這個周末較偏濕涼,是溼答答的天氣型態。這個周末的天氣不太穩定,氣象專家吳德榮在《三立準氣象‧老大洩天機》專欄中提到,根據今(24日)清晨4時衛星雲圖顯示,「輕颱塔拉斯」在日本南方海面,高、低層分離、結構不佳。「輕颱諾盧」呂宋島東方海面,範圍小。吳德榮表示,根據最新中央氣象局「路徑潛勢預測圖」顯示,「輕颱塔拉斯」,在日本南方海面,向東北前進,撲向日本本州南部沿海,並逐漸減弱、變性。另一「輕颱諾盧」,偏西移動,通過呂宋島,進入南海;範圍雖小,持續增強中;其外圍水氣對台稍有影響。吳德榮並提到,根據最新歐洲模式(ECMWF)模擬顯示,周末兩天東北風及「輕颱諾盧」外圍的水氣影響,北部、東半部降雨漸趨明顯,大台北山區、東北部有較大雨勢,應注意;中南部多雲時晴、午後山區偶有局部短暫陣雨。北台濕涼,中南部白天微熱、早晚涼。今日各地區氣溫:北部22至27度,中部21至33度,南部22至33度,東部20至33度。最新模擬顯示,下周一至周五(26至30日)盛行偏東風,水氣漸減少,天氣略好轉;西半部晴時多雲、午後山區有局部短暫陣雨的機率,白天高溫回升至33至35度;北海岸及東半部多雲偶有局部短暫雨。此外,未來一周在「季風環流」內,還會有其他熱帶系統發展,模式模擬變動性也很大,應持續觀察。
南台灣雨彈開炸「2縣市大雨特報」 第16號颱風「諾盧」生成…最新路徑曝
午後對流雲系發展旺盛,易有短延時強降雨,氣象局指出今(23)日高雄、屏東地區有局部大雨發生的機率,請注意雷擊及強陣風,並針對2縣市發布大雨特報,包括高雄市及屏東縣。此外,位於台灣東南方海面上的的熱帶性低氣壓增強為今年第16號颱風「諾盧」,最新路徑也出爐了。氣象局指出,原位於日本南方海面的熱帶性低氣壓已於23日8時發展為輕度颱風「塔拉斯」,持續往日本移動,另一個熱帶低壓TD19也於稍早增強為第16號颱風「諾盧」,未來將經過呂宋島進入南海,再往中南半島前進,而兩個颱風都不會對台灣有直接影響。颱風最新路徑。(圖/翻攝氣象局)不過氣象局指出,週六、下週日(24日、25日),環境為東北風,且有大低壓環流帶來的水氣,迎風面北部、東半部地區及恆春半島降雨機率提高,都有局部短暫陣雨的機會,在桃園以北及東北部、東部地區降雨較多,其中基隆北海岸、大臺北山區、東北部地區降雨較明顯、持續,整日為陰有雨的天氣,在週六可能會有局部大雨發生;而其他地區天氣影響較小,仍為多雲到晴,感受溫暖為熱,午後在山區有局部短暫雷陣雨。下週一(26日)水氣逐漸減少,溫度也漸回升,天氣轉穩定,迎風面僅基隆北海岸、東半部地區及恆春半島仍有局部短暫陣雨,其他地區為多雲到晴,午後山區有局部短暫雷陣雨。
夏威夷驚傳鯊魚攻擊死亡案例 世界衝浪聯盟宣布暫停賽事
夏威夷茂宜島(Maui)8日驚傳鯊魚攻擊衝浪者事件,一名56歲男子慘遭鯊魚咬傷,雖被緊急送醫仍宣告不治。原定於當地舉辦的女子職業衝浪賽事,也已因安全考量被迫暫停;世界衝浪聯盟研擬尋覓新的安全地點以舉行比賽。根據《Tmz》報導,該名受傷的衝浪客遭受鯊魚攻擊後被緊急送醫治療,手術過程雖相當順利,惜該男子仍因健康迅速惡化,於9日晚間不幸離世。目前關於受害人的身分及受傷部位等細節,皆未公布。透過當地媒體拍攝的照片可看到,男子的白色衝浪板被鯊魚咬出了一個大缺口,上面還留有許多齒痕,令人怵目驚心。根據齒痕和破口可推斷,這頭鯊魚尺寸不小。鯊魚出沒的消息曝光後,當地官員已在海灘附近設立警告標語;世界衝浪聯盟也發出聲明,「因霍諾盧亞灣海灘發生鯊魚傷人事件,基於安全考量,遺憾宣布女子職業衝浪賽事將暫停舉行。」世界衝浪聯盟表示,目前正研擬尋找新的安全地點重新舉辦賽事,若有進一步消息將立即通知。